noch eine Galle an Bergahorn
-
Horst Schlüter
- treues Mitglied
- Beiträge: 498
- Registriert: Di 30. Sep 2008, 00:06
- Wohnort: Winnenden
noch eine Galle an Bergahorn
Liebe Freunde von Pflanzengallen,
erneut 29.06.2014 i Lindental, Stuttgart-Wolfbusch, BW.
Ich halte das für Pediaspis aceris, es sei denn, es wären noch weitere Gallen dabei.
Es grüßt
Horst Schlüter
erneut 29.06.2014 i Lindental, Stuttgart-Wolfbusch, BW.
Ich halte das für Pediaspis aceris, es sei denn, es wären noch weitere Gallen dabei.
Es grüßt
Horst Schlüter
- Dateianhänge
-
- DSCN9653 Ausschnitt, Kontrast, Schärfe, klein.jpg (124.84 KiB) 5090 mal betrachtet
EXIF-Daten anzeigen / verbergenOriginalwert Bild aufgenommen am/um:2014:06:29 14:16:20Bild aufgenommen am/um:So 29. Jun 2014, 12:16Brennweite:5.4 mmBelichtungszeit:1/125 SekBlendenwert:f/3.5ISO:200Weißabgleich:AutomatischBlitz:Blitz nicht ausgelöst, Erzwungener BlitzmodusKamera-Hersteller:NIKONKamera-Modell:COOLPIX S8000Belichtungsmodus:AutomatikprogrammBelichtungskorrektur:0 EVBelichtungsmessung:Muster -
- DSCN9652 Ausschnitt, Kontrast, Schärfe, klein.jpg (167.82 KiB) 5090 mal betrachtet
EXIF-Daten anzeigen / verbergenOriginalwert Bild aufgenommen am/um:2014:06:29 14:16:12Bild aufgenommen am/um:So 29. Jun 2014, 12:16Brennweite:5.4 mmBelichtungszeit:1/125 SekBlendenwert:f/3.5ISO:160Weißabgleich:AutomatischBlitz:Blitz nicht ausgelöst, Erzwungener BlitzmodusKamera-Hersteller:NIKONKamera-Modell:COOLPIX S8000Belichtungsmodus:AutomatikprogrammBelichtungskorrektur:0 EVBelichtungsmessung:Muster -
- DSCN9650 Ausschnitt, Licht, Schärfe, klein.jpg (122.76 KiB) 5090 mal betrachtet
EXIF-Daten anzeigen / verbergenOriginalwert Bild aufgenommen am/um:2014:06:29 14:15:57Bild aufgenommen am/um:So 29. Jun 2014, 12:15Brennweite:5.4 mmBelichtungszeit:1/125 SekBlendenwert:f/3.5ISO:400Weißabgleich:AutomatischBlitz:Blitz nicht ausgelöst, Erzwungener BlitzmodusKamera-Hersteller:NIKONKamera-Modell:COOLPIX S8000Belichtungsmodus:AutomatikprogrammBelichtungskorrektur:0 EVBelichtungsmessung:Muster -
- DSCN9647 Ausschnitt, Schärfe, klein.jpg (128.45 KiB) 5090 mal betrachtet
EXIF-Daten anzeigen / verbergenOriginalwert Bild aufgenommen am/um:2014:06:29 14:15:41Bild aufgenommen am/um:So 29. Jun 2014, 12:15Brennweite:5.4 mmBelichtungszeit:1/125 SekBlendenwert:f/3.5ISO:125Weißabgleich:AutomatischBlitz:Blitz nicht ausgelöst, Erzwungener BlitzmodusKamera-Hersteller:NIKONKamera-Modell:COOLPIX S8000Belichtungsmodus:AutomatikprogrammBelichtungskorrektur:0 EVBelichtungsmessung:Muster -
- DSCN9646 Licht, Schärfe, klein.jpg (146.91 KiB) 5090 mal betrachtet
EXIF-Daten anzeigen / verbergenOriginalwert Bild aufgenommen am/um:2014:06:29 14:15:27Bild aufgenommen am/um:So 29. Jun 2014, 12:15Brennweite:5.4 mmBelichtungszeit:1/125 SekBlendenwert:f/3.5ISO:160Weißabgleich:AutomatischBlitz:Blitz nicht ausgelöst, Erzwungener BlitzmodusKamera-Hersteller:NIKONKamera-Modell:COOLPIX S8000Belichtungsmodus:AutomatikprogrammBelichtungskorrektur:0 EVBelichtungsmessung:Muster -
