Ruhraue Duisburg/Oberhausen/Mülheim 04.04.2020

Spezialforum zum Thema phytoparasitische Kleinpilze ( Rost, Brand, Mehltaupilze etc. ) und tierische Gallen an Wild.- und Nutzpflanzen. Forumsstart - 15.07.2006
bjoerns
alter Hase
Beiträge: 532
Registriert: Mo 3. Sep 2018, 21:21
Kamera: Canon EOS 600D
Canon EF-S 60mm f/2.8 Macro USM
Motic Panthera C
Kontaktdaten:

Ruhraue Duisburg/Oberhausen/Mülheim 04.04.2020

Ungelesener Beitrag von bjoerns »

Hallo zusammen,

am letzten Samstag habe ich mich zu einer größeren Tour Richtung Ruhr aufgemacht und dort das Städtedreieck Duisburg/Oberhausen/Mülheim erkundet. Da es dort zahlreiche Pflanzen gibt, fanden sich natürlich auch etliche Phytoparasiten, die ich hier vorstellen möchte.

1. Entyloma ficariae ex Ficaria verna
Ruhraue-0005.jpg
Ruhraue-0005.jpg (237.28 KiB) 5119 mal betrachtet
Originalwert Bild aufgenommen am/um:
2020:04:04 09:35:40
Bild aufgenommen am/um:
Sa 4. Apr 2020, 07:35
Brennweite:
60 mm
Belichtungszeit:
1/100 Sek
Blendenwert:
f/8
ISO:
1250
Weißabgleich:
Manuell
Blitz:
Blitz nicht ausgelöst, Erzwungener Blitzmodus
Kamera-Hersteller:
Canon
Kamera-Modell:
Canon EOS 600D
Belichtungsmodus:
Blendenvorwahl
Belichtungskorrektur:
-1/3 EV
Belichtungsmessung:
Muster
Koordinaten:
N 51 26.235068 0/ E 6 48.813376 0
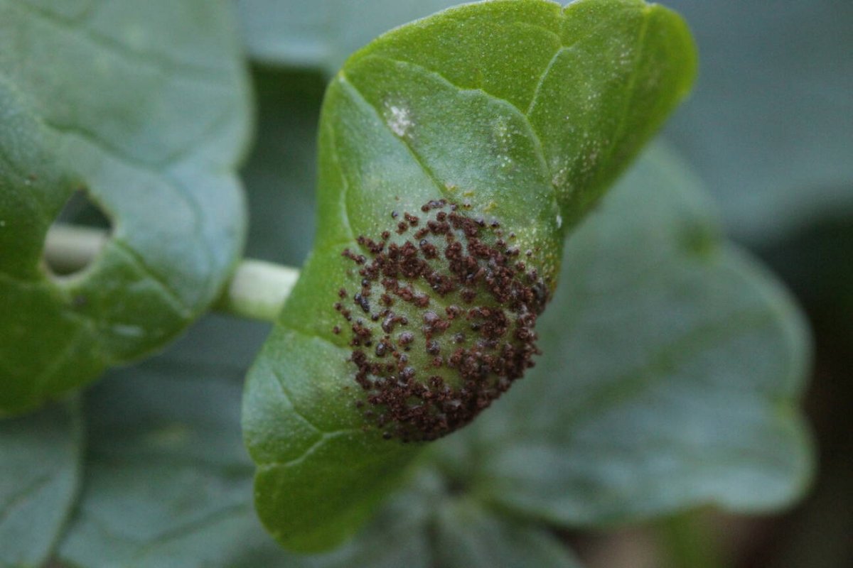
2. Uromyces ficariae ex Ficaria verna
Ruhraue-0006.jpg
Ruhraue-0006.jpg (114.35 KiB) 5119 mal betrachtet
Originalwert Bild aufgenommen am/um:
2020:04:04 09:36:14
Bild aufgenommen am/um:
Sa 4. Apr 2020, 07:36
Brennweite:
60 mm
Belichtungszeit:
1/50 Sek
Blendenwert:
f/8
ISO:
3200
Weißabgleich:
Manuell
Blitz:
Blitz nicht ausgelöst, Erzwungener Blitzmodus
Kamera-Hersteller:
Canon
Kamera-Modell:
Canon EOS 600D
Belichtungsmodus:
Blendenvorwahl
Belichtungskorrektur:
-1/3 EV
Belichtungsmessung:
Muster
Koordinaten:
N 51 26.235068 0/ E 6 48.813376 0
Ruhraue-0007.jpg
Ruhraue-0007.jpg (126.08 KiB) 5119 mal betrachtet
Originalwert Bild aufgenommen am/um:
2020:04:04 09:36:22
Bild aufgenommen am/um:
Sa 4. Apr 2020, 07:36
Brennweite:
60 mm
Belichtungszeit:
1/60 Sek
Blendenwert:
f/8
ISO:
3200
Weißabgleich:
Manuell
Blitz:
Blitz nicht ausgelöst, Erzwungener Blitzmodus
Kamera-Hersteller:
Canon
Kamera-Modell:
Canon EOS 600D
Belichtungsmodus:
Blendenvorwahl
Belichtungskorrektur:
-1/3 EV
Belichtungsmessung:
Muster
Koordinaten:
N 51 26.235068 0/ E 6 48.813376 0
Ruhraue-0062.jpg
Ruhraue-0062.jpg (204.09 KiB) 5119 mal betrachtet
Originalwert Bild aufgenommen am/um:
2020:04:04 16:38:08
Bild aufgenommen am/um:
Sa 4. Apr 2020, 14:38
Brennweite:
50 mm
Belichtungszeit:
1/800 Sek
Blendenwert:
f/0
ISO:
100
Weißabgleich:
Manuell
Blitz:
Blitz nicht ausgelöst, Erzwungener Blitzmodus
Kamera-Hersteller:
Canon
Kamera-Modell:
Canon EOS 600D
Belichtungsmodus:
Blendenvorwahl
Belichtungskorrektur:
1/1 EV
Belichtungsmessung:
Muster
Ruhraue-0063.jpg
Ruhraue-0063.jpg (237.83 KiB) 5119 mal betrachtet
Originalwert Bild aufgenommen am/um:
2020:04:04 16:38:32
Bild aufgenommen am/um:
Sa 4. Apr 2020, 14:38
Brennweite:
50 mm
Belichtungszeit:
1/640 Sek
Blendenwert:
f/0
ISO:
100
Weißabgleich:
Manuell
Blitz:
Blitz nicht ausgelöst, Erzwungener Blitzmodus
Kamera-Hersteller:
Canon
Kamera-Modell:
Canon EOS 600D
Belichtungsmodus:
Blendenvorwahl
Belichtungskorrektur:
1/1 EV
Belichtungsmessung:
Muster
Ruhraue-0064.jpg
Ruhraue-0064.jpg (242.26 KiB) 5119 mal betrachtet
Originalwert Bild aufgenommen am/um:
2020:04:04 16:38:49
Bild aufgenommen am/um:
Sa 4. Apr 2020, 14:38
Brennweite:
50 mm
Belichtungszeit:
1/640 Sek
Blendenwert:
f/0
ISO:
100
Weißabgleich:
Manuell
Blitz:
Blitz nicht ausgelöst, Erzwungener Blitzmodus
Kamera-Hersteller:
Canon
Kamera-Modell:
Canon EOS 600D
Belichtungsmodus:
Blendenvorwahl
Belichtungskorrektur:
1/1 EV
Belichtungsmessung:
Muster
Ruhraue-0065.jpg
Ruhraue-0065.jpg (178.48 KiB) 5119 mal betrachtet
Originalwert Bild aufgenommen am/um:
2020:04:04 16:40:05
Bild aufgenommen am/um:
Sa 4. Apr 2020, 14:40
Brennweite:
50 mm
Belichtungszeit:
1/200 Sek
Blendenwert:
f/0
ISO:
100
Weißabgleich:
Manuell
Blitz:
Blitz nicht ausgelöst, Erzwungener Blitzmodus
Kamera-Hersteller:
Canon
Kamera-Modell:
Canon EOS 600D
Belichtungsmodus:
Blendenvorwahl
Belichtungskorrektur:
1/1 EV
Belichtungsmessung:
Muster
Ruhraue-0066.jpg
Ruhraue-0066.jpg (181.21 KiB) 5119 mal betrachtet
Originalwert Bild aufgenommen am/um:
2020:04:04 16:40:18
Bild aufgenommen am/um:
Sa 4. Apr 2020, 14:40
Brennweite:
50 mm
Belichtungszeit:
1/160 Sek
Blendenwert:
f/0
ISO:
100
Weißabgleich:
Manuell
Blitz:
Blitz nicht ausgelöst, Erzwungener Blitzmodus
Kamera-Hersteller:
Canon
Kamera-Modell:
Canon EOS 600D
Belichtungsmodus:
Blendenvorwahl
Belichtungskorrektur:
1/1 EV
Belichtungsmessung:
Muster
3. Albugo candida s.l. ex Cardamine hirsuta
Ruhraue-0009.jpg
Ruhraue-0009.jpg (333.82 KiB) 5119 mal betrachtet
Originalwert Bild aufgenommen am/um:
2020:04:04 09:46:31
Bild aufgenommen am/um:
Sa 4. Apr 2020, 07:46
Brennweite:
60 mm
Belichtungszeit:
1/125 Sek
Blendenwert:
f/8
ISO:
100
Weißabgleich:
Manuell
Blitz:
Blitz nicht ausgelöst, Erzwungener Blitzmodus
Kamera-Hersteller:
Canon
Kamera-Modell:
Canon EOS 600D
Belichtungsmodus:
Blendenvorwahl
Belichtungskorrektur:
-1/3 EV
Belichtungsmessung:
Muster
Koordinaten:
N 51 26.354246 0/ E 6 49.151335 0
Ruhraue-0067.jpg
