Verschiedene Pflanzengallen auf Weide

Spezialforum zum Thema phytoparasitische Kleinpilze ( Rost, Brand, Mehltaupilze etc. ) und tierische Gallen an Wild.- und Nutzpflanzen. Forumsstart - 15.07.2006
Horst Schlüter
treues Mitglied
Beiträge: 498
Registriert: Di 30. Sep 2008, 00:06
Wohnort: Winnenden

Verschiedene Pflanzengallen auf Weide

Ungelesener Beitrag von Horst Schlüter »

Liebe Freunde von Phytoparasiten,
schade, daß dieser Teil des Forums so wenig genutzt wird. So hoffe ich dennoch, einigermaßen zeitnah eine Antwort zu erhalten.
Alle Bilder stammen von heute und von derselben Weide, die ich leider auch nicht bestimmen konnte. Die Pflanzenbestimmungsapps widersprachen sich enorm und meiner Meinung würden auch beide Ergebnisse nicht passen. Einmal war es die Silberweide, da paßt aber die Unterseite nicht und einmal war es die Bruchweide, aber die Elastizität der Zweige, kein Bruch möglich, spricht auch hier dagegen. So vermute ich, daß es sich um einen Hybriden handelt, aber was ist schon eine Vermutung.
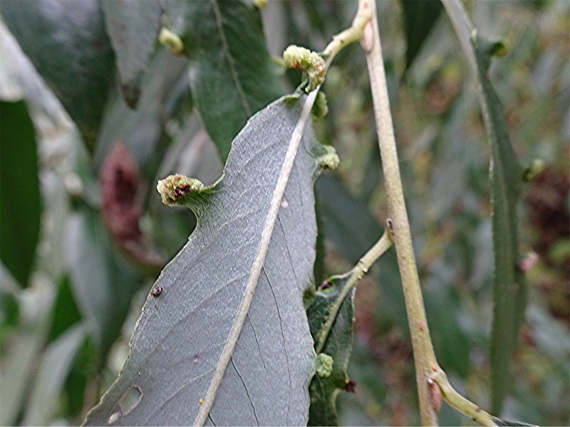
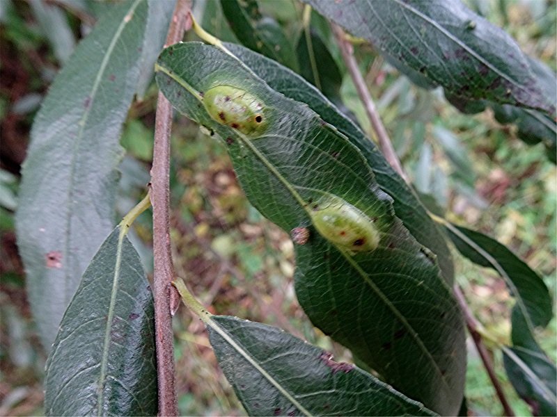
Ich gehe davon aus, daß es sich wenigstens um 3 verschiedene Gallen handelt, photographiert heute den 04.11.2023 am Bachufer des Buchenbachs am ehemaligen Steinbruch Weiler zum Stein (Leutenbach), WN, Baden-Württemberg.
Leider sind nicht alle Bilder scharf, aber ich hoffe, sie sind dennoch eine Bestimmungshilfe.
Es grüßt
Horst Schlüter
DSC09966 Ausschnitt, Helligkeit, Schärfe, klein.jpg
DSC09966 Ausschnitt, Helligkeit, Schärfe, klein.jpg (146.08 KiB) 37527 mal betrachtet
Originalwert Bild aufgenommen am/um:
2023:11:04 12:39:51
Bild aufgenommen am/um:
Sa 4. Nov 2023, 11:39
Brennweite:
4.1 mm
Belichtungszeit:
1/30 Sek
Blendenwert:
f/3.5
ISO:
80
Weißabgleich:
Automatisch
Blitz:
Blitz nicht ausgelöst, Erzwungener Blitzmodus
Kamera-Hersteller:
SONY
Kamera-Modell:
DSC-HX90V
Belichtungsmodus:
Automatikprogramm
Belichtungskorrektur:
0 EV
Belichtungsmessung:
Muster
DSC09967 Ausschnitt, Helligkeit, Schärfe, klein.jpg
DSC09967 Ausschnitt, Helligkeit, Schärfe, klein.jpg (139.79 KiB) 37527 mal betrachtet
Originalwert Bild aufgenommen am/um:
2023:11:04 12:39:59
Bild aufgenommen am/um:
Sa 4. Nov 2023, 11:39
Brennweite:
4.1 mm
Belichtungszeit:
1/30 Sek
Blendenwert:
f/3.5
ISO:
125
Weißabgleich:
Automatisch
Blitz:
Blitz nicht ausgelöst, Erzwungener Blitzmodus
Kamera-Hersteller:
SONY
Kamera-Modell:
DSC-HX90V
Belichtungsmodus:
Automatikprogramm
Belichtungskorrektur:
0 EV
Belichtungsmessung:
Muster
DSC09968 Blattunterseite, Helligkeit, Schärfe, klein.jpg
DSC09968 Blattunterseite, Helligkeit, Schärfe, klein.jpg (126.2 KiB) 37527 mal betrachtet
Originalwert Bild aufgenommen am/um:
2023:11:04 12:40:06
Bild aufgenommen am/um:
Sa 4. Nov 2023, 11:40
Brennweite:
4.1 mm
Belichtungszeit:
1/40 Sek
Blendenwert:
f/3.5
ISO:
80
Weißabgleich:
Automatisch
Blitz:
Blitz nicht ausgelöst, Erzwungener Blitzmodus
Kamera-Hersteller:
SONY
Kamera-Modell:
DSC-HX90V
Belichtungsmodus:
Automatikprogramm
Belichtungskorrektur:
0 EV
Belichtungsmessung:
Muster
DSC09969 Ausschnitt, Schärfe, klein.jpg
DSC09969 Ausschnitt, Schärfe, klein.jpg (124.8 KiB) 37527 mal betrachtet
Originalwert Bild aufgenommen am/um:
2023:11:04 12:40:21
Bild aufgenommen am/um:
Sa 4. Nov 2023, 11:40
Brennweite:
4.1 mm
Belichtungszeit:
1/30 Sek
Blendenwert:
f/3.5
ISO:
160
Weißabgleich:
Automatisch
Blitz:
Blitz nicht ausgelöst, Erzwungener Blitzmodus
Kamera-Hersteller:
SONY
Kamera-Modell:
DSC-HX90V
Belichtungsmodus:
Automatikprogramm
Belichtungskorrektur:
0 EV
Belichtungsmessung:
Muster
DSC09970 Ausschnitt, Helligkeit, Schärfe, klein.jpg
DSC09970 Ausschnitt, Helligkeit, Schärfe, klein.jpg (126.19 KiB) 37527 mal betrachtet
Originalwert Bild aufgenommen am/um:
2023:11:04 12:40:56
Bild aufgenommen am/um:
Sa 4. Nov 2023, 11:40
Brennweite:
4.1 mm
Belichtungszeit:
1/50 Sek
Blendenwert:
f/3.5
ISO:
80
Weißabgleich:
Automatisch
Blitz:
Blitz nicht ausgelöst, Erzwungener Blitzmodus
Kamera-Hersteller:
SONY
Kamera-Modell:
DSC-HX90V
Belichtungsmodus:
Automatikprogramm
Belichtungskorrektur:
0 EV
Belichtungsmessung:
Muster
DSC09971 Ausschnitt, Schärfe, klein.jpg
DSC09971 Ausschnitt, Schärfe, klein.jpg (163.45 KiB) 37527 mal betrachtet
Originalwert Bild aufgenommen am/um:
2023:11:04 12:41:11
Bild aufgenommen am/um:
Sa 4. Nov 2023, 11:41
Brennweite:
4.1 mm
Belichtungszeit:
1/30 Sek
Blendenwert:
f/3.5
ISO:
160
Weißabgleich:
Automatisch
Blitz:
Blitz nicht ausgelöst, Erzwungener Blitzmodus
Kamera-Hersteller:
SONY
Kamera-Modell:
DSC-HX90V
Belichtungsmodus:
Automatikprogramm
Belichtungskorrektur:
0 EV
Belichtungsmessung:
Muster
DSC09972 Ausschnitt, Schärfe, klein.jpg
DSC09972 Ausschnitt, Schärfe, klein.jpg (118.83 KiB) 37527 mal betrachtet
Originalwert Bild aufgenommen am/um:
2023:11:04 12:41:20
Bild aufgenommen am/um:
Sa 4. Nov 2023, 11:41
Brennweite:
4.1 mm
Belichtungszeit:
1/30 Sek
Blendenwert:
f/3.5
ISO:
80