- DSCN9645 Ausschnitt, Kontrast, Schärfe, klein.jpg (185.56 KiB) 5090 mal betrachtet
EXIF-Daten anzeigen / verbergenOriginalwert Bild aufgenommen am/um:2014:06:29 14:15:24Bild aufgenommen am/um:So 29. Jun 2014, 12:15Brennweite:5.4 mmBelichtungszeit:1/125 SekBlendenwert:f/3.5ISO:200Weißabgleich:AutomatischBlitz:Blitz nicht ausgelöst, Erzwungener BlitzmodusKamera-Hersteller:NIKONKamera-Modell:COOLPIX S8000Belichtungsmodus:AutomatikprogrammBelichtungskorrektur:0 EVBelichtungsmessung:Muster -
- DSCN9644 Ausschnitt, Schärfe, klein.jpg (139.29 KiB) 5090 mal betrachtet
EXIF-Daten anzeigen / verbergenOriginalwert Bild aufgenommen am/um:2014:06:29 14:14:57Bild aufgenommen am/um:So 29. Jun 2014, 12:14Brennweite:5.4 mmBelichtungszeit:1/125 SekBlendenwert:f/3.5ISO:200Weißabgleich:AutomatischBlitz:Blitz nicht ausgelöst, Erzwungener BlitzmodusKamera-Hersteller:NIKONKamera-Modell:COOLPIX S8000Belichtungsmodus:AutomatikprogrammBelichtungskorrektur:0 EVBelichtungsmessung:Muster -
- DSCN9643 Kontrast, Schärfe, klein.jpg (197.05 KiB) 5090 mal betrachtet
EXIF-Daten anzeigen / verbergenOriginalwert Bild aufgenommen am/um:2014:06:29 14:14:54Bild aufgenommen am/um:So 29. Jun 2014, 12:14Brennweite:5.4 mmBelichtungszeit:1/125 SekBlendenwert:f/3.5ISO:250Weißabgleich:AutomatischBlitz:Blitz nicht ausgelöst, Erzwungener BlitzmodusKamera-Hersteller:NIKONKamera-Modell:COOLPIX S8000Belichtungsmodus:AutomatikprogrammBelichtungskorrektur:0 EVBelichtungsmessung:Muster -
- DSCN9642 Ausschnitt, Kontrast, Schärfe, klein.jpg (174.38 KiB) 5090 mal betrachtet
EXIF-Daten anzeigen / verbergenOriginalwert Bild aufgenommen am/um:2014:06:29 14:14:44Bild aufgenommen am/um:So 29. Jun 2014, 12:14Brennweite:5.4 mmBelichtungszeit:1/125 SekBlendenwert:f/3.5ISO:250Weißabgleich:AutomatischBlitz:Blitz nicht ausgelöst, Erzwungener BlitzmodusKamera-Hersteller:NIKONKamera-Modell:COOLPIX S8000Belichtungsmodus:AutomatikprogrammBelichtungskorrektur:0 EVBelichtungsmessung:Muster -
- DSCN9641 Ausschnitt, Helligkeit, Schärfe, klein.jpg (191.18 KiB) 5090 mal betrachtet
EXIF-Daten anzeigen / verbergenOriginalwert Bild aufgenommen am/um:2014:06:29 14:14:38Bild aufgenommen am/um:So 29. Jun 2014, 12:14Brennweite:5.4 mmBelichtungszeit:1/125 SekBlendenwert:f/3.5ISO:200Weißabgleich:AutomatischBlitz:Blitz nicht ausgelöst, Erzwungener BlitzmodusKamera-Hersteller:NIKONKamera-Modell:COOLPIX S8000Belichtungsmodus:AutomatikprogrammBelichtungskorrektur:0 EVBelichtungsmessung:Muster
- Volker
- Administrator
- Beiträge: 1048
- Registriert: Mi 22. Dez 2004, 10:13
- Kamera: Nikon Coolpix 990, Nikon D700
- Pilzverein: Pilzfreunde Saar-Pfalz e.V.
