Was habe ich hier gesehen ?

Spezialforum zum Thema phytoparasitische Kleinpilze ( Rost, Brand, Mehltaupilze etc. ) und tierische Gallen an Wild.- und Nutzpflanzen. Forumsstart - 15.07.2006
Benutzeravatar
rickenella
Forums Gott
Beiträge: 1444
Registriert: Sa 26. Nov 2011, 12:22
Kamera: NIKON D3300 + TAMRON
Wohnort: Zwickau

Was habe ich hier gesehen ?

Ungelesener Beitrag von rickenella »

Hallo,

habe heute von einem mir unbekanntem Strauch ein paar Blätter mitgenommen um den relativ auffälligen, weißlichen Belag zu untersuchen. Die nachfolgend gezeigten Mikrodetails waren im Präparat nicht sehr häufig zu finden und das für mich einzig Auffällige. Stehen die hier abgebildeten Objekte im Zusammenhang mit dem Belag, was sehe ich hier ?
IMG1_250.JPG
IMG1_250.JPG (22.5 KiB) 2423 mal betrachtet
IMG1_251.JPG
IMG1_251.JPG (15.67 KiB) 2422 mal betrachtet
IMG1_246.JPG
IMG1_246.JPG (38.25 KiB) 2423 mal betrachtet
VG Peter
Wissen ist das einzige Gut, das sich vermehrt, wenn man es teilt.
Marie Freifrau von Ebner - Eschenbach (1830 - 1916)
Benutzeravatar
Harry
Administrator
Beiträge: 4719
Registriert: Mi 22. Dez 2004, 09:37
Kamera: Nikon D500
Nikon Z5
Olympus Tough TG-6
Pilzverein: Pilzfreunde Saar - Pfalz e.V.
Wohnort: Bexbach - Saarland
Kontaktdaten:

Re: Was habe ich hier gesehen ?

Ungelesener Beitrag von Harry »

Hallo Peter,
rickenella hat geschrieben:Hallo,

habe heute von einem mir unbekanntem Strauch ein paar Blätter mitgenommen um den relativ auffälligen, weißlichen Belag zu untersuchen. Die nachfolgend gezeigten Mikrodetails waren im Präparat nicht sehr häufig zu finden und das für mich einzig Auffällige. Stehen die hier abgebildeten Objekte im Zusammenhang mit dem Belag, was sehe ich hier ?

VG Peter
Ich denke nicht das die gezeigten braunen Sporen in Zusammenhang mit dem von dir genannten weißen Belag stehen. Die stark septierten Sporen sehen in etwa so aus wie ich sie von einigen Pyrenomyceten kenne.

Könnstet du vielleicht noch Aufnahmen des Strauches und der befallenen Blätter einstellen? Vielleicht kommen wir dem Verursacher des Belages so auf die Schliche.

Gruß
Harry
Dass man immer noch lernen kann ist herrlich, und auch dass man andere dazu braucht.
Benutzeravatar
rickenella
Forums Gott
Beiträge: 1444
Registriert: Sa 26. Nov 2011, 12:22
Kamera: NIKON D3300 + TAMRON
Wohnort: Zwickau

Re: Was habe ich hier gesehen ?

Ungelesener Beitrag von rickenella »