Ruhraue-0067.jpg (71.92 KiB) 5119 mal betrachtet
Originalwert Bild aufgenommen am/um:
2020:04:04 16:48:06
Bild aufgenommen am/um:
Sa 4. Apr 2020, 14:48
Brennweite:
50 mm
Belichtungszeit:
1/320 Sek
Blendenwert:
f/0
ISO:
100
Weißabgleich:
Manuell
Blitz:
Blitz nicht ausgelöst, Erzwungener Blitzmodus
Kamera-Hersteller:
Canon
Kamera-Modell:
Canon EOS 600D
Belichtungsmodus:
Blendenvorwahl
Belichtungskorrektur:
1/1 EV
Belichtungsmessung:
Muster
4. Peronospora ficariae ex Ficaria verna
Ruhraue-0011.jpg
Ruhraue-0011.jpg (262.47 KiB) 5119 mal betrachtet
Originalwert Bild aufgenommen am/um:
2020:04:04 09:57:05
Bild aufgenommen am/um:
Sa 4. Apr 2020, 07:57
Brennweite:
60 mm
Belichtungszeit:
1/80 Sek
Blendenwert:
f/8
ISO:
400
Weißabgleich:
Manuell
Blitz:
Blitz nicht ausgelöst, Erzwungener Blitzmodus
Kamera-Hersteller:
Canon
Kamera-Modell:
Canon EOS 600D
Belichtungsmodus:
Blendenvorwahl
Belichtungskorrektur:
-1/3 EV
Belichtungsmessung:
Muster
Koordinaten:
N 51 26.457169 0/ E 6 49.264309 0
5. Hier vermute ich eine Veronica, aber sich bin ich mir da absolut nicht.
Ruhraue-0012.jpg
Ruhraue-0012.jpg (164.9 KiB) 5119 mal betrachtet
Originalwert Bild aufgenommen am/um:
2020:04:04 09:57:24
Bild aufgenommen am/um:
Sa 4. Apr 2020, 07:57
Brennweite:
60 mm
Belichtungszeit:
1/100 Sek
Blendenwert:
f/8
ISO:
1000
Weißabgleich:
Manuell
Blitz:
Blitz nicht ausgelöst, Erzwungener Blitzmodus
Kamera-Hersteller:
Canon
Kamera-Modell:
Canon EOS 600D
Belichtungsmodus:
Blendenvorwahl
Belichtungskorrektur:
-1/3 EV
Belichtungsmessung:
Muster
Koordinaten:
N 51 26.457169 0/ E 6 49.264309 0
Ruhraue-0014.jpg
Ruhraue-0014.jpg (116.75 KiB) 5119 mal betrachtet
Originalwert Bild aufgenommen am/um:
2020:04:04 09:58:02
Bild aufgenommen am/um:
Sa 4. Apr 2020, 07:58
Brennweite:
60 mm
Belichtungszeit:
1/80 Sek
Blendenwert:
f/8
ISO:
1000
Weißabgleich:
Manuell
Blitz:
Blitz nicht ausgelöst, Erzwungener Blitzmodus
Kamera-Hersteller:
Canon
Kamera-Modell:
Canon EOS 600D
Belichtungsmodus:
Blendenvorwahl
Belichtungskorrektur:
-1/3 EV
Belichtungsmessung:
Muster
Koordinaten:
N 51 26.457169 0/ E 6 49.264309 0
Ruhraue-0017.jpg
Ruhraue-0017.jpg (297.56 KiB) 5119 mal betrachtet
Originalwert Bild aufgenommen am/um:
2020:04:04 10:03:42
Bild aufgenommen am/um:
Sa 4. Apr 2020, 08:03
Brennweite:
60 mm
Belichtungszeit:
1/100 Sek
Blendenwert:
f/8
ISO:
640
Weißabgleich:
Manuell
Blitz:
Blitz nicht ausgelöst, Erzwungener Blitzmodus
Kamera-Hersteller:
Canon
Kamera-Modell:
Canon EOS 600D
Belichtungsmodus:
Blendenvorwahl
Belichtungskorrektur:
-1/3 EV
Belichtungsmessung:
Muster
Koordinaten:
N 51 26.404404 0/ E 6 49.407539 0
Ruhraue-0109.jpg
Ruhraue-0109.jpg (78.72 KiB) 5119 mal betrachtet
Originalwert Bild aufgenommen am/um:
2020:04:04 20:42:12
Bild aufgenommen am/um:
Sa 4. Apr 2020, 18:42
Brennweite:
50 mm
Belichtungszeit:
1/500 Sek
Blendenwert:
f/0
ISO:
100
Weißabgleich:
Manuell
Blitz:
Blitz nicht ausgelöst, Erzwungener Blitzmodus
Kamera-Hersteller:
Canon
Kamera-Modell:
Canon EOS 600D
Belichtungsmodus:
Blendenvorwahl
Belichtungskorrektur:
1/1 EV
Belichtungsmessung:
Muster
Ruhraue-0110.jpg
Ruhraue-0110.jpg (179.23 KiB) 5119 mal betrachtet
Originalwert Bild aufgenommen am/um:
2020:04:04 20:42:26
Bild aufgenommen am/um:
Sa 4. Apr 2020, 18:42
Brennweite:
50 mm
Belichtungszeit:
1/400 Sek
Blendenwert:
f/0
ISO:
100
Weißabgleich:
Manuell
Blitz:
Blitz nicht ausgelöst, Erzwungener Blitzmodus
Kamera-Hersteller:
Canon
Kamera-Modell:
Canon EOS 600D
Belichtungsmodus:
Blendenvorwahl
Belichtungskorrektur:
1/1 EV
Belichtungsmessung:
Muster
Ruhraue-0111.jpg
Ruhraue-0111.jpg (124.92 KiB) 5119 mal betrachtet
Originalwert Bild aufgenommen am/um:
2020:04:04 20:42:44
Bild aufgenommen am/um:
Sa 4. Apr 2020, 18:42
Brennweite:
50 mm
Belichtungszeit:
1/400 Sek
Blendenwert:
f/0
ISO:
100
Weißabgleich:
Manuell
Blitz:
Blitz nicht ausgelöst, Erzwungener Blitzmodus
Kamera-Hersteller:
Canon
Kamera-Modell:
Canon EOS 600D
Belichtungsmodus:
Blendenvorwahl
Belichtungskorrektur:
1/1 EV
Belichtungsmessung:
Muster
6. Peronospora arvensis ex Veronica hederifolia agg.
Ruhraue-0017.jpg
Ruhraue-0017.jpg (297.56 KiB) 5119 mal betrachtet
Originalwert Bild aufgenommen am/um:
2020:04:04 10:03:42
Bild aufgenommen am/um:
Sa 4. Apr 2020, 08:03
Brennweite:
60 mm
Belichtungszeit:
1/100 Sek
Blendenwert:
f/8
ISO:
640
Weißabgleich:
Manuell
Blitz:
Blitz nicht ausgelöst, Erzwungener Blitzmodus
Kamera-Hersteller:
Canon
Kamera-Modell:
Canon EOS 600D
Belichtungsmodus:
Blendenvorwahl
Belichtungskorrektur:
-1/3 EV
Belichtungsmessung:
Muster
Koordinaten:
N 51 26.404404 0/ E 6 49.407539 0
Ruhraue-0018.jpg
Ruhraue-0018.jpg (129.42 KiB) 5119 mal betrachtet
Originalwert Bild aufgenommen am/um:
2020:04:04 10:04:10
Bild aufgenommen am/um:
Sa 4. Apr 2020, 08:04
Brennweite:
60 mm
Belichtungszeit:
1/100 Sek
Blendenwert:
f/8
ISO:
2500
Weißabgleich:
Manuell
Blitz:
Blitz nicht ausgelöst, Erzwungener Blitzmodus
Kamera-Hersteller:
Canon
Kamera-Modell:
Canon EOS 600D
Belichtungsmodus:
Blendenvorwahl
Belichtungskorrektur:
-1/3 EV
Belichtungsmessung:
Muster
Koordinaten:
N 51 26.404404 0/ E 6 49.407539 0
Ruhraue-0106.jpg
Ruhraue-0106.jpg (115.36 KiB) 5119 mal betrachtet
Originalwert Bild aufgenommen am/um:
2020:04:04 20:37:09
Bild aufgenommen am/um:
Sa 4. Apr 2020, 18:37
Brennweite:
50 mm
Belichtungszeit:
1/640 Sek
Blendenwert:
f/0
