Hohenstein Witten 29.05.2021

Spezialforum zum Thema phytoparasitische Kleinpilze ( Rost, Brand, Mehltaupilze etc. ) und tierische Gallen an Wild.- und Nutzpflanzen. Forumsstart - 15.07.2006
bjoerns
alter Hase
Beiträge: 532
Registriert: Mo 3. Sep 2018, 21:21
Kamera: Canon EOS 600D
Canon EF-S 60mm f/2.8 Macro USM
Motic Panthera C
Kontaktdaten:

Hohenstein Witten 29.05.2021

Ungelesener Beitrag von bjoerns »

Hallo zusammen,

Ende Mai war ich mit Thorben auf einer Exkursion am Hohenstein in Witten, die ich dazu nutzte um ihn Phytoparasiten etwas näherzubringen. Insbesondere eine Wiese in dem Gebiet erwies sich da als sehr dankbar. Nachdem ich einige Streifenbrände an Gräsern aus der Wiese gezaubert hatte, fand Thorben gleich zwei Brandpilze an Ranunculus. Die sollen ja nicht selten sein, versteckten sich vor mir aber bislang sehr gut.

1. Hier tendiere ich wegen der Öhrchen und den Haaren zu Elymus repens mit Urocystis agropyri
IMG_7033.JPG
IMG_7033.JPG (154.88 KiB) 3134 mal betrachtet
Originalwert Bild aufgenommen am/um:
2021:05:29 11:11:44
Bild aufgenommen am/um:
Sa 29. Mai 2021, 09:11
Brennweite:
60 mm
Belichtungszeit:
1/100 Sek
Blendenwert:
f/8
ISO:
100
Weißabgleich:
Manuell
Blitz:
Blitz nicht ausgelöst, Erzwungener Blitzmodus
Kamera-Hersteller:
Canon
Kamera-Modell:
Canon EOS 600D
Belichtungsmodus:
Blendenvorwahl
Belichtungskorrektur:
-1/3 EV
Belichtungsmessung:
Muster
Koordinaten:
N 51 26.02082 0/ E 7 21.488578 0
IMG_7034.JPG
IMG_7034.JPG (90.95 KiB) 3134 mal betrachtet
Originalwert Bild aufgenommen am/um:
2021:05:29 11:12:20
Bild aufgenommen am/um:
Sa 29. Mai 2021, 09:12
Brennweite:
60 mm
Belichtungszeit:
1/100 Sek
Blendenwert:
f/8
ISO:
500
Weißabgleich:
Manuell
Blitz:
Blitz nicht ausgelöst, Erzwungener Blitzmodus
Kamera-Hersteller:
Canon
Kamera-Modell:
Canon EOS 600D
Belichtungsmodus:
Blendenvorwahl
Belichtungskorrektur:
-1/3 EV
Belichtungsmessung:
Muster
Koordinaten:
N 51 26.02082 0/ E 7 21.488578 0
IMG_7037.JPG
IMG_7037.JPG (76.91 KiB) 3134 mal betrachtet
Originalwert Bild aufgenommen am/um:
2021:05:29 11:12:36
Bild aufgenommen am/um:
Sa 29. Mai 2021, 09:12
Brennweite:
60 mm
Belichtungszeit:
1/80 Sek
Blendenwert:
f/8
ISO:
500
Weißabgleich:
Manuell
Blitz:
Blitz nicht ausgelöst, Erzwungener Blitzmodus
Kamera-Hersteller:
Canon
Kamera-Modell:
Canon EOS 600D
Belichtungsmodus:
Blendenvorwahl
Belichtungskorrektur:
-1/3 EV
Belichtungsmessung:
Muster
Koordinaten:
N 51 26.02082 0/ E 7 21.488578 0
IMG_7040.JPG
IMG_7040.JPG (84.6 KiB) 3134 mal betrachtet
Originalwert Bild aufgenommen am/um:
2021:05:29 11:13:03
Bild aufgenommen am/um:
Sa 29. Mai 2021, 09:13
Brennweite:
60 mm
Belichtungszeit:
1/100 Sek
Blendenwert:
f/8
ISO:
640
Weißabgleich:
Manuell
Blitz:
Blitz nicht ausgelöst, Erzwungener Blitzmodus
Kamera-Hersteller:
Canon
Kamera-Modell:
Canon EOS 600D
Belichtungsmodus:
Blendenvorwahl
Belichtungskorrektur:
-1/3 EV
Belichtungsmessung:
Muster
Koordinaten:
N 51 26.02082 0/ E 7 21.488578 0
IMG_7045.JPG
IMG_7045.JPG (102.76 KiB) 3134 mal betrachtet
Originalwert Bild aufgenommen am/um:
2021:05:29 11:13:25
Bild aufgenommen am/um:
Sa 29. Mai 2021, 09:13
Brennweite:
60 mm
Belichtungszeit:
1/80 Sek
Blendenwert:
f/8
ISO:
640
Weißabgleich:
Manuell
Blitz:
Blitz nicht ausgelöst, Erzwungener Blitzmodus
Kamera-Hersteller:
Canon
Kamera-Modell:
Canon EOS 600D
Belichtungsmodus:
