Gymnosporangium fusisporum auf Felsen-Zwergmispel

Spezialforum zum Thema phytoparasitische Kleinpilze ( Rost, Brand, Mehltaupilze etc. ) und tierische Gallen an Wild.- und Nutzpflanzen. Forumsstart - 15.07.2006
Benutzeravatar
Julia
Forums Gott
Beiträge: 2342
Registriert: Mo 7. Aug 2006, 19:23
Kamera: Olympus FE 120 +Panasonic LX 7
Wohnort: Barkelsby, Frankfurt a. Main
Kontaktdaten:

Gymnosporangium fusisporum auf Felsen-Zwergmispel

Ungelesener Beitrag von Julia »

Hallo ihr Lieben,

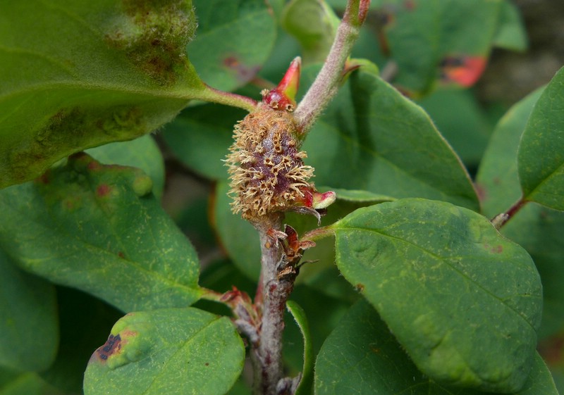
für heute morgen habe ich mal wieder einen Kleinpilz von meiner Italientour im Aostatal vorbereitet. Ich stelle ich hier den Rostpilz Gymnosporangium fusisporum E. Fisch. auf dem Felsen-Zwergmispel (Cotoneaster integerrimus) vor.

An den Zweigen, Früchten und Blättern (an den Blattrippen) bildet der Pilz Schwielen aus, auf welchen die länglichen, braunen Aecien gebildet werden (Roestelien, siehe hierzu auch den neuen Tintling). Diese reißen bei Reife auf und geben das braune Sporenpulver frei. Die Aeciosporen sind rundlich, dickwandig, feinwarzig ornamentiert und messen 25-27 x 24-26 µm. Die Peridienzellen sind zugespitzt und länglich.