- Wohnort: Bexbach
- Kontaktdaten:
Re: noch eine Galle an Bergahorn
Hallo horst
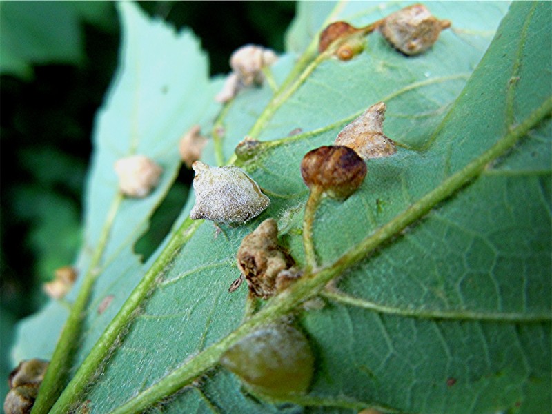
Die Ahorngallwespe Pediaspis aceris der parthenogenetischen Generation legt im April ihre Eier an Blattunterseiten, Blattstielen oder weiblichen Blüten des Ahorns ab und begründen damit eine bisexuelle Generation. Es bilden sich einkammerige, dünnwandige, gelbliche oder rötliche (bei mehr Sonneneinwirkung) Kugelgallen. Im Juli schlüpfen daraus dann die Wespen beider Geschlechter. Nach der Begattung legen die Weibchen befruchtete Eier im Boden an die Wurzeln ab. Es entstehen dadurch wiederum einkammerige Wurzelgallen der parthenogenetischen Generation die später verholzen. Die Entwicklung dauert zwei Jahre und danach schlüpfen die weiblichen Wespen, welche wiederum mit ihren unbefruchteten Eiern die bisexuelle Generation begründen, der Kreislauf schließt sich. Diese verholzten Wurzelgallen wurden bisher nur an Bergahorn festgestellt.
Die unregelmäßigen Gallen mit den Spitzen und Rundungen stammen von einem Inquilin (Einmieter, Sozialparasit), der Erzwespe Dichatomus acerinus. Diese Erzwespe legt ihre Eier in die Galle von Pediaspis aceris. Die Larven fressen später an der Innenwand der Galle wodurch das Wachstum des Gallgewebes angeregt wird. An den Fraßstellen der Erzwespenlarven bilden sich mehr oder weniger spitze Fortsätze an der Außenseite der Galle woduch die ehemals runde Galle diese typische unregelmäßige Gerstalt bekommt. Im Galleninnenraum wird ein festes Gewebe erzeugt welches bald die ganze Galle ausfüllt und die Larve des eigentlichen Bewohners erdrückt.
Gruß Volker
Die Ahorngallwespe Pediaspis aceris der parthenogenetischen Generation legt im April ihre Eier an Blattunterseiten, Blattstielen oder weiblichen Blüten des Ahorns ab und begründen damit eine bisexuelle Generation. Es bilden sich einkammerige, dünnwandige, gelbliche oder rötliche (bei mehr Sonneneinwirkung) Kugelgallen. Im Juli schlüpfen daraus dann die Wespen beider Geschlechter. Nach der Begattung legen die Weibchen befruchtete Eier im Boden an die Wurzeln ab. Es entstehen dadurch wiederum einkammerige Wurzelgallen der parthenogenetischen Generation die später verholzen. Die Entwicklung dauert zwei Jahre und danach schlüpfen die weiblichen Wespen, welche wiederum mit ihren unbefruchteten Eiern die bisexuelle Generation begründen, der Kreislauf schließt sich. Diese verholzten Wurzelgallen wurden bisher nur an Bergahorn festgestellt.