Blendenvorwahl
Belichtungskorrektur:
-1/3 EV
Belichtungsmessung:
Muster
Koordinaten:
N 51 26.02082 0/ E 7 21.488578 0
IMG_7048.JPG
IMG_7048.JPG (94.99 KiB) 3134 mal betrachtet
Originalwert Bild aufgenommen am/um:
2021:05:29 11:13:58
Bild aufgenommen am/um:
Sa 29. Mai 2021, 09:13
Brennweite:
60 mm
Belichtungszeit:
1/80 Sek
Blendenwert:
f/8
ISO:
1000
Weißabgleich:
Manuell
Blitz:
Blitz nicht ausgelöst, Erzwungener Blitzmodus
Kamera-Hersteller:
Canon
Kamera-Modell:
Canon EOS 600D
Belichtungsmodus:
Blendenvorwahl
Belichtungskorrektur:
-1/3 EV
Belichtungsmessung:
Muster
Koordinaten:
N 51 26.02082 0/ E 7 21.488578 0
IMG_7164.JPG
IMG_7164.JPG (187 KiB) 3134 mal betrachtet
Originalwert Bild aufgenommen am/um:
2021:05:30 15:43:50
Bild aufgenommen am/um:
So 30. Mai 2021, 13:43
Brennweite:
50 mm
Belichtungszeit:
1/250 Sek
Blendenwert:
f/0
ISO:
100
Weißabgleich:
Manuell
Blitz:
Blitz nicht ausgelöst, Erzwungener Blitzmodus
Kamera-Hersteller:
Canon
Kamera-Modell:
Canon EOS 600D
Belichtungsmodus:
Blendenvorwahl
Belichtungskorrektur:
1/1 EV
Belichtungsmessung:
Muster
IMG_7165.JPG
IMG_7165.JPG (205.56 KiB) 3134 mal betrachtet
Originalwert Bild aufgenommen am/um:
2021:05:30 15:44:33
Bild aufgenommen am/um:
So 30. Mai 2021, 13:44
Brennweite:
50 mm
Belichtungszeit:
1/160 Sek
Blendenwert:
f/0
ISO:
100
Weißabgleich:
Manuell
Blitz:
Blitz nicht ausgelöst, Erzwungener Blitzmodus
Kamera-Hersteller:
Canon
Kamera-Modell:
Canon EOS 600D
Belichtungsmodus:
Blendenvorwahl
Belichtungskorrektur:
1/1 EV
Belichtungsmessung:
Muster
IMG_7166.JPG
IMG_7166.JPG (215.4 KiB) 3134 mal betrachtet
Originalwert Bild aufgenommen am/um:
2021:05:30 15:44:43
Bild aufgenommen am/um:
So 30. Mai 2021, 13:44
Brennweite:
50 mm
Belichtungszeit:
1/160 Sek
Blendenwert:
f/0
ISO:
100
Weißabgleich:
Manuell
Blitz:
Blitz nicht ausgelöst, Erzwungener Blitzmodus
Kamera-Hersteller:
Canon
Kamera-Modell:
Canon EOS 600D
Belichtungsmodus:
Blendenvorwahl
Belichtungskorrektur:
1/1 EV
Belichtungsmessung:
Muster
IMG_7167.JPG
IMG_7167.JPG (184.84 KiB) 3134 mal betrachtet
Originalwert Bild aufgenommen am/um:
2021:05:30 15:44:53
Bild aufgenommen am/um:
So 30. Mai 2021, 13:44
Brennweite:
50 mm
Belichtungszeit:
1/200 Sek
Blendenwert:
f/0
ISO:
100
Weißabgleich:
Manuell
Blitz:
Blitz nicht ausgelöst, Erzwungener Blitzmodus
Kamera-Hersteller:
Canon
Kamera-Modell:
Canon EOS 600D
Belichtungsmodus:
Blendenvorwahl
Belichtungskorrektur:
1/1 EV
Belichtungsmessung:
Muster
IMG_7168.JPG
IMG_7168.JPG (226.31 KiB) 3134 mal betrachtet
Originalwert Bild aufgenommen am/um:
2021:05:30 15:45:46
Bild aufgenommen am/um:
So 30. Mai 2021, 13:45
Brennweite:
50 mm
Belichtungszeit:
1/160 Sek
Blendenwert:
f/0
ISO:
100
Weißabgleich:
Manuell
Blitz:
Blitz nicht ausgelöst, Erzwungener Blitzmodus
Kamera-Hersteller:
Canon
Kamera-Modell:
Canon EOS 600D
Belichtungsmodus:
Blendenvorwahl
Belichtungskorrektur:
1/1 EV
Belichtungsmessung:
Muster
IMG_7169.JPG
IMG_7169.JPG (217.14 KiB) 3134 mal betrachtet
Originalwert Bild aufgenommen am/um:
2021:05:30 15:45:58
Bild aufgenommen am/um:
So 30. Mai 2021, 13:45
Brennweite:
50 mm
Belichtungszeit:
1/160 Sek
Blendenwert:
f/0
ISO:
100
Weißabgleich:
Manuell
Blitz:
Blitz nicht ausgelöst, Erzwungener Blitzmodus
Kamera-Hersteller:
Canon
Kamera-Modell:
Canon EOS 600D
Belichtungsmodus:
Blendenvorwahl
Belichtungskorrektur:
1/1 EV
Belichtungsmessung:
Muster
2. Hier fehlt mir zum Gras leider jede Idee.
IMG_7050.JPG
IMG_7050.JPG (180.46 KiB) 3134 mal betrachtet
Originalwert Bild aufgenommen am/um:
2021:05:29 11:15:59
Bild aufgenommen am/um:
Sa 29. Mai 2021, 09:15
Brennweite:
60 mm
Belichtungszeit:
1/100 Sek
Blendenwert:
f/8
ISO:
100
Weißabgleich:
Manuell
Blitz:
Blitz nicht ausgelöst, Erzwungener Blitzmodus
Kamera-Hersteller:
Canon
Kamera-Modell:
Canon EOS 600D
Belichtungsmodus:
Blendenvorwahl
Belichtungskorrektur:
-1/3 EV
Belichtungsmessung:
Muster
Koordinaten:
N 51 26.02082 0/ E 7 21.488578 0
IMG_7052.JPG
IMG_7052.JPG (88.9 KiB) 3134 mal betrachtet
Originalwert Bild aufgenommen am/um:
2021:05:29 11:16:46
Bild aufgenommen am/um:
Sa 29. Mai 2021, 09:16
Brennweite:
60 mm
Belichtungszeit:
1/80 Sek
Blendenwert:
f/8
ISO:
640
Weißabgleich:
Manuell
Blitz:
Blitz nicht ausgelöst, Erzwungener Blitzmodus
Kamera-Hersteller:
Canon
Kamera-Modell:
Canon EOS 600D
Belichtungsmodus:
Blendenvorwahl
Belichtungskorrektur:
-1/3 EV
Belichtungsmessung:
Muster
Koordinaten:
N 51 26.02082 0/ E 7 21.488578 0
IMG_7057.JPG
IMG_7057.JPG (96.41 KiB) 3134 mal betrachtet
Originalwert Bild aufgenommen am/um:
2021:05:29 11:17:08
Bild aufgenommen am/um:
Sa 29. Mai 2021, 09:17
Brennweite:
60 mm
Belichtungszeit:
1/100 Sek
Blendenwert:
f/8
ISO:
1250
Weißabgleich:
Manuell
Blitz:
Blitz nicht ausgelöst, Erzwungener Blitzmodus
Kamera-Hersteller:
Canon
Kamera-Modell:
Canon EOS 600D
Belichtungsmodus:
Blendenvorwahl
Belichtungskorrektur:
-1/3 EV
Belichtungsmessung:
Muster
Koordinaten:
N 51 26.02082 0/ E 7 21.488578 0
IMG_7059.JPG
IMG_7059.JPG (111.37 KiB) 3134 mal betrachtet
Originalwert Bild aufgenommen am/um:
2021:05:29 11:17:22
Bild aufgenommen am/um:
Sa 29. Mai 2021, 09:17
Brennweite:
60 mm
Belichtungszeit:
1/100 Sek
Blendenwert:
f/8
ISO:
800
Weißabgleich:
Manuell
Blitz:
Blitz nicht ausgelöst, Erzwungener Blitzmodus
Kamera-Hersteller:
Canon
Kamera-Modell:
Canon EOS 600D
Belichtungsmodus:
Blendenvorwahl
Belichtungskorrektur:
-1/3 EV
Belichtungsmessung:
Muster
Koordinaten:
N 51 26.02082 0/ E 7 21.488578 0
IMG_7170.JPG
IMG_7170.JPG (127.01 KiB) 3134 mal betrachtet
Originalwert Bild aufgenommen am/um:
2021:05:30 15:55:08
Bild aufgenommen am/um:
So 30. Mai 2021, 13:55
Brennweite:
50 mm
Belichtungszeit:
1/320 Sek
Blendenwert:
f/0
ISO:
100
Weißabgleich:
Manuell
Blitz:
Blitz nicht ausgelöst, Erzwungener Blitzmodus
Kamera-Hersteller:
Canon
Kamera-Modell:
Canon EOS 600D
Belichtungsmodus:
Blendenvorwahl
Belichtungskorrektur:
1/1 EV
Belichtungsmessung:
Muster
IMG_7171.JPG
IMG_7171.JPG (183.43 KiB) 3134 mal betrachtet
Originalwert Bild aufgenommen am/um:
2021:05:30 15:55:22
Bild aufgenommen am/um:
So 30. Mai 2021, 13:55
Brennweite:
50 mm
Belichtungszeit:
1/250 Sek
Blendenwert:
f/0
ISO:
100
Weißabgleich:
Manuell
Blitz:
Blitz nicht ausgelöst, Erzwungener Blitzmodus
Kamera-Hersteller:
Canon