ISO:
100
Weißabgleich:
Manuell
Blitz:
Blitz nicht ausgelöst, Erzwungener Blitzmodus
Kamera-Hersteller:
Canon
Kamera-Modell:
Canon EOS 600D
Belichtungsmodus:
Blendenvorwahl
Belichtungskorrektur:
1/1 EV
Belichtungsmessung:
Muster
Ruhraue-0107.jpg
Ruhraue-0107.jpg (66.18 KiB) 5119 mal betrachtet
Originalwert Bild aufgenommen am/um:
2020:04:04 20:38:56
Bild aufgenommen am/um:
Sa 4. Apr 2020, 18:38
Brennweite:
50 mm
Belichtungszeit:
1/500 Sek
Blendenwert:
f/0
ISO:
100
Weißabgleich:
Manuell
Blitz:
Blitz nicht ausgelöst, Erzwungener Blitzmodus
Kamera-Hersteller:
Canon
Kamera-Modell:
Canon EOS 600D
Belichtungsmodus:
Blendenvorwahl
Belichtungskorrektur:
1/1 EV
Belichtungsmessung:
Muster
Ruhraue-0108.jpg
Ruhraue-0108.jpg (191.53 KiB) 5119 mal betrachtet
Originalwert Bild aufgenommen am/um:
2020:04:04 20:39:13
Bild aufgenommen am/um:
Sa 4. Apr 2020, 18:39
Brennweite:
50 mm
Belichtungszeit:
1/500 Sek
Blendenwert:
f/0
ISO:
100
Weißabgleich:
Manuell
Blitz:
Blitz nicht ausgelöst, Erzwungener Blitzmodus
Kamera-Hersteller:
Canon
Kamera-Modell:
Canon EOS 600D
Belichtungsmodus:
Blendenvorwahl
Belichtungskorrektur:
1/1 EV
Belichtungsmessung:
Muster
7. Das sollte Peronospora tomentosa ex Cerastium glomeratum sein
Ruhraue-0019.jpg
Ruhraue-0019.jpg (230.29 KiB) 5119 mal betrachtet
Originalwert Bild aufgenommen am/um:
2020:04:04 10:08:43
Bild aufgenommen am/um:
Sa 4. Apr 2020, 08:08
Brennweite:
60 mm
Belichtungszeit:
1/100 Sek
Blendenwert:
f/8
ISO:
320
Weißabgleich:
Manuell
Blitz:
Blitz nicht ausgelöst, Erzwungener Blitzmodus
Kamera-Hersteller:
Canon
Kamera-Modell:
Canon EOS 600D
Belichtungsmodus:
Blendenvorwahl
Belichtungskorrektur:
-1/3 EV
Belichtungsmessung:
Muster
Koordinaten:
N 51 26.448342 0/ E 6 49.507639 0
Ruhraue-0020.jpg
Ruhraue-0020.jpg (81.59 KiB) 5119 mal betrachtet
Originalwert Bild aufgenommen am/um:
2020:04:04 10:08:56
Bild aufgenommen am/um:
Sa 4. Apr 2020, 08:08
Brennweite:
60 mm
Belichtungszeit:
1/80 Sek
Blendenwert:
f/8
ISO:
400
Weißabgleich:
Manuell
Blitz:
Blitz nicht ausgelöst, Erzwungener Blitzmodus
Kamera-Hersteller:
Canon
Kamera-Modell:
Canon EOS 600D
Belichtungsmodus:
Blendenvorwahl
Belichtungskorrektur:
-1/3 EV
Belichtungsmessung:
Muster
Koordinaten:
N 51 26.448342 0/ E 6 49.507639 0
Ruhraue-0022.jpg
Ruhraue-0022.jpg (136.19 KiB) 5119 mal betrachtet
Originalwert Bild aufgenommen am/um:
2020:04:04 10:09:06
Bild aufgenommen am/um:
Sa 4. Apr 2020, 08:09
Brennweite:
60 mm
Belichtungszeit:
1/80 Sek
Blendenwert:
f/8
ISO:
400
Weißabgleich:
Manuell
Blitz:
Blitz nicht ausgelöst, Erzwungener Blitzmodus
Kamera-Hersteller:
Canon
Kamera-Modell:
Canon EOS 600D
Belichtungsmodus:
Blendenvorwahl
Belichtungskorrektur:
-1/3 EV
Belichtungsmessung:
Muster
Koordinaten:
N 51 26.448342 0/ E 6 49.507639 0
Ruhraue-0024.jpg
Ruhraue-0024.jpg (86.72 KiB) 5119 mal betrachtet
Originalwert Bild aufgenommen am/um:
2020:04:04 10:09:25
Bild aufgenommen am/um:
Sa 4. Apr 2020, 08:09
Brennweite:
60 mm
Belichtungszeit:
1/80 Sek
Blendenwert:
f/8
ISO:
400
Weißabgleich:
Manuell
Blitz:
Blitz nicht ausgelöst, Erzwungener Blitzmodus
Kamera-Hersteller:
Canon
Kamera-Modell:
Canon EOS 600D
Belichtungsmodus:
Blendenvorwahl
Belichtungskorrektur:
-1/3 EV
Belichtungsmessung:
Muster
Koordinaten:
N 51 26.448342 0/ E 6 49.507639 0
Ruhraue-0102.jpg
Ruhraue-0102.jpg (119.24 KiB) 5119 mal betrachtet
Originalwert Bild aufgenommen am/um:
2020:04:04 20:27:11
Bild aufgenommen am/um:
Sa 4. Apr 2020, 18:27
Brennweite:
50 mm
Belichtungszeit:
1/640 Sek
Blendenwert:
f/0
ISO:
100
Weißabgleich:
Manuell
Blitz:
Blitz nicht ausgelöst, Erzwungener Blitzmodus
Kamera-Hersteller:
Canon
Kamera-Modell:
Canon EOS 600D
Belichtungsmodus:
Blendenvorwahl
Belichtungskorrektur:
1/1 EV
Belichtungsmessung:
Muster
Ruhraue-0103.jpg
Ruhraue-0103.jpg (101.53 KiB) 5119 mal betrachtet
Originalwert Bild aufgenommen am/um:
2020:04:04 20:27:30
Bild aufgenommen am/um:
Sa 4. Apr 2020, 18:27
Brennweite:
50 mm
Belichtungszeit:
1/640 Sek
Blendenwert:
f/0
ISO:
100
Weißabgleich:
Manuell
Blitz:
Blitz nicht ausgelöst, Erzwungener Blitzmodus
Kamera-Hersteller:
Canon
Kamera-Modell:
Canon EOS 600D
Belichtungsmodus:
Blendenvorwahl
Belichtungskorrektur:
1/1 EV
Belichtungsmessung:
Muster
Ruhraue-0104.jpg
Ruhraue-0104.jpg (171.61 KiB) 5119 mal betrachtet
Originalwert Bild aufgenommen am/um:
2020:04:04 20:27:44
Bild aufgenommen am/um:
Sa 4. Apr 2020, 18:27
Brennweite:
50 mm
Belichtungszeit:
1/640 Sek
Blendenwert:
f/0
ISO:
100
Weißabgleich:
Manuell
Blitz:
Blitz nicht ausgelöst, Erzwungener Blitzmodus
Kamera-Hersteller:
Canon
Kamera-Modell:
Canon EOS 600D
Belichtungsmodus:
Blendenvorwahl
Belichtungskorrektur:
1/1 EV
Belichtungsmessung:
Muster
Ruhraue-0105.jpg
Ruhraue-0105.jpg (170.1 KiB) 5119 mal betrachtet
Originalwert Bild aufgenommen am/um:
2020:04:04 20:28:13
Bild aufgenommen am/um:
Sa 4. Apr 2020, 18:28
Brennweite:
50 mm
Belichtungszeit:
1/640 Sek
Blendenwert:
f/0
ISO:
100
Weißabgleich:
Manuell
Blitz:
Blitz nicht ausgelöst, Erzwungener Blitzmodus
Kamera-Hersteller:
Canon
Kamera-Modell:
Canon EOS 600D
Belichtungsmodus:
Blendenvorwahl
Belichtungskorrektur:
1/1 EV
Belichtungsmessung:
Muster
Teil 2 folgt sofort....
bjoerns
alter Hase
Beiträge: 532
Registriert: Mo 3. Sep 2018, 21:21
Kamera: Canon EOS 600D
Canon EF-S 60mm f/2.8 Macro USM
Motic Panthera C
Kontaktdaten:

Re: Ruhraue Duisburg/Oberhausen/Mülheim 04.04.2020

Ungelesener Beitrag von bjoerns »

8. Mal wieder ein Uromyces ex Ficaria verna. Sporengröße (21.0+-1.1) µm. Abfallende Plättchen habe ich keine gesehen und auch keine kahlen Stellen, deshalb vorsichtige Tendenz zu U. poae.
Ruhraue-0036.jpg
Ruhraue-0036.jpg (173.44 KiB) 5118 mal betrachtet
Originalwert Bild aufgenommen am/um:
2020:04:04 10:53:43
Bild aufgenommen am/um:
Sa 4. Apr 2020, 08:53
Brennweite:
60 mm
Belichtungszeit:
1/100 Sek
Blendenwert:
f/8
ISO:
640
Weißabgleich:
Manuell
Blitz:
Blitz nicht ausgelöst, Erzwungener Blitzmodus
Kamera-Hersteller:
Canon
Kamera-Modell:
Canon EOS 600D
Belichtungsmodus:
Blendenvorwahl
Belichtungskorrektur:
-1/3 EV
Belichtungsmessung:
Muster
Koordinaten:
N 51 27.160109 0/ E 6 49.517428 0
Ruhraue-0100.jpg
Ruhraue-0100.jpg (67.64 KiB) 5118 mal betrachtet
Originalwert Bild aufgenommen am/um:
2020:04:04 20:06:50
Bild aufgenommen am/um:
Sa 4. Apr 2020, 18:06
Brennweite:
50 mm
Belichtungszeit:
1/320 Sek
Blendenwert:
f/0
ISO:
100
Weißabgleich:
Manuell
Blitz:
Blitz nicht ausgelöst, Erzwungener Blitzmodus
Kamera-Hersteller:
Canon
Kamera-Modell:
Canon EOS 600D
Belichtungsmodus:
Blendenvorwahl
Belichtungskorrektur:
1/1 EV
Belichtungsmessung:
Muster
Ruhraue-0101.jpg
Ruhraue-0101.jpg (126.06 KiB) 5118 mal betrachtet
Originalwert Bild aufgenommen am/um:
2020:04:04 20:08:16
Bild aufgenommen am/um:
Sa 4. Apr 2020, 18:08
Brennweite:
50 mm
Belichtungszeit:
1/250 Sek
Blendenwert:
f/0
ISO:
100
Weißabgleich:
Manuell
Blitz:
Blitz nicht ausgelöst, Erzwungener Blitzmodus
Kamera-Hersteller:
Canon
Kamera-Modell:
Canon EOS 600D
Belichtungsmodus:
Blendenvorwahl
Belichtungskorrektur:
1/1 EV
Belichtungsmessung:
Muster
9. Septoria stellariae ex Stellaria media agg.
Ruhraue-0037.jpg
Ruhraue-0037.jpg (209.03 KiB) 5118 mal betrachtet
Originalwert Bild aufgenommen am/um:
2020:04:04 11:24:50
Bild aufgenommen am/um:
Sa 4. Apr 2020, 09:24
Brennweite:
60 mm
Belichtungszeit:
1/80 Sek
Blendenwert:
f/8
ISO:
400
Weißabgleich:
Manuell
Blitz:
Blitz nicht ausgelöst, Erzwungener Blitzmodus
Kamera-Hersteller:
Canon
Kamera-Modell:
Canon EOS 600D
Belichtungsmodus:
Blendenvorwahl
Belichtungskorrektur:
-1/3 EV
Belichtungsmessung:
Muster
Koordinaten:
N 51 27.239897 0/ E 6 48.487264 0
Ruhraue-0038.jpg
Ruhraue-0038.jpg (97.85 KiB) 5118 mal betrachtet
Originalwert Bild aufgenommen am/um:
2020:04:04 11:26:26
Bild aufgenommen am/um:
Sa 4. Apr 2020, 09:26
Brennweite:
60 mm
Belichtungszeit:
1/80 Sek
Blendenwert:
f/8
ISO:
800
Weißabgleich:
Manuell
Blitz:
Blitz nicht ausgelöst, Erzwungener Blitzmodus
Kamera-Hersteller:
Canon
Kamera-Modell:
Canon EOS 600D
Belichtungsmodus:
Blendenvorwahl
Belichtungskorrektur:
-1/3 EV
Belichtungsmessung:
Muster
Koordinaten:
N 51 27.239897 0/ E 6 48.487264 0
10. Uromyces ex Ficaria verna. Sporengröße (21.7+-1.4) µm. Auch hier keine Plättchen oder Pläten, deshalb auch tendenziell U. poae
Ruhraue-0039.jpg
Ruhraue-0039.jpg (131.62 KiB) 5118 mal betrachtet
Originalwert Bild aufgenommen am/um:
2020:04:04 11:28:13
Bild aufgenommen am/um:
Sa 4. Apr 2020, 09:28
Brennweite:
60 mm
Belichtungszeit:
1/100 Sek
Blendenwert:
f/8
ISO:
800
Weißabgleich:
Manuell
Blitz:
Blitz nicht ausgelöst, Erzwungener Blitzmodus
Kamera-Hersteller:
Canon
Kamera-Modell:
Canon EOS 600D
Belichtungsmodus:
Blendenvorwahl
Belichtungskorrektur:
-1/3 EV
Belichtungsmessung:
Muster
Koordinaten:
N 51 27.179202 0/ E 6 48.45122 0
Ruhraue-0042.jpg
Ruhraue-0042.jpg (139.09 KiB) 5118 mal betrachtet
Originalwert Bild aufgenommen am/um:
2020:04:04 11:28:22
Bild aufgenommen am/um:
Sa 4. Apr 2020, 09:28
Brennweite:
60 mm
Belichtungszeit:
1/100 Sek
Blendenwert:
f/8
ISO:
640
Weißabgleich:
Manuell
Blitz:
Blitz nicht ausgelöst, Erzwungener Blitzmodus
Kamera-Hersteller:
Canon
Kamera-Modell:
Canon EOS 600D
Belichtungsmodus:
Blendenvorwahl
Belichtungskorrektur:
-1/3 EV
Belichtungsmessung:
Muster
Koordinaten:
N 51 27.179202 0/ E 6 48.45122 0
Ruhraue-0089.jpg
Ruhraue-0089.jpg (81.74 KiB) 5118 mal betrachtet
Originalwert Bild aufgenommen am/um:
2020:04:04 19:45:20
Bild aufgenommen am/um:
Sa 4. Apr 2020, 17:45
Brennweite:
50 mm
Belichtungszeit:
1/320 Sek
Blendenwert:
f/0
ISO:
100
Weißabgleich:
Manuell
Blitz:
Blitz nicht ausgelöst, Erzwungener Blitzmodus
Kamera-Hersteller:
Canon
Kamera-Modell:
Canon EOS 600D
Belichtungsmodus:
Blendenvorwahl
Belichtungskorrektur:
1/1 EV
Belichtungsmessung:
Muster
Ruhraue-0090.jpg
Ruhraue-0090.jpg (81.64 KiB) 5118 mal betrachtet
Originalwert Bild aufgenommen am/um:
2020:04:04 19:45:35
Bild aufgenommen am/um:
Sa 4. Apr 2020, 17:45
Brennweite:
50 mm
Belichtungszeit:
1/320 Sek
Blendenwert:
f/0
ISO:
100
Weißabgleich:
Manuell
Blitz:
Blitz nicht ausgelöst, Erzwungener Blitzmodus
Kamera-Hersteller:
Canon
Kamera-Modell:
Canon EOS 600D