Weißabgleich:
Automatisch
Blitz:
Blitz nicht ausgelöst, Erzwungener Blitzmodus
Kamera-Hersteller:
SONY
Kamera-Modell:
DSC-HX90V
Belichtungsmodus:
Automatikprogramm
Belichtungskorrektur:
0 EV
Belichtungsmessung:
Muster
DSC09973 Ausschnitt, Schärfe, klein.jpg
DSC09973 Ausschnitt, Schärfe, klein.jpg (159.17 KiB) 37527 mal betrachtet
Originalwert Bild aufgenommen am/um:
2023:11:04 12:42:38
Bild aufgenommen am/um:
Sa 4. Nov 2023, 11:42
Brennweite:
4.1 mm
Belichtungszeit:
1/30 Sek
Blendenwert:
f/3.5
ISO:
125
Weißabgleich:
Automatisch
Blitz:
Blitz nicht ausgelöst, Erzwungener Blitzmodus
Kamera-Hersteller:
SONY
Kamera-Modell:
DSC-HX90V
Belichtungsmodus:
Automatikprogramm
Belichtungskorrektur:
0 EV
Belichtungsmessung:
Muster
DSC09974 Ausschnitt, Schärfe, klein.jpg
DSC09974 Ausschnitt, Schärfe, klein.jpg (145.35 KiB) 37527 mal betrachtet
Originalwert Bild aufgenommen am/um:
2023:11:04 12:42:55
Bild aufgenommen am/um:
Sa 4. Nov 2023, 11:42
Brennweite:
4.1 mm
Belichtungszeit:
1/30 Sek
Blendenwert:
f/3.5
ISO:
200
Weißabgleich:
Automatisch
Blitz:
Blitz nicht ausgelöst, Erzwungener Blitzmodus
Kamera-Hersteller:
SONY
Kamera-Modell:
DSC-HX90V
Belichtungsmodus:
Automatikprogramm
Belichtungskorrektur:
0 EV
Belichtungsmessung:
Muster
DSC09975 Ausschnitt, Schärfe, klein.jpg
DSC09975 Ausschnitt, Schärfe, klein.jpg (121.82 KiB) 37527 mal betrachtet
Originalwert Bild aufgenommen am/um:
2023:11:04 12:43:12
Bild aufgenommen am/um:
Sa 4. Nov 2023, 11:43
Brennweite:
4.1 mm
Belichtungszeit:
1/30 Sek
Blendenwert:
f/3.5
ISO:
125
Weißabgleich:
Automatisch
Blitz:
Blitz nicht ausgelöst, Erzwungener Blitzmodus
Kamera-Hersteller:
SONY
Kamera-Modell:
DSC-HX90V
Belichtungsmodus:
Automatikprogramm
Belichtungskorrektur:
0 EV
Belichtungsmessung:
Muster
DSC09976 Ausschnitt, Schärfe, klein.jpg
DSC09976 Ausschnitt, Schärfe, klein.jpg (128.06 KiB) 37527 mal betrachtet
Originalwert Bild aufgenommen am/um:
2023:11:04 12:43:38
Bild aufgenommen am/um:
Sa 4. Nov 2023, 11:43
Brennweite:
4.1 mm
Belichtungszeit:
1/30 Sek
Blendenwert:
f/3.5
ISO:
125
Weißabgleich:
Automatisch
Blitz:
Blitz nicht ausgelöst, Erzwungener Blitzmodus
Kamera-Hersteller:
SONY
Kamera-Modell:
DSC-HX90V
Belichtungsmodus:
Automatikprogramm
Belichtungskorrektur:
0 EV
Belichtungsmessung:
Muster
Benutzeravatar
Volker
Administrator
Beiträge: 1048
Registriert: Mi 22. Dez 2004, 10:13
Kamera: Nikon Coolpix 990, Nikon D700
Pilzverein: Pilzfreunde Saar-Pfalz e.V.
Wohnort: Bexbach
Kontaktdaten:

Re: Verschiedene Pflanzengallen auf Weide

Ungelesener Beitrag von Volker »

Hallo Horst,

nach meinem jetzigen Wissensstand sehe ich auf den Bildern 1–3 Pontania (Euura) proxima. Diese Galle kommt auf S. alba, S, fragilis, sowie ihren Hybriden vor. Auf den Bilder 4–7 und 11 sehe ich Aculus tetanothrix und auf den restlichen Bildern Aculus craspedobius, wobei noch nicht endgültig geklärt, ob diese Blattrandgallen ausschließlich durch Aculus craspedobius oder auch durch die Gallmilbe Aculus magnirostris ausgelöst werden. Heute Morgen habe ich meine vermeintlichen Bilder von A. magnisrostris auf A. crasspedobius korrigiert.

Gruß, Volker
Horst Schlüter
treues Mitglied
Beiträge: 498
Registriert: Di 30. Sep 2008, 00:06
Wohnort: Winnenden

Re: Verschiedene Pflanzengallen auf Weide

Ungelesener Beitrag von Horst Schlüter »

Hallo Volker,
es ist immer wieder toll, wie schnell Deine Antworten kommen. Ich nehme an, Du bekommst eine Mitteilung, wenn eine Anfrage eingeht.
Aber das ist wirklich prima.
"ausschließlich durch Aculus craspedobius oder auch durch die Gallmilbe Aculus magnirostris", wenn ich Dich richtig verstehe, dann kommen beide Arten auf denselben Weidenarten vor.
Außerdem kann ich wohl annehmen, daß es sich bei der Weide um einen Hybrid zwischen Silber-Weide und Bruch-Weide handelt, was dann auch erklären könnte, weshalb die eine App Silber-Weide erkennt und die andere App die Bruch-Weide. Aber ein bißchen ist da wohl auch Spekulation dabei.
Herzlichen Dank für die Bestimmung und Grüßle aus dem Schwabenland
Horst
Benutzeravatar
Volker
Administrator
Beiträge: 1048
Registriert: Mi 22. Dez 2004, 10:13
Kamera: Nikon Coolpix 990, Nikon D700
Pilzverein: Pilzfreunde Saar-Pfalz e.V.
Wohnort: Bexbach
Kontaktdaten:

Re: Verschiedene Pflanzengallen auf Weide

Ungelesener Beitrag von Volker »

Horst Schlüter hat geschrieben: So 5. Nov 2023, 12:32 ausschließlich durch Aculus craspedobius oder auch durch die Gallmilbe Aculus magnirostris
Hallo Horst

Aculus craspedobius macht diese kurzen Blattrollungen und Aculus magnirostris eher lange schmale Blattrollungen, oft den ganzen Blattrand entlang. Daher gehe ich eher von Aculus craspedobius aus.
Ja, ich bekomme eine Benachrichtigung bei einem Posting, aber manchmal nicht zeitnah.

Gruß, Volker
Horst Schlüter
treues Mitglied
Beiträge: 498
Registriert: Di 30. Sep 2008, 00:06
Wohnort: Winnenden

Re: Verschiedene Pflanzengallen auf Weide

Ungelesener Beitrag von Horst Schlüter »

Hallo Volker,
vielen Dank für die nähere Erläuterung.
Es grüßt
Horst
Antworten