Harry,

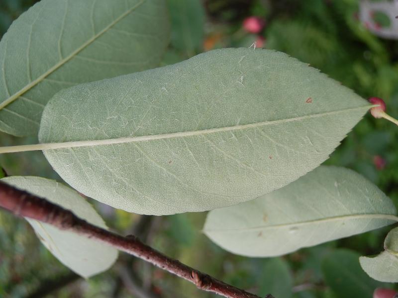
habe heute Aufnahmen von dem mir unbekannten Baum gemacht, Blätter und Details inbegriffen.
Ich hoffe, Du kannst etwas damit anfangen.
unbekannter Baum.JPG
unbekannter Baum.JPG (160.13 KiB) 2409 mal betrachtet
Originalwert Bild aufgenommen am/um:
2012:06:28 18:24:50
Bild aufgenommen am/um:
Do 28. Jun 2012, 16:24
Brennweite:
6.7 mm
Belichtungszeit:
1/40 Sek
Blendenwert:
f/3.9
ISO:
125
Blitz:
Blitz nicht ausgelöst, Erzwungener Blitzmodus
Kamera-Hersteller:
OLYMPUS IMAGING CORP.
Kamera-Modell:
SZ-20
Belichtungsmodus:
Automatikprogramm
Belichtungskorrektur:
0 EV
Belichtungsmessung:
Muster
unbekannter Baum-2.JPG
unbekannter Baum-2.JPG (102.14 KiB) 2408 mal betrachtet
Originalwert Bild aufgenommen am/um:
2012:06:28 18:25:58
Bild aufgenommen am/um:
Do 28. Jun 2012, 16:25
Brennweite:
6.7 mm
Belichtungszeit:
1/40 Sek
Blendenwert:
f/3.9
ISO:
125
Blitz:
Blitz nicht ausgelöst, Erzwungener Blitzmodus
Kamera-Hersteller:
OLYMPUS IMAGING CORP.
Kamera-Modell:
SZ-20
Belichtungsmodus:
Automatikprogramm
Belichtungskorrektur:
0 EV
Belichtungsmessung:
Muster
unbekannter Baum-3.JPG
unbekannter Baum-3.JPG (74.81 KiB) 2408 mal betrachtet
Originalwert Bild aufgenommen am/um:
2012:06:28 18:30:12
Bild aufgenommen am/um:
Do 28. Jun 2012, 16:30
Brennweite:
6.7 mm
Belichtungszeit:
1/40 Sek
Blendenwert:
f/3.9
ISO:
200
Blitz:
Blitz nicht ausgelöst, Erzwungener Blitzmodus
Kamera-Hersteller:
OLYMPUS IMAGING CORP.
Kamera-Modell:
SZ-20
Belichtungsmodus:
Automatikprogramm
Belichtungskorrektur:
0 EV
Belichtungsmessung:
Muster
unbekannter Baum-3a.JPG
unbekannter Baum-3a.JPG (86.97 KiB) 2407 mal betrachtet
Originalwert Bild aufgenommen am/um:
2012:06:28 18:28:49
Bild aufgenommen am/um:
Do 28. Jun 2012, 16:28
Brennweite:
6.7 mm
Belichtungszeit:
1/40 Sek
Blendenwert:
f/3.9
ISO:
125
Blitz:
Blitz nicht ausgelöst, Erzwungener Blitzmodus
Kamera-Hersteller:
OLYMPUS IMAGING CORP.
Kamera-Modell:
SZ-20
Belichtungsmodus:
Automatikprogramm
Belichtungskorrektur:
0 EV
Belichtungsmessung:
Muster
unbekannter Baum-4.JPG
unbekannter Baum-4.JPG (69.33 KiB) 2407 mal betrachtet
Originalwert Bild aufgenommen am/um:
2012:06:28 18:30:41
Bild aufgenommen am/um:
Do 28. Jun 2012, 16:30
Brennweite:
6.7 mm
Belichtungszeit:
1/40 Sek
Blendenwert:
f/3.9
ISO:
80
Blitz:
Blitz nicht ausgelöst, Erzwungener Blitzmodus
Kamera-Hersteller:
OLYMPUS IMAGING CORP.
Kamera-Modell:
SZ-20
Belichtungsmodus:
Automatikprogramm
Belichtungskorrektur:
0 EV
Belichtungsmessung:
Muster
VG Peter
Wissen ist das einzige Gut, das sich vermehrt, wenn man es teilt.
Marie Freifrau von Ebner - Eschenbach (1830 - 1916)
sandfloh
Junior Poster
Beiträge: 62
Registriert: Fr 5. Aug 2011, 05:22
Kamera: Nikon D40

Re: Was habe ich hier gesehen ?

Ungelesener Beitrag von sandfloh »

Hallo,
das ist eine Felsenbirne, Gattung Amelanchier. Mehr kann ich im Moment nicht sagen, bin etwas Frust-angetrunken nach dem miesen Spiel unserer Mannschaft heute, sorry. :un:

Ich sehe hier keinen auffälligen weißen Belag, die Flecken halte ich für Fraßstellen.

Gruß Matthias
Gruß Matthias
Antworten