Belichtungsmodus:
Blendenvorwahl
Belichtungskorrektur:
1/1 EV
Belichtungsmessung:
Muster
Ruhraue-0091.jpg
Ruhraue-0091.jpg (133.38 KiB) 5118 mal betrachtet
Originalwert Bild aufgenommen am/um:
2020:04:04 19:46:10
Bild aufgenommen am/um:
Sa 4. Apr 2020, 17:46
Brennweite:
50 mm
Belichtungszeit:
1/250 Sek
Blendenwert:
f/0
ISO:
100
Weißabgleich:
Manuell
Blitz:
Blitz nicht ausgelöst, Erzwungener Blitzmodus
Kamera-Hersteller:
Canon
Kamera-Modell:
Canon EOS 600D
Belichtungsmodus:
Blendenvorwahl
Belichtungskorrektur:
1/1 EV
Belichtungsmessung:
Muster
11. Dann habe ich auf einer Pflanze ohne Blüten eine Entyloma gefunden. Aber was ist hier der Wirt? Da ich keine Idee hatte, bin ich dann einfach mal alle Entylomas auf Jules Homepage durchgegangen und habe verglichen. Es paßte eigentlich nur Myosotis, was Jule mir auch zwischenzeitlich bei FB bestätigt hat. Also Entyloma fergussonii ex Myosotis sp. Ein Erstfund für mich und gleichzeitig auch ein Rundbrief-Pilz, nach dem ich schon ein Weilchen Ausschau halte.
Ruhraue-0056.jpg
Ruhraue-0056.jpg (231.53 KiB) 5118 mal betrachtet
Originalwert Bild aufgenommen am/um:
2020:04:04 12:02:19
Bild aufgenommen am/um:
Sa 4. Apr 2020, 10:02
Brennweite:
60 mm
Belichtungszeit:
1/80 Sek
Blendenwert:
f/8
ISO:
320
Weißabgleich:
Manuell
Blitz:
Blitz nicht ausgelöst, Erzwungener Blitzmodus
Kamera-Hersteller:
Canon
Kamera-Modell:
Canon EOS 600D
Belichtungsmodus:
Blendenvorwahl
Belichtungskorrektur:
-1/3 EV
Belichtungsmessung:
Muster
Koordinaten:
N 51 27.095983 0/ E 6 47.579597 0
Ruhraue-0057.jpg
Ruhraue-0057.jpg (149.52 KiB) 5118 mal betrachtet
Originalwert Bild aufgenommen am/um:
2020:04:04 12:02:26
Bild aufgenommen am/um:
Sa 4. Apr 2020, 10:02
Brennweite:
60 mm
Belichtungszeit:
1/80 Sek
Blendenwert:
f/8
ISO:
500
Weißabgleich:
Manuell
Blitz:
Blitz nicht ausgelöst, Erzwungener Blitzmodus
Kamera-Hersteller:
Canon
Kamera-Modell:
Canon EOS 600D
Belichtungsmodus:
Blendenvorwahl
Belichtungskorrektur:
-1/3 EV
Belichtungsmessung:
Muster
Koordinaten:
N 51 27.095983 0/ E 6 47.579597 0
Ruhraue-0058.jpg
Ruhraue-0058.jpg (159.64 KiB) 5118 mal betrachtet
Originalwert Bild aufgenommen am/um:
2020:04:04 12:02:48
Bild aufgenommen am/um:
Sa 4. Apr 2020, 10:02
Brennweite:
60 mm
Belichtungszeit:
1/100 Sek
Blendenwert:
f/8
ISO:
1000
Weißabgleich:
Manuell
Blitz:
Blitz nicht ausgelöst, Erzwungener Blitzmodus
Kamera-Hersteller:
Canon
Kamera-Modell:
Canon EOS 600D
Belichtungsmodus:
Blendenvorwahl
Belichtungskorrektur:
-1/3 EV
Belichtungsmessung:
Muster
Koordinaten:
N 51 27.095983 0/ E 6 47.579597 0
Ruhraue-0081.jpg
Ruhraue-0081.jpg (212.44 KiB) 5118 mal betrachtet
Originalwert Bild aufgenommen am/um:
2020:04:04 17:34:32
Bild aufgenommen am/um:
Sa 4. Apr 2020, 15:34
Brennweite:
50 mm
Belichtungszeit:
1/640 Sek
Blendenwert:
f/0
ISO:
100
Weißabgleich:
Manuell
Blitz:
Blitz nicht ausgelöst, Erzwungener Blitzmodus
Kamera-Hersteller:
Canon
Kamera-Modell:
Canon EOS 600D
Belichtungsmodus:
Blendenvorwahl
Belichtungskorrektur:
1/1 EV
Belichtungsmessung:
Muster
Ruhraue-0082.jpg
Ruhraue-0082.jpg (181.41 KiB) 5118 mal betrachtet
Originalwert Bild aufgenommen am/um:
2020:04:04 17:37:16
Bild aufgenommen am/um:
Sa 4. Apr 2020, 15:37
Brennweite:
50 mm
Belichtungszeit:
1/800 Sek
Blendenwert:
f/0
ISO:
100
Weißabgleich:
Manuell
Blitz:
Blitz nicht ausgelöst, Erzwungener Blitzmodus
Kamera-Hersteller:
Canon
Kamera-Modell:
Canon EOS 600D
Belichtungsmodus:
Blendenvorwahl
Belichtungskorrektur:
1/1 EV
Belichtungsmessung:
Muster
Ruhraue-0083.jpg
Ruhraue-0083.jpg (139.55 KiB) 5118 mal betrachtet
Originalwert Bild aufgenommen am/um:
2020:04:04 17:37:58
Bild aufgenommen am/um:
Sa 4. Apr 2020, 15:37
Brennweite:
50 mm
Belichtungszeit:
1/200 Sek
Blendenwert:
f/0
ISO:
100
Weißabgleich:
Manuell
Blitz:
Blitz nicht ausgelöst, Erzwungener Blitzmodus
Kamera-Hersteller:
Canon
Kamera-Modell:
Canon EOS 600D
Belichtungsmodus:
Blendenvorwahl
Belichtungskorrektur:
1/1 EV
Belichtungsmessung:
Muster
12. Puccinia lapsanae ex Lapsana communis. Uredien statt Aecien, der Frühling ist scheinbar vorbei!
Ruhraue-0059.jpg
Ruhraue-0059.jpg (283.47 KiB) 5118 mal betrachtet
Originalwert Bild aufgenommen am/um:
2020:04:04 12:31:18
Bild aufgenommen am/um:
Sa 4. Apr 2020, 10:31
Brennweite:
60 mm
Belichtungszeit:
1/200 Sek
Blendenwert:
f/8
ISO:
100
Weißabgleich:
Manuell
Blitz:
Blitz nicht ausgelöst, Erzwungener Blitzmodus
Kamera-Hersteller:
Canon
Kamera-Modell:
Canon EOS 600D
Belichtungsmodus:
Blendenvorwahl
Belichtungskorrektur:
-1/3 EV
Belichtungsmessung:
Muster
Koordinaten:
N 51 26.536242 0/ E 6 47.787947 0
13. Ein Wiederfund, aber dieses Jahr dann mit besseren Mikrobildern: Uromyces hyacinthi ex Hyacinthoides sp. aus dem Botanischen Garten in Duisburg
Ruhraue-0061.jpg
Ruhraue-0061.jpg (113.68 KiB) 5118 mal betrachtet