Der Pilz wechselt im Sommer auf Wacholder (Juniperus) um dort seine Entwicklung mit der Ausbildung von Uredien und Telien zu beenden.
Val di Rhèmes (1).jpg
Val di Rhèmes (1).jpg (200.59 KiB) 2171 mal betrachtet
Originalwert Bild aufgenommen am/um:
2013:07:25 10:41:16
Bild aufgenommen am/um:
Do 25. Jul 2013, 08:41
Brennweite:
4.7 mm
Belichtungszeit:
1/500 Sek
Blendenwert:
f/2.8
ISO:
80
Weißabgleich:
Manuell
Blitz:
Blitz nicht ausgelöst, Erzwungener Blitzmodus
Kamera-Hersteller:
Panasonic
Kamera-Modell:
DMC-LX7
Belichtungsmodus:
Automatikprogramm
Belichtungskorrektur:
-33/100 EV
Belichtungsmessung:
Spot
Val di Rhèmes (3).jpg
Val di Rhèmes (3).jpg (117.22 KiB) 2172 mal betrachtet
Originalwert Bild aufgenommen am/um:
2013:07:25 10:41:24
Bild aufgenommen am/um:
Do 25. Jul 2013, 08:41
Brennweite:
4.7 mm
Belichtungszeit:
1/320 Sek
Blendenwert:
f/2.8
ISO:
80
Weißabgleich:
Manuell
Blitz:
Blitz nicht ausgelöst, Erzwungener Blitzmodus
Kamera-Hersteller:
Panasonic
Kamera-Modell:
DMC-LX7
Belichtungsmodus:
Automatikprogramm
Belichtungskorrektur:
-33/100 EV
Belichtungsmessung:
Spot
Val di Rhèmes (8).jpg
Val di Rhèmes (8).jpg (110.53 KiB) 2168 mal betrachtet
Originalwert Bild aufgenommen am/um:
2013:07:25 10:41:45
Bild aufgenommen am/um:
Do 25. Jul 2013, 08:41
Brennweite:
4.7 mm
Belichtungszeit:
1/250 Sek
Blendenwert:
f/2.8
ISO:
80
Weißabgleich:
Manuell
Blitz:
Blitz nicht ausgelöst, Erzwungener Blitzmodus
Kamera-Hersteller:
Panasonic
Kamera-Modell:
DMC-LX7
Belichtungsmodus:
Automatikprogramm
Belichtungskorrektur:
-33/100 EV
Belichtungsmessung:
Spot
Val di Rhèmes (9).jpg
Val di Rhèmes (9).jpg (98.19 KiB) 2170 mal betrachtet
Originalwert Bild aufgenommen am/um:
2013:07:25 10:42:36
Bild aufgenommen am/um:
Do 25. Jul 2013, 08:42
Brennweite:
4.7 mm
Belichtungszeit:
1/200 Sek
Blendenwert:
f/2.8
ISO:
80
Weißabgleich:
Manuell
Blitz:
Blitz nicht ausgelöst, Erzwungener Blitzmodus
Kamera-Hersteller:
Panasonic
Kamera-Modell:
DMC-LX7
Belichtungsmodus:
Automatikprogramm
Belichtungskorrektur:
-33/100 EV
Belichtungsmessung:
Spot
Val di Rhèmes (10).jpg
Val di Rhèmes (10).jpg (98.74 KiB) 2168 mal betrachtet
Originalwert Bild aufgenommen am/um:
2013:07:25 10:42:43
Bild aufgenommen am/um:
Do 25. Jul 2013, 08:42
Brennweite:
4.7 mm
Belichtungszeit:
1/500 Sek
Blendenwert:
f/2.8
ISO:
80
Weißabgleich:
Manuell
Blitz:
Blitz nicht ausgelöst, Erzwungener Blitzmodus
Kamera-Hersteller:
Panasonic
Kamera-Modell:
DMC-LX7
Belichtungsmodus:
Automatikprogramm
Belichtungskorrektur:
-33/100 EV
Belichtungsmessung:
Spot
1000er Val di Rhemes (10).jpg
1000er Val di Rhemes (10).jpg (85.49 KiB) 2167 mal betrachtet
Originalwert Bild aufgenommen am/um:
0000:00:00 00:00:00
Bild aufgenommen am/um:
Mo 29. Nov 1999, 23:00
Brennweite:
8.8 mm
Belichtungszeit:
1/4 Sek
Blendenwert:
f/3.2
ISO:
320
Weißabgleich:
Automatisch
Blitz:
Blitz nicht ausgelöst, Erzwungener Blitzmodus
Kamera-Hersteller:
OLYMPUS IMAGING CORP.
Kamera-Modell:
FE-120,X-700
Belichtungsmodus:
Kreativprogramm (optimiert auf größtmöglichen Schärfebereich)
Belichtungskorrektur:
0 EV
Belichtungsmessung:
Muster
1000er Val di Rhemes (25).jpg
1000er Val di Rhemes (25).jpg (115.47 KiB) 2167 mal betrachtet
Originalwert Bild aufgenommen am/um:
0000:00:00 00:00:00
Bild aufgenommen am/um:
Mo 29. Nov 1999, 23:00
Brennweite:
6.3 mm
Belichtungszeit:
1/6 Sek
Blendenwert:
f/2.8
ISO:
320
Weißabgleich:
Automatisch
Blitz:
Blitz nicht ausgelöst, Erzwungener Blitzmodus
Kamera-Hersteller:
OLYMPUS IMAGING CORP.
Kamera-Modell:
FE-120,X-700
Belichtungsmodus:
Kreativprogramm (optimiert auf größtmöglichen Schärfebereich)
Belichtungskorrektur:
0 EV
Belichtungsmessung:
Muster
1000er Val di Rhemes (30).jpg
1000er Val di Rhemes (30).jpg (84.27 KiB) 2167 mal betrachtet
Originalwert Bild aufgenommen am/um:
0000:00:00 00:00:00
Bild aufgenommen am/um:
Mo 29. Nov 1999, 23:00
Brennweite:
8.8 mm
Belichtungszeit:
1/4 Sek
Blendenwert:
f/3.2
ISO:
320
Weißabgleich:
Automatisch
Blitz:
Blitz nicht ausgelöst, Erzwungener Blitzmodus
Kamera-Hersteller:
OLYMPUS IMAGING CORP.
Kamera-Modell:
FE-120,X-700
Belichtungsmodus:
Kreativprogramm (optimiert auf größtmöglichen Schärfebereich)
Belichtungskorrektur:
0 EV
Belichtungsmessung:
Muster
1000er Val di Rhemes (35).jpg
1000er Val di Rhemes (35).jpg (102.11 KiB) 2167 mal betrachtet
Originalwert Bild aufgenommen am/um:
0000:00:00 00:00:00
Bild aufgenommen am/um:
Mo 29. Nov 1999, 23:00
Brennweite:
6.3 mm
Belichtungszeit:
1/6 Sek
Blendenwert:
f/2.8
ISO:
320
Weißabgleich:
Automatisch
Blitz:
Blitz nicht ausgelöst, Erzwungener Blitzmodus
Kamera-Hersteller:
OLYMPUS IMAGING CORP.
Kamera-Modell:
FE-120,X-700
Belichtungsmodus:
Kreativprogramm (optimiert auf größtmöglichen Schärfebereich)
Belichtungskorrektur:
0 EV
Belichtungsmessung:
Muster

Funddaten: Italien, Aostatal, Val di Rhèmes, Parkplatz s Pellaud, Talschluss, Aufstieg s Richtung Rifugio G. Federico Benevolo, Wegrand, 45°32'9.31"N, 7° 6'6.67"E, ca. 1900 m ü. NN, 25.07.2013.

Viel Erfolg bei der Nachsuche!

Liebe Grüße Jule
Benutzeravatar
Volker
Administrator
Beiträge: 1048
Registriert: Mi 22. Dez 2004, 10:13
Kamera: Nikon Coolpix 990, Nikon D700
Pilzverein: Pilzfreunde Saar-Pfalz e.V.
Wohnort: Bexbach
Kontaktdaten:

Re: Gymnosporangium fusisporum auf Felsen-Zwergmispel

Ungelesener Beitrag von Volker »

Moin Julia

Hübsches Pilzchen :ge: . Habe hier noch nie eine Zwergmispel gesehen oder vielleicht übersehen? Sollen ja vor allem über Kalk wachsen. Werde mal versuchen eine Pflanze zu finden wenn ich wieder fit bin und ordentlich laufen darf. Die gibt es ja auch in Gärten als Bodendecker, mal sehen ;).

Gruß Volker
Antworten