Kamera-Modell:
Canon EOS 600D
Belichtungsmodus:
Blendenvorwahl
Belichtungskorrektur:
1/1 EV
Belichtungsmessung:
Muster
IMG_7172.JPG
IMG_7172.JPG (220.37 KiB) 3134 mal betrachtet
Originalwert Bild aufgenommen am/um:
2021:05:30 15:55:52
Bild aufgenommen am/um:
So 30. Mai 2021, 13:55
Brennweite:
50 mm
Belichtungszeit:
1/125 Sek
Blendenwert:
f/0
ISO:
100
Weißabgleich:
Manuell
Blitz:
Blitz nicht ausgelöst, Erzwungener Blitzmodus
Kamera-Hersteller:
Canon
Kamera-Modell:
Canon EOS 600D
Belichtungsmodus:
Blendenvorwahl
Belichtungskorrektur:
1/1 EV
Belichtungsmessung:
Muster
IMG_7173.JPG
IMG_7173.JPG (190.66 KiB) 3134 mal betrachtet
Originalwert Bild aufgenommen am/um:
2021:05:30 15:56:07
Bild aufgenommen am/um:
So 30. Mai 2021, 13:56
Brennweite:
50 mm
Belichtungszeit:
1/160 Sek
Blendenwert:
f/0
ISO:
100
Weißabgleich:
Manuell
Blitz:
Blitz nicht ausgelöst, Erzwungener Blitzmodus
Kamera-Hersteller:
Canon
Kamera-Modell:
Canon EOS 600D
Belichtungsmodus:
Blendenvorwahl
Belichtungskorrektur:
1/1 EV
Belichtungsmessung:
Muster
IMG_7174.JPG
IMG_7174.JPG (223.15 KiB) 3134 mal betrachtet
Originalwert Bild aufgenommen am/um:
2021:05:30 15:56:17
Bild aufgenommen am/um:
So 30. Mai 2021, 13:56
Brennweite:
50 mm
Belichtungszeit:
1/100 Sek
Blendenwert:
f/0
ISO:
100
Weißabgleich:
Manuell
Blitz:
Blitz nicht ausgelöst, Erzwungener Blitzmodus
Kamera-Hersteller:
Canon
Kamera-Modell:
Canon EOS 600D
Belichtungsmodus:
Blendenvorwahl
Belichtungskorrektur:
1/1 EV
Belichtungsmessung:
Muster
IMG_7175.JPG
IMG_7175.JPG (222.47 KiB) 3134 mal betrachtet
Originalwert Bild aufgenommen am/um:
2021:05:30 15:56:23
Bild aufgenommen am/um:
So 30. Mai 2021, 13:56
Brennweite:
50 mm
Belichtungszeit:
1/100 Sek
Blendenwert:
f/0
ISO:
100
Weißabgleich:
Manuell
Blitz:
Blitz nicht ausgelöst, Erzwungener Blitzmodus
Kamera-Hersteller:
Canon
Kamera-Modell:
Canon EOS 600D
Belichtungsmodus:
Blendenvorwahl
Belichtungskorrektur:
1/1 EV
Belichtungsmessung:
Muster
IMG_7176.JPG
IMG_7176.JPG (197.17 KiB) 3134 mal betrachtet
Originalwert Bild aufgenommen am/um:
2021:05:30 15:56:48
Bild aufgenommen am/um:
So 30. Mai 2021, 13:56
Brennweite:
50 mm
Belichtungszeit:
1/125 Sek
Blendenwert:
f/0
ISO:
100
Weißabgleich:
Manuell
Blitz:
Blitz nicht ausgelöst, Erzwungener Blitzmodus
Kamera-Hersteller:
Canon
Kamera-Modell:
Canon EOS 600D
Belichtungsmodus:
Blendenvorwahl
Belichtungskorrektur:
1/1 EV
Belichtungsmessung:
Muster
IMG_7177.JPG
IMG_7177.JPG (211.94 KiB) 3134 mal betrachtet
Originalwert Bild aufgenommen am/um:
2021:05:30 15:56:54
Bild aufgenommen am/um:
So 30. Mai 2021, 13:56
Brennweite:
50 mm
Belichtungszeit:
1/125 Sek
Blendenwert:
f/0
ISO:
100
Weißabgleich:
Manuell
Blitz:
Blitz nicht ausgelöst, Erzwungener Blitzmodus
Kamera-Hersteller:
Canon
Kamera-Modell:
Canon EOS 600D
Belichtungsmodus:
Blendenvorwahl
Belichtungskorrektur:
1/1 EV
Belichtungsmessung:
Muster