Originalwert Bild aufgenommen am/um:
2020:04:04 12:58:35
Bild aufgenommen am/um:
Sa 4. Apr 2020, 10:58
Brennweite:
60 mm
Belichtungszeit:
1/125 Sek
Blendenwert:
f/8
ISO:
100
Weißabgleich:
Manuell
Blitz:
Blitz nicht ausgelöst, Erzwungener Blitzmodus
Kamera-Hersteller:
Canon
Kamera-Modell:
Canon EOS 600D
Belichtungsmodus:
Blendenvorwahl
Belichtungskorrektur:
-1/3 EV
Belichtungsmessung:
Muster
Koordinaten:
N 51 26.135687 0/ E 6 47.826814 0
Ruhraue-0068.jpg
Ruhraue-0068.jpg (220.07 KiB) 5118 mal betrachtet
Originalwert Bild aufgenommen am/um:
2020:04:04 16:53:44
Bild aufgenommen am/um:
Sa 4. Apr 2020, 14:53
Brennweite:
50 mm
Belichtungszeit:
1/640 Sek
Blendenwert:
f/0
ISO:
100
Weißabgleich:
Manuell
Blitz:
Blitz nicht ausgelöst, Erzwungener Blitzmodus
Kamera-Hersteller:
Canon
Kamera-Modell:
Canon EOS 600D
Belichtungsmodus:
Blendenvorwahl
Belichtungskorrektur:
1/1 EV
Belichtungsmessung:
Muster
Ruhraue-0069.jpg
Ruhraue-0069.jpg (189.3 KiB) 5118 mal betrachtet
Originalwert Bild aufgenommen am/um:
2020:04:04 16:54:11
Bild aufgenommen am/um:
Sa 4. Apr 2020, 14:54
Brennweite:
50 mm
Belichtungszeit:
1/800 Sek
Blendenwert:
f/0
ISO:
100
Weißabgleich:
Manuell
Blitz:
Blitz nicht ausgelöst, Erzwungener Blitzmodus
Kamera-Hersteller:
Canon
Kamera-Modell:
Canon EOS 600D
Belichtungsmodus:
Blendenvorwahl
Belichtungskorrektur:
1/1 EV
Belichtungsmessung:
Muster
Ruhraue-0070.jpg
Ruhraue-0070.jpg (207.49 KiB) 5118 mal betrachtet
Originalwert Bild aufgenommen am/um:
2020:04:04 16:54:53
Bild aufgenommen am/um:
Sa 4. Apr 2020, 14:54
Brennweite:
50 mm
Belichtungszeit:
1/500 Sek
Blendenwert:
f/0
ISO:
100
Weißabgleich:
Manuell
Blitz:
Blitz nicht ausgelöst, Erzwungener Blitzmodus
Kamera-Hersteller:
Canon
Kamera-Modell:
Canon EOS 600D
Belichtungsmodus:
Blendenvorwahl
Belichtungskorrektur:
1/1 EV
Belichtungsmessung:
Muster
Ruhraue-0071.jpg
Ruhraue-0071.jpg (126.67 KiB) 5118 mal betrachtet
Originalwert Bild aufgenommen am/um:
2020:04:04 16:57:16
Bild aufgenommen am/um:
Sa 4. Apr 2020, 14:57
Brennweite:
50 mm
Belichtungszeit:
1/200 Sek
Blendenwert:
f/0
ISO:
100
Weißabgleich:
Manuell
Blitz:
Blitz nicht ausgelöst, Erzwungener Blitzmodus
Kamera-Hersteller:
Canon
Kamera-Modell:
Canon EOS 600D
Belichtungsmodus:
Blendenvorwahl
Belichtungskorrektur:
1/1 EV
Belichtungsmessung:
Muster
Ruhraue-0072.jpg
Ruhraue-0072.jpg (147.5 KiB) 5118 mal betrachtet
Originalwert Bild aufgenommen am/um:
2020:04:04 16:57:44
Bild aufgenommen am/um:
Sa 4. Apr 2020, 14:57
Brennweite:
50 mm
Belichtungszeit:
1/200 Sek
Blendenwert:
f/0
ISO:
100
Weißabgleich:
Manuell
Blitz:
Blitz nicht ausgelöst, Erzwungener Blitzmodus
Kamera-Hersteller:
Canon
Kamera-Modell:
Canon EOS 600D
Belichtungsmodus:
Blendenvorwahl
Belichtungskorrektur:
1/1 EV
Belichtungsmessung:
Muster
Ruhraue-0073.jpg
Ruhraue-0073.jpg (140.71 KiB) 5118 mal betrachtet
Originalwert Bild aufgenommen am/um:
2020:04:04 16:58:06
Bild aufgenommen am/um:
Sa 4. Apr 2020, 14:58
Brennweite:
50 mm
Belichtungszeit:
1/200 Sek
Blendenwert:
f/0
ISO:
100
Weißabgleich:
Manuell
Blitz:
Blitz nicht ausgelöst, Erzwungener Blitzmodus
Kamera-Hersteller:
Canon
Kamera-Modell:
Canon EOS 600D
Belichtungsmodus:
Blendenvorwahl
Belichtungskorrektur:
1/1 EV
Belichtungsmessung:
Muster
Ruhraue-0074.jpg
Ruhraue-0074.jpg (158.37 KiB) 5118 mal betrachtet
Originalwert Bild aufgenommen am/um:
2020:04:04 16:58:18
Bild aufgenommen am/um:
Sa 4. Apr 2020, 14:58
Brennweite:
50 mm
Belichtungszeit:
1/250 Sek
Blendenwert:
f/0
ISO:
100
Weißabgleich:
Manuell
Blitz:
Blitz nicht ausgelöst, Erzwungener Blitzmodus
Kamera-Hersteller:
Canon
Kamera-Modell:
Canon EOS 600D
Belichtungsmodus:
Blendenvorwahl
Belichtungskorrektur:
1/1 EV
Belichtungsmessung:
Muster
Ruhraue-0075.jpg
Ruhraue-0075.jpg (150.57 KiB) 5118 mal betrachtet
Originalwert Bild aufgenommen am/um:
2020:04:04 16:58:40
Bild aufgenommen am/um:
Sa 4. Apr 2020, 14:58
Brennweite:
50 mm
Belichtungszeit:
1/200 Sek
Blendenwert:
f/0
ISO:
100
Weißabgleich:
Manuell
Blitz:
Blitz nicht ausgelöst, Erzwungener Blitzmodus
Kamera-Hersteller:
Canon
Kamera-Modell:
Canon EOS 600D
Belichtungsmodus:
Blendenvorwahl
Belichtungskorrektur:
1/1 EV
Belichtungsmessung:
Muster
Ruhraue-0076.jpg
Ruhraue-0076.jpg (158.83 KiB) 5118 mal betrachtet
Originalwert Bild aufgenommen am/um:
2020:04:04 16:58:57
Bild aufgenommen am/um:
Sa 4. Apr 2020, 14:58
Brennweite:
50 mm
Belichtungszeit:
1/200 Sek
Blendenwert:
f/0
ISO:
100
Weißabgleich:
Manuell
Blitz:
Blitz nicht ausgelöst, Erzwungener Blitzmodus
Kamera-Hersteller:
Canon
Kamera-Modell:
Canon EOS 600D
Belichtungsmodus:
Blendenvorwahl
Belichtungskorrektur:
1/1 EV
Belichtungsmessung:
Muster
Teil 3 folgt sofort...
bjoerns
alter Hase
Beiträge: 532
Registriert: Mo 3. Sep 2018, 21:21
Kamera: Canon EOS 600D
Canon EF-S 60mm f/2.8 Macro USM
Motic Panthera C
Kontaktdaten:

Re: Ruhraue Duisburg/Oberhausen/Mülheim 04.04.2020

Ungelesener Beitrag von bjoerns »

14. Hyaloperonospora niessliana ex Alliaria petiolata
Ruhraue-0077.jpg
Ruhraue-0077.jpg (177.7 KiB) 5118 mal betrachtet
Originalwert Bild aufgenommen am/um:
2020:04:04 17:18:44
Bild aufgenommen am/um:
Sa 4. Apr 2020, 15:18
Brennweite:
50 mm
Belichtungszeit:
1/800 Sek
Blendenwert:
f/0
ISO:
100
Weißabgleich:
Manuell
Blitz:
Blitz nicht ausgelöst, Erzwungener Blitzmodus
Kamera-Hersteller:
Canon
Kamera-Modell:
Canon EOS 600D
Belichtungsmodus:
Blendenvorwahl
Belichtungskorrektur:
1/1 EV
Belichtungsmessung:
Muster
Ruhraue-0078.jpg
Ruhraue-0078.jpg (194.47 KiB) 5118 mal betrachtet
Originalwert Bild aufgenommen am/um:
2020:04:04 17:19:44
Bild aufgenommen am/um:
Sa 4. Apr 2020, 15:19
Brennweite:
50 mm
Belichtungszeit:
1/640 Sek
Blendenwert:
f/0
ISO:
100
Weißabgleich:
Manuell
Blitz:
Blitz nicht ausgelöst, Erzwungener Blitzmodus
Kamera-Hersteller:
Canon
Kamera-Modell:
Canon EOS 600D
Belichtungsmodus:
Blendenvorwahl
Belichtungskorrektur:
1/1 EV
Belichtungsmessung:
Muster
Ruhraue-0079.jpg
Ruhraue-0079.jpg (191.41 KiB) 5118 mal betrachtet
Originalwert Bild aufgenommen am/um:
2020:04:04 17:19:54
Bild aufgenommen am/um:
Sa 4. Apr 2020, 15:19
Brennweite:
50 mm
Belichtungszeit:
1/640 Sek
Blendenwert:
f/0
ISO:
100
Weißabgleich:
Manuell
Blitz:
Blitz nicht ausgelöst, Erzwungener Blitzmodus
Kamera-Hersteller:
Canon
Kamera-Modell:
Canon EOS 600D
Belichtungsmodus:
Blendenvorwahl
Belichtungskorrektur:
1/1 EV
Belichtungsmessung:
Muster
Ruhraue-0080.jpg
Ruhraue-0080.jpg (198.44 KiB) 5118 mal betrachtet
Originalwert Bild aufgenommen am/um:
2020:04:04 17:20:05
Bild aufgenommen am/um:
Sa 4. Apr 2020, 15:20
Brennweite:
50 mm
Belichtungszeit:
1/800 Sek
Blendenwert:
f/0
ISO:
100
Weißabgleich:
Manuell
Blitz:
Blitz nicht ausgelöst, Erzwungener Blitzmodus
Kamera-Hersteller:
Canon
Kamera-Modell:
Canon EOS 600D
Belichtungsmodus:
Blendenvorwahl
Belichtungskorrektur:
1/1 EV
Belichtungsmessung:
Muster
15. Peronospora aparines ex Galium aparine
Ruhraue-0084.jpg
Ruhraue-0084.jpg (95.97 KiB) 5118 mal betrachtet
Originalwert Bild aufgenommen am/um:
2020:04:04 17:42:40
Bild aufgenommen am/um:
Sa 4. Apr 2020, 15:42
Brennweite:
50 mm
Belichtungszeit:
1/500 Sek
Blendenwert:
f/0
ISO:
100
Weißabgleich:
Manuell
Blitz:
Blitz nicht ausgelöst, Erzwungener Blitzmodus
Kamera-Hersteller:
Canon
Kamera-Modell:
Canon EOS 600D
Belichtungsmodus:
Blendenvorwahl
Belichtungskorrektur:
1/1 EV
Belichtungsmessung:
Muster
Ruhraue-0085.jpg
Ruhraue-0085.jpg (134.74 KiB) 5118 mal betrachtet
Originalwert Bild aufgenommen am/um:
2020:04:04 17:43:44
Bild aufgenommen am/um:
Sa 4. Apr 2020, 15:43
Brennweite:
50 mm
Belichtungszeit:
1/400 Sek
Blendenwert:
f/0
ISO:
100
Weißabgleich:
Manuell
Blitz:
Blitz nicht ausgelöst, Erzwungener Blitzmodus
Kamera-Hersteller:
Canon
Kamera-Modell:
Canon EOS 600D
Belichtungsmodus:
Blendenvorwahl
Belichtungskorrektur:
1/1 EV
Belichtungsmessung:
Muster
16. Entyloma eryngii ex Eryngium campestre. Den Pilz an sich kenne ich schon eine Weile, wäre aber ohne Jules Rundbrief nicht auf die Idee gekommen, schon jetzt danach Ausschau zu halten.
Ruhraue-0086.jpg
Ruhraue-0086.jpg (128.78 KiB) 5118 mal betrachtet
Originalwert Bild aufgenommen am/um:
2020:04:04 17:58:40
Bild aufgenommen am/um:
Sa 4. Apr 2020, 15:58
Brennweite:
50 mm
Belichtungszeit:
1/800 Sek
Blendenwert:
f/0
ISO:
100
Weißabgleich:
Manuell
Blitz:
Blitz nicht ausgelöst, Erzwungener Blitzmodus
Kamera-Hersteller:
Canon
Kamera-Modell:
Canon EOS 600D
Belichtungsmodus:
Blendenvorwahl
Belichtungskorrektur:
1/1 EV
Belichtungsmessung:
Muster
Ruhraue-0087.jpg
Ruhraue-0087.jpg (170.69 KiB) 5118 mal betrachtet
Originalwert Bild aufgenommen am/um:
2020:04:04 18:00:28
Bild aufgenommen am/um:
Sa 4. Apr 2020, 16:00
Brennweite:
50 mm
Belichtungszeit:
1/250 Sek
Blendenwert:
f/0
ISO:
100
Weißabgleich:
Manuell
Blitz:
Blitz nicht ausgelöst, Erzwungener Blitzmodus
Kamera-Hersteller:
Canon
Kamera-Modell:
Canon EOS 600D
Belichtungsmodus:
Blendenvorwahl
Belichtungskorrektur:
1/1 EV
Belichtungsmessung:
Muster
Ruhraue-0088.jpg
Ruhraue-0088.jpg (160.44 KiB) 5118 mal betrachtet
Originalwert Bild aufgenommen am/um:
2020:04:04 18:01:23
Bild aufgenommen am/um:
Sa 4. Apr 2020, 16:01
Brennweite:
50 mm
Belichtungszeit:
1/250 Sek
Blendenwert:
f/0
ISO:
100
Weißabgleich:
Manuell
Blitz:
Blitz nicht ausgelöst, Erzwungener Blitzmodus
Kamera-Hersteller:
Canon
Kamera-Modell:
Canon EOS 600D
Belichtungsmodus:
Blendenvorwahl
Belichtungskorrektur:
1/1 EV
Belichtungsmessung:
Muster
17. Coleosporium senecionis ex Senecio inaequidens
Ruhraue-0096.jpg
Ruhraue-0096.jpg (183.83 KiB) 5118 mal betrachtet
Originalwert Bild aufgenommen am/um:
2020:04:04 20:03:44
Bild aufgenommen am/um:
Sa 4. Apr 2020, 18:03
Brennweite:
50 mm
Belichtungszeit:
1/640 Sek
Blendenwert:
f/0
ISO:
100
Weißabgleich:
Manuell
Blitz:
Blitz nicht ausgelöst, Erzwungener Blitzmodus
Kamera-Hersteller:
Canon
Kamera-Modell:
Canon EOS 600D
Belichtungsmodus:
Blendenvorwahl
Belichtungskorrektur:
1/1 EV
Belichtungsmessung:
Muster
Ruhraue-0097.jpg
Ruhraue-0097.jpg (218.24 KiB) 5118 mal betrachtet
Originalwert Bild aufgenommen am/um:
2020:04:04 20:03:50
Bild aufgenommen am/um:
Sa 4. Apr 2020, 18:03
Brennweite:
50 mm
Belichtungszeit:
1/640 Sek
Blendenwert:
f/0
ISO:
100
Weißabgleich:
Manuell
Blitz:
Blitz nicht ausgelöst, Erzwungener Blitzmodus
Kamera-Hersteller:
Canon
Kamera-Modell:
Canon EOS 600D
Belichtungsmodus:
Blendenvorwahl
Belichtungskorrektur:
1/1 EV
Belichtungsmessung:
Muster
Ruhraue-0098.jpg
Ruhraue-0098.jpg (125.58 KiB) 5118 mal betrachtet
Originalwert Bild aufgenommen am/um:
2020:04:04 20:04:55
Bild aufgenommen am/um:
Sa 4. Apr 2020, 18:04
Brennweite:
50 mm
Belichtungszeit:
1/250 Sek
Blendenwert:
f/0
ISO:
100
Weißabgleich:
Manuell
Blitz:
Blitz nicht ausgelöst, Erzwungener Blitzmodus
Kamera-Hersteller:
Canon
Kamera-Modell:
Canon EOS 600D
Belichtungsmodus:
Blendenvorwahl
Belichtungskorrektur:
1/1 EV
Belichtungsmessung:
Muster
Ruhraue-0099.jpg
Ruhraue-0099.jpg (165.24 KiB) 5118 mal betrachtet
Originalwert Bild aufgenommen am/um:
2020:04:04 20:05:02
Bild aufgenommen am/um:
Sa 4. Apr 2020, 18:05
Brennweite:
50 mm
Belichtungszeit:
1/250 Sek
Blendenwert:
f/0
ISO:
100
Weißabgleich:
Manuell
Blitz:
Blitz nicht ausgelöst, Erzwungener Blitzmodus
Kamera-Hersteller:
Canon
Kamera-Modell:
Canon EOS 600D
Belichtungsmodus:
Blendenvorwahl
Belichtungskorrektur:
1/1 EV
Belichtungsmessung:
Muster
Björn
Benutzeravatar
Harry
Administrator
Beiträge: 4719
Registriert: Mi 22. Dez 2004, 09:37
Kamera: Nikon D500
Nikon Z5
Olympus Tough TG-6
Pilzverein: Pilzfreunde Saar - Pfalz e.V.
Wohnort: Bexbach - Saarland
Kontaktdaten:

Re: Ruhraue Duisburg/Oberhausen/Mülheim 04.04.2020

Ungelesener Beitrag von Harry »

Hallo Björn,

da hast du ja schon tolle Sachen gefunden. Rostpilze an Scharbockskraut hab ich auch schon gesehen aber noch nicht abgelichtet. Mit der großen Kamera draußen herum zu laufen kommt ja in einigen Gegenden nicht gut an. So wurden in Bayern schon Leute zu Strafen verurteilt nur weil sie Morcheln gesammelt und fotografiert hatten. Es sind nach Auffassung der bayrischen Behörden keine dringenden Gründe die Wohnung zu verlassen. Verstehen tue ich das nicht, im Wald spazieren gehen ist erlaubt. Pilze sammeln und fotografieren nicht. Dadurch wird doch niemand gefährdet.

:kick :kick

Gruß
Harry
Dass man immer noch lernen kann ist herrlich, und auch dass man andere dazu braucht.
bjoerns
alter Hase
Beiträge: 532
Registriert: Mo 3. Sep 2018, 21:21
Kamera: Canon EOS 600D
Canon EF-S 60mm f/2.8 Macro USM
Motic Panthera C
Kontaktdaten:

Re: Ruhraue Duisburg/Oberhausen/Mülheim 04.04.2020

Ungelesener Beitrag von bjoerns »

Hallo Harry,

hier in NRW ist das mit dem Ausgang zum Glück relativ unproblematisch. Gegen einen Spaziergang egal ob mit oder ohne große Kamera sagt hier niemand etwas. Jetzt über Ostern konnte ich auch wieder ein paar nette Funde machen - sind gerade hochgeladen worden.

Björn
Benutzeravatar
Julia
Forums Gott
Beiträge: 2342
Registriert: Mo 7. Aug 2006, 19:23
Kamera: Olympus FE 120 +Panasonic LX 7
Wohnort: Barkelsby, Frankfurt a. Main
Kontaktdaten:

Re: Ruhraue Duisburg/Oberhausen/Mülheim 04.04.2020

Ungelesener Beitrag von Julia »

Lieber Björn,

in Hessen ist es auch unproblematisch.

Deine Bestimmungen passen alle soweit. Wäre auch bei U. poae.

Und dein Ehrenpreis ist Veronica serpyllifolia mit Peronospora grisea. Halte doch mal in Rasen Ausschau nach Entyloma veronicae. Recht selten aber man kann ihn finden.

Liebe Grüße,
Julia
bjoerns
alter Hase
Beiträge: 532
Registriert: Mo 3. Sep 2018, 21:21
Kamera: Canon EOS 600D
Canon EF-S 60mm f/2.8 Macro USM
Motic Panthera C
Kontaktdaten:

Re: Ruhraue Duisburg/Oberhausen/Mülheim 04.04.2020

Ungelesener Beitrag von bjoerns »

Hallo Julia,

danke für die Bestimmung der unbekannten Veronica.
man kann ihn finden
Du hast uns aber auch schon mal mehr Mut bei der Suche gemacht ;-)

Björn
Antworten