Die unregelmäßigen Gallen mit den Spitzen und Rundungen stammen von einem Inquilin (Einmieter, Sozialparasit), der Erzwespe Dichatomus acerinus. Diese Erzwespe legt ihre Eier in die Galle von Pediaspis aceris. Die Larven fressen später an der Innenwand der Galle wodurch das Wachstum des Gallgewebes angeregt wird. An den Fraßstellen der Erzwespenlarven bilden sich mehr oder weniger spitze Fortsätze an der Außenseite der Galle woduch die ehemals runde Galle diese typische unregelmäßige Gerstalt bekommt. Im Galleninnenraum wird ein festes Gewebe erzeugt welches bald die ganze Galle ausfüllt und die Larve des eigentlichen Bewohners erdrückt.
Gruß Volker
-
Horst Schlüter
- treues Mitglied
- Beiträge: 498
- Registriert: Di 30. Sep 2008, 00:06
- Wohnort: Winnenden
Re: noch eine Galle an Bergahorn
Hallo Volker,
wenn ich das so richtig verstehe, habe ich also Gallen z.B. die runden auf Bild 9647 und 9650 von der Pediaspis aceris Gallen mit Befall der Erzwespe Dichatomus acerinus in den Bildern 9646, 9652 und 9653.
Die flachen, glatten Gallen in den übrigen Bildern sind ebenfalls von Pediaspis aceris?
Kann ich davon ausgehen, daß die flachen, roten Gallen mit Zacken bzw. Spitzen dann wieder von der Erzwespe beeinflußt sind?
Vielen Dank für die Ausführungen.
Es grüßt
Horst
wenn ich das so richtig verstehe, habe ich also Gallen z.B. die runden auf Bild 9647 und 9650 von der Pediaspis aceris Gallen mit Befall der Erzwespe Dichatomus acerinus in den Bildern 9646, 9652 und 9653.
Die flachen, glatten Gallen in den übrigen Bildern sind ebenfalls von Pediaspis aceris?
Kann ich davon ausgehen, daß die flachen, roten Gallen mit Zacken bzw. Spitzen dann wieder von der Erzwespe beeinflußt sind?
Vielen Dank für die Ausführungen.
Es grüßt
Horst
-
Horst Schlüter
- treues Mitglied
- Beiträge: 498
- Registriert: Di 30. Sep 2008, 00:06
- Wohnort: Winnenden
Re: noch eine Galle an Bergahorn
Hallo Volker,
vielen Dank für die Bestätigung, aber ich will eben lieber ganz auf Nummer sicher gehen.
Gibt es Probleme bei der anderen Galla an Bergahorn? Weil dazu noch keine Antwort kam?
Es grüßt
Horst
vielen Dank für die Bestätigung, aber ich will eben lieber ganz auf Nummer sicher gehen.
Gibt es Probleme bei der anderen Galla an Bergahorn? Weil dazu noch keine Antwort kam?
Es grüßt
Horst
- Volker
- Administrator
- Beiträge: 1048
- Registriert: Mi 22. Dez 2004, 10:13
- Kamera: Nikon Coolpix 990, Nikon D700
- Pilzverein: Pilzfreunde Saar-Pfalz e.V.
- Wohnort: Bexbach
- Kontaktdaten:
Re: noch eine Galle an Bergahorn
Hallo Horst
Welche anderen Gallen meinst du?
Volker
Welche anderen Gallen meinst du?
Volker
-
Horst Schlüter
- treues Mitglied
- Beiträge: 498
- Registriert: Di 30. Sep 2008, 00:06
- Wohnort: Winnenden
Re: noch eine Galle an Bergahorn
Hallo Volker,
viewtopic.php?f=14&t=6712
Gruß
Horst
PS. Und hierzu scheint im Augenblick auch niemand eine Idee zu haben:
viewtopic.php?f=14&t=6711
viewtopic.php?f=14&t=6712
Gruß
Horst
PS. Und hierzu scheint im Augenblick auch niemand eine Idee zu haben:
viewtopic.php?f=14&t=6711