3. Und noch ein ideenloses Gras
IMG_7062.JPG
IMG_7062.JPG (215.26 KiB) 3134 mal betrachtet
Originalwert Bild aufgenommen am/um:
2021:05:29 11:18:44
Bild aufgenommen am/um:
Sa 29. Mai 2021, 09:18
Brennweite:
60 mm
Belichtungszeit:
1/100 Sek
Blendenwert:
f/8
ISO:
100
Weißabgleich:
Manuell
Blitz:
Blitz nicht ausgelöst, Erzwungener Blitzmodus
Kamera-Hersteller:
Canon
Kamera-Modell:
Canon EOS 600D
Belichtungsmodus:
Blendenvorwahl
Belichtungskorrektur:
-1/3 EV
Belichtungsmessung:
Muster
Koordinaten:
N 51 26.02082 0/ E 7 21.488578 0
IMG_7064.JPG
IMG_7064.JPG (77.97 KiB) 3134 mal betrachtet
Originalwert Bild aufgenommen am/um:
2021:05:29 11:19:05
Bild aufgenommen am/um:
Sa 29. Mai 2021, 09:19
Brennweite:
60 mm
Belichtungszeit:
1/80 Sek
Blendenwert:
f/8
ISO:
400
Weißabgleich:
Manuell
Blitz:
Blitz nicht ausgelöst, Erzwungener Blitzmodus
Kamera-Hersteller:
Canon
Kamera-Modell:
Canon EOS 600D
Belichtungsmodus:
Blendenvorwahl
Belichtungskorrektur:
-1/3 EV
Belichtungsmessung:
Muster
Koordinaten:
N 51 26.02082 0/ E 7 21.488578 0
IMG_7068.JPG
IMG_7068.JPG (98.53 KiB) 3134 mal betrachtet
Originalwert Bild aufgenommen am/um:
2021:05:29 11:19:57
Bild aufgenommen am/um:
Sa 29. Mai 2021, 09:19
Brennweite:
60 mm
Belichtungszeit:
1/80 Sek
Blendenwert:
f/8
ISO:
400
Weißabgleich:
Manuell
Blitz:
Blitz nicht ausgelöst, Erzwungener Blitzmodus
Kamera-Hersteller:
Canon
Kamera-Modell:
Canon EOS 600D
Belichtungsmodus:
Blendenvorwahl
Belichtungskorrektur:
-1/3 EV
Belichtungsmessung:
Muster
Koordinaten:
N 51 26.02082 0/ E 7 21.488578 0
IMG_7071.JPG
IMG_7071.JPG (80.51 KiB) 3134 mal betrachtet
Originalwert Bild aufgenommen am/um:
2021:05:29 11:20:30
Bild aufgenommen am/um:
Sa 29. Mai 2021, 09:20
Brennweite:
60 mm
Belichtungszeit:
1/100 Sek
Blendenwert:
f/8
ISO:
250
Weißabgleich:
Manuell
Blitz:
Blitz nicht ausgelöst, Erzwungener Blitzmodus
Kamera-Hersteller:
Canon
Kamera-Modell:
Canon EOS 600D
Belichtungsmodus:
Blendenvorwahl
Belichtungskorrektur:
-1/3 EV
Belichtungsmessung:
Muster
Koordinaten:
N 51 26.02082 0/ E 7 21.488578 0
IMG_7178.JPG
IMG_7178.JPG (185.85 KiB) 3134 mal betrachtet
Originalwert Bild aufgenommen am/um:
2021:05:30 16:08:19
Bild aufgenommen am/um:
So 30. Mai 2021, 14:08
Brennweite:
50 mm
Belichtungszeit:
1/160 Sek
Blendenwert:
f/0
ISO:
100
Weißabgleich:
Manuell
Blitz:
Blitz nicht ausgelöst, Erzwungener Blitzmodus
Kamera-Hersteller:
Canon
Kamera-Modell:
Canon EOS 600D
Belichtungsmodus:
Blendenvorwahl
Belichtungskorrektur:
1/1 EV
Belichtungsmessung:
Muster
IMG_7179.JPG
IMG_7179.JPG (187.55 KiB) 3134 mal betrachtet
Originalwert Bild aufgenommen am/um:
2021:05:30 16:08:33
Bild aufgenommen am/um:
So 30. Mai 2021, 14:08
Brennweite:
50 mm
Belichtungszeit:
1/125 Sek
Blendenwert:
f/0
ISO:
100
Weißabgleich:
Manuell
Blitz:
Blitz nicht ausgelöst, Erzwungener Blitzmodus
Kamera-Hersteller:
Canon
Kamera-Modell:
Canon EOS 600D
