Taphrina farlowii wieder aktiv

Spezialforum zum Thema phytoparasitische Kleinpilze ( Rost, Brand, Mehltaupilze etc. ) und tierische Gallen an Wild.- und Nutzpflanzen. Forumsstart - 15.07.2006
Benutzeravatar
Harry
Administrator
Beiträge: 4719
Registriert: Mi 22. Dez 2004, 09:37
Kamera: Nikon D500
Nikon Z5
Olympus Tough TG-6
Pilzverein: Pilzfreunde Saar - Pfalz e.V.
Wohnort: Bexbach - Saarland
Kontaktdaten:

Taphrina farlowii wieder aktiv

Ungelesener Beitrag von Harry »

Hallo Phytoparasitenfreunde,

es war 2008 schon eine tolle Sache als Taphrina farlowii nach über 100 Jahren des " verschollen seins " wiederentdeckt wurde. Das dieses Forum hierbei eine besondere Rolle spielte freut mich umso mehr. Wer den spannenden Hergang noch nicht kennt sollte sich mal diesen Beitrag anschauen.

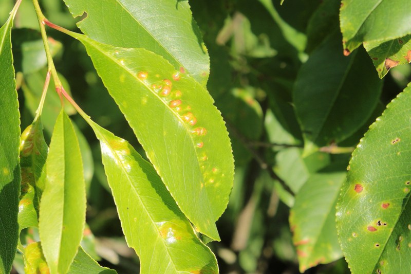
Seit seiner Wiederentdeckung begegnet mir dieser parasitäre Ascomycet jedes Jahr. Im Mai beginnt der erste Befall, so auch in diesem Jahr.
Die Färbung der Blattdeformierungen können dabei unterschiedliche Nuancen zeigen. Von grün über ein zartes rosa bis zu einem kräftigen rot
ist alles möglich.

Bild

Bild

Bild

Bild

Auch die Blütenknospen werden befallen und sind dadurch rot gefärbt.

Bild

Verwunderlich das nicht alle Traubenkirschen im Areal gleichzeitig befallen werden. Die hier stand gerade mal 2 m von einem stark
befallenen Nachbarn entfernt und war völlig gesund. Was nicht bedeutet das sie das auch bleibt. Die letzten Jahre haben gezeigt das
sie warscheinlich beim zweiten oder dritten Schub an der Reihe ist.

Bild

Auffällig ist auch das nur an den grünen oder schwach rosa gefärbten Verformungen auch reife Ascussporen gebildet werden, was sich
durch einen grauen Belag auf den Blasen bemerkbar macht. An den stark rot gefärbten Befallstellen könnte ich bisher nie diesen Belag
( Hymenium ) feststellen.

Prunus serotina ist mittlerweile weit verbreitet und mit großer Wahrscheinlichkeit seine Taphrina farlowii auch. Es ist sicher im Moment lohnenswert
sich mal die Spätblühenden Traubenkirchen anzusehen. Ich bin mir sicher das ihr Taphrina farlowii auch in euerem Gebiet nachweisen könnt.

viel Erfolg bei der Nachsuche
Harry
Dass man immer noch lernen kann ist herrlich, und auch dass man andere dazu braucht.
Benutzeravatar
rolf.altherr
Junior Poster
Beiträge: 44
Registriert: So 16. Dez 2007, 20:46
Wohnort: Trippstadt

Re: Taphrina farlowii wieder aktiv

Ungelesener Beitrag von rolf.altherr »

Hallo Harry,
nach einigem Suchen habe ich nun auch Taphrina farlowii im Walkmühltal hinter dem Gelterswoog bei Kaiserslautern gefunden.
Taphrina farlowii (7).JPG
Taphrina farlowii (7).JPG (106.88 KiB) 2539 mal betrachtet
Originalwert Bild aufgenommen am/um:
2013:06:17 18:18:38
Bild aufgenommen am/um:
Mo 17. Jun 2013, 16:18
Brennweite:
55 mm
Belichtungszeit:
1/50 Sek
Blendenwert:
f/11
ISO:
100
Weißabgleich:
Manuell
Blitz:
Blitz nicht ausgelöst, Erzwungener Blitzmodus
Kamera-Hersteller:
Canon
Kamera-Modell:
Canon EOS 600D
Belichtungskorrektur:
0 EV
,
Taphrina farlowii (6).JPG
Taphrina farlowii (6).JPG (141.7 KiB) 2541 mal betrachtet
Originalwert Bild aufgenommen am/um:
2013:06:17 18:17:53
Bild aufgenommen am/um:
Mo 17. Jun 2013, 16:17
Brennweite:
35 mm
Belichtungszeit:
1/50 Sek
Blendenwert:
f/11
ISO:
100
Weißabgleich:
Manuell
Blitz:
Blitz nicht ausgelöst, Erzwungener Blitzmodus
Kamera-Hersteller:
Canon
Kamera-Modell:
Canon EOS 600D
Belichtungskorrektur:
0 EV
Taphrina farlowii.JPG
Taphrina farlowii.JPG (129.25 KiB) 2540 mal betrachtet
Originalwert Bild aufgenommen am/um:
2013:06:17 18:21:06
Bild aufgenommen am/um:
Mo 17. Jun 2013, 16:21
Brennweite:
55 mm
Belichtungszeit:
1/50 Sek
Blendenwert:
f/11
ISO:
100
Weißabgleich:
Manuell
Blitz:
Blitz nicht ausgelöst, Erzwungener Blitzmodus
Kamera-Hersteller:
Canon
Kamera-Modell:
Canon EOS 600D
Belichtungskorrektur:
0 EV
Taphrina farlowii (8).JPG
Taphrina farlowii (8).JPG (89.05 KiB) 2541 mal betrachtet
Originalwert Bild aufgenommen am/um:
2013:06:17 18:20:04
Bild aufgenommen am/um:
Mo 17. Jun 2013, 16:20
Brennweite:
55 mm
Belichtungszeit:
1/60 Sek
Blendenwert:
f/11
ISO:
100
Weißabgleich:
Manuell
Blitz:
Blitz nicht ausgelöst, Erzwungener Blitzmodus
Kamera-Hersteller:
Canon
Kamera-Modell:
Canon EOS 600D
Belichtungskorrektur:
0 EV
nicht nur blasenartige Verformungen der Blätter, sondern auch kleine Narrentaschen an den wachsenden Fruchtknoten.
Viele Grüße
Rolf
Benutzeravatar
Harry
Administrator
Beiträge: 4719
Registriert: Mi 22. Dez 2004, 09:37
Kamera: Nikon D500
Nikon Z5
Olympus Tough TG-6
Pilzverein: Pilzfreunde Saar - Pfalz e.V.
Wohnort: Bexbach - Saarland
Kontaktdaten:

Re: Taphrina farlowii wieder aktiv

Ungelesener Beitrag von Harry »

Hallo Rolf,

dann sag ich mal herzlichen Glückwunsch zu diesem Erstfund.
rolf.altherr hat geschrieben:
nicht nur blasenartige Verformungen der Blätter, sondern auch kleine Narrentaschen an den wachsenden Fruchtknoten.
Das ist ja irre. Die kleinen Narrentaschen hab ich ja noch nie beobachtet. Gut ich habe auch nie darauf geachtet. Werde ich aber schleunigst nachholen.

Gruß
Harry
Dass man immer noch lernen kann ist herrlich, und auch dass man andere dazu braucht.
Antworten