Belichtungsmodus:
Blendenvorwahl
Belichtungskorrektur:
1/1 EV
Belichtungsmessung:
Muster
bjoerns
alter Hase
Beiträge: 532
Registriert: Mo 3. Sep 2018, 21:21
Kamera: Canon EOS 600D
Canon EF-S 60mm f/2.8 Macro USM
Motic Panthera C
Kontaktdaten:

Re: Hohenstein Witten 29.05.2021

Ungelesener Beitrag von bjoerns »

IMG_7180.JPG
IMG_7180.JPG (181.68 KiB) 3133 mal betrachtet
Originalwert Bild aufgenommen am/um:
2021:05:30 16:08:41
Bild aufgenommen am/um:
So 30. Mai 2021, 14:08
Brennweite:
50 mm
Belichtungszeit:
1/125 Sek
Blendenwert:
f/0
ISO:
100
Weißabgleich:
Manuell
Blitz:
Blitz nicht ausgelöst, Erzwungener Blitzmodus
Kamera-Hersteller:
Canon
Kamera-Modell:
Canon EOS 600D
Belichtungsmodus:
Blendenvorwahl
Belichtungskorrektur:
1/1 EV
Belichtungsmessung:
Muster
4. Urocystis ranunculi ex Ranunculus repens
IMG_7074.JPG
IMG_7074.JPG (113.9 KiB) 3133 mal betrachtet
Originalwert Bild aufgenommen am/um:
2021:05:29 11:26:45
Bild aufgenommen am/um:
Sa 29. Mai 2021, 09:26
Brennweite:
60 mm
Belichtungszeit:
1/100 Sek
Blendenwert:
f/8
ISO:
320
Weißabgleich:
Manuell
Blitz:
Blitz nicht ausgelöst, Erzwungener Blitzmodus
Kamera-Hersteller:
Canon
Kamera-Modell:
Canon EOS 600D
Belichtungsmodus:
Blendenvorwahl
Belichtungskorrektur:
-1/3 EV
Belichtungsmessung:
Muster
Koordinaten:
N 51 26.02082 0/ E 7 21.488578 0
IMG_7078.JPG
IMG_7078.JPG (104.08 KiB) 3133 mal betrachtet
Originalwert Bild aufgenommen am/um:
2021:05:29 11:26:56
Bild aufgenommen am/um:
Sa 29. Mai 2021, 09:26
Brennweite:
60 mm
Belichtungszeit:
1/100 Sek
Blendenwert:
f/8
ISO:
800
Weißabgleich:
Manuell
Blitz:
Blitz nicht ausgelöst, Erzwungener Blitzmodus
Kamera-Hersteller:
Canon
Kamera-Modell:
Canon EOS 600D
Belichtungsmodus:
Blendenvorwahl
Belichtungskorrektur:
-1/3 EV
Belichtungsmessung:
Muster
Koordinaten:
N 51 26.02082 0/ E 7 21.488578 0
IMG_7079.JPG
IMG_7079.JPG (101.71 KiB) 3133 mal betrachtet
Originalwert Bild aufgenommen am/um:
2021:05:29 11:26:59
Bild aufgenommen am/um:
Sa 29. Mai 2021, 09:26
Brennweite:
60 mm
Belichtungszeit:
1/100 Sek
Blendenwert:
f/8
ISO:
800
Weißabgleich:
Manuell
Blitz:
Blitz nicht ausgelöst, Erzwungener Blitzmodus
Kamera-Hersteller:
Canon
Kamera-Modell:
Canon EOS 600D
Belichtungsmodus:
Blendenvorwahl
Belichtungskorrektur:
-1/3 EV
Belichtungsmessung:
Muster
Koordinaten:
N 51 26.02082 0/ E 7 21.488578 0
IMG_7144.JPG
IMG_7144.JPG (287.22 KiB) 3133 mal betrachtet
Originalwert Bild aufgenommen am/um:
2021:05:30 14:56:11
Bild aufgenommen am/um:
So 30. Mai 2021, 12:56
Brennweite:
50 mm
Belichtungszeit:
1/320 Sek
Blendenwert:
f/0
ISO:
100
Weißabgleich:
Manuell
Blitz:
Blitz nicht ausgelöst, Erzwungener Blitzmodus
Kamera-Hersteller:
Canon
Kamera-Modell:
Canon EOS 600D
Belichtungsmodus:
Blendenvorwahl
Belichtungskorrektur:
1/1 EV
Belichtungsmessung:
Muster
IMG_7145.JPG
IMG_7145.JPG (206.75 KiB) 3133 mal betrachtet
Originalwert Bild aufgenommen am/um:
2021:05:30 14:56:37
Bild aufgenommen am/um:
So 30. Mai 2021, 12:56
Brennweite:
50 mm
Belichtungszeit:
1/125 Sek
Blendenwert:
f/0
ISO:
100
Weißabgleich:
Manuell
Blitz:
Blitz nicht ausgelöst, Erzwungener Blitzmodus
Kamera-Hersteller:
Canon
Kamera-Modell:
Canon EOS 600D
Belichtungsmodus:
Blendenvorwahl
Belichtungskorrektur:
1/1 EV
Belichtungsmessung:
Muster
IMG_7146.JPG
IMG_7146.JPG (198.78 KiB) 3133 mal betrachtet
Originalwert Bild aufgenommen am/um:
2021:05:30 14:56:49
Bild aufgenommen am/um:
So 30. Mai 2021, 12:56
Brennweite:
50 mm
Belichtungszeit:
1/160 Sek
Blendenwert:
f/0
ISO:
100
Weißabgleich:
Manuell
Blitz:
Blitz nicht ausgelöst, Erzwungener Blitzmodus
Kamera-Hersteller:
Canon
Kamera-Modell:
Canon EOS 600D
Belichtungsmodus:
Blendenvorwahl
Belichtungskorrektur:
1/1 EV
Belichtungsmessung:
Muster
IMG_7147.JPG
IMG_7147.JPG (197.41 KiB) 3133 mal betrachtet
Originalwert Bild aufgenommen am/um:
2021:05:30 14:57:02
Bild aufgenommen am/um:
So 30. Mai 2021, 12:57
Brennweite:
50 mm
Belichtungszeit:
1/125 Sek
Blendenwert:
f/0
ISO:
100
Weißabgleich:
Manuell
Blitz:
Blitz nicht ausgelöst, Erzwungener Blitzmodus
Kamera-Hersteller:
Canon
Kamera-Modell:
Canon EOS 600D
Belichtungsmodus:
Blendenvorwahl
Belichtungskorrektur:
1/1 EV
Belichtungsmessung:
Muster
IMG_7148.JPG
IMG_7148.JPG (177.44 KiB) 3133 mal betrachtet
Originalwert Bild aufgenommen am/um:
2021:05:30 14:57:25
Bild aufgenommen am/um:
So 30. Mai 2021, 12:57
Brennweite:
50 mm
Belichtungszeit:
1/160 Sek
Blendenwert:
f/0
ISO:
100
Weißabgleich:
Manuell
Blitz:
Blitz nicht ausgelöst, Erzwungener Blitzmodus
Kamera-Hersteller:
Canon
Kamera-Modell:
Canon EOS 600D
Belichtungsmodus:
Blendenvorwahl
Belichtungskorrektur:
1/1 EV
Belichtungsmessung:
Muster
IMG_7149.JPG
IMG_7149.JPG (197.07 KiB) 3133 mal betrachtet
Originalwert Bild aufgenommen am/um:
2021:05:30 14:57:41
Bild aufgenommen am/um:
So 30. Mai 2021, 12:57
Brennweite:
50 mm
Belichtungszeit:
1/125 Sek
Blendenwert:
f/0
ISO:
100
Weißabgleich:
Manuell
Blitz:
Blitz nicht ausgelöst, Erzwungener Blitzmodus
Kamera-Hersteller:
Canon
Kamera-Modell:
Canon EOS 600D
Belichtungsmodus:
Blendenvorwahl
Belichtungskorrektur:
1/1 EV
Belichtungsmessung:
Muster
IMG_7150.JPG
IMG_7150.JPG (197.95 KiB) 3133 mal betrachtet
Originalwert Bild aufgenommen am/um:
2021:05:30 14:57:54
Bild aufgenommen am/um:
So 30. Mai 2021, 12:57
Brennweite:
50 mm
Belichtungszeit:
1/125 Sek
Blendenwert:
f/0
ISO:
100
Weißabgleich:
Manuell
Blitz:
Blitz nicht ausgelöst, Erzwungener Blitzmodus
Kamera-Hersteller:
Canon
Kamera-Modell:
Canon EOS 600D
Belichtungsmodus:
Blendenvorwahl
Belichtungskorrektur:
1/1 EV
Belichtungsmessung:
Muster
IMG_7151.JPG
IMG_7151.JPG (196.76 KiB) 3133 mal betrachtet
Originalwert Bild aufgenommen am/um:
2021:05:30 14:58:03
Bild aufgenommen am/um:
So 30. Mai 2021, 12:58
Brennweite:
50 mm
Belichtungszeit:
1/125 Sek
Blendenwert:
f/0
ISO:
100
Weißabgleich:
Manuell
Blitz:
Blitz nicht ausgelöst, Erzwungener Blitzmodus
Kamera-Hersteller:
Canon
Kamera-Modell:
Canon EOS 600D
Belichtungsmodus:
Blendenvorwahl
Belichtungskorrektur:
1/1 EV
Belichtungsmessung:
Muster
IMG_7152.JPG
IMG_7152.JPG (209.84 KiB) 3133 mal betrachtet
Originalwert Bild aufgenommen am/um:
2021:05:30 14:58:14
Bild aufgenommen am/um:
So 30. Mai 2021, 12:58
Brennweite:
50 mm
Belichtungszeit:
1/125 Sek
Blendenwert:
f/0
ISO:
100
Weißabgleich:
Manuell
Blitz:
Blitz nicht ausgelöst, Erzwungener Blitzmodus
Kamera-Hersteller:
Canon
Kamera-Modell:
Canon EOS 600D
Belichtungsmodus:
Blendenvorwahl
Belichtungskorrektur:
1/1 EV
Belichtungsmessung:
Muster
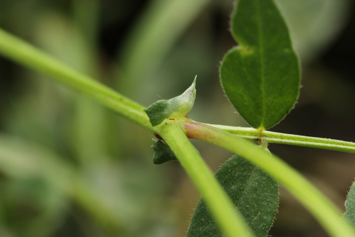
5. Eine Entyloma auf Ranunculus. Im Feld hatte ich das ohne groß nachzudenken als Ranunuculus repens angesprochen, weil dort alles voll damit war. Thorben hatte dann aber im Nachgang Zweifel angemeldet, weil auf der Wiese auch R. acris wächst. Mein Beleg ist jetzt leider schon ziemlich flach, so daß ich nicht mehr beurteilen kann, ob die Stängel rund oder eckig waren.
IMG_7082.JPG
IMG_7082.JPG (226.23 KiB) 3133 mal betrachtet
Originalwert Bild aufgenommen am/um:
2021:05:29 11:30:54
Bild aufgenommen am/um:
Sa 29. Mai 2021, 09:30
Brennweite:
60 mm
Belichtungszeit:
1/100 Sek
Blendenwert:
f/8
ISO:
320
Weißabgleich:
Manuell
Blitz:
Blitz nicht ausgelöst, Erzwungener Blitzmodus
Kamera-Hersteller:
Canon
Kamera-Modell:
Canon EOS 600D
Belichtungsmodus:
Blendenvorwahl
Belichtungskorrektur:
-1/3 EV
Belichtungsmessung:
Muster
Koordinaten:
N 51 26.02082 0/ E 7 21.488578 0
IMG_7087.JPG
IMG_7087.JPG (124.31 KiB) 3133 mal betrachtet
Originalwert Bild aufgenommen am/um:
2021:05:29 11:31:15
Bild aufgenommen am/um:
Sa 29. Mai 2021, 09:31
Brennweite:
60 mm
Belichtungszeit:
1/100 Sek
Blendenwert:
f/8
ISO:
320
Weißabgleich:
Manuell
Blitz:
Blitz nicht ausgelöst, Erzwungener Blitzmodus
Kamera-Hersteller:
Canon
Kamera-Modell:
Canon EOS 600D
Belichtungsmodus:
Blendenvorwahl
Belichtungskorrektur:
-1/3 EV
Belichtungsmessung:
Muster
Koordinaten:
N 51 26.02082 0/ E 7 21.488578 0
IMG_7090.JPG
IMG_7090.JPG (118.57 KiB) 3133 mal betrachtet
Originalwert Bild aufgenommen am/um:
2021:05:29 11:32:02
Bild aufgenommen am/um:
Sa 29. Mai 2021, 09:32
Brennweite:
60 mm
Belichtungszeit:
1/80 Sek
Blendenwert:
f/8
ISO:
200
Weißabgleich:
Manuell
Blitz:
Blitz nicht ausgelöst, Erzwungener Blitzmodus
Kamera-Hersteller:
Canon
Kamera-Modell:
Canon EOS 600D
Belichtungsmodus:
Blendenvorwahl
Belichtungskorrektur:
-1/3 EV
Belichtungsmessung:
Muster
Koordinaten:
N 51 26.02082 0/ E 7 21.488578 0
IMG_7091.JPG
IMG_7091.JPG (119.79 KiB) 3133 mal betrachtet
Originalwert Bild aufgenommen am/um:
2021:05:29 11:32:18
Bild aufgenommen am/um:
Sa 29. Mai 2021, 09:32
Brennweite:
60 mm
Belichtungszeit:
1/80 Sek
Blendenwert:
f/8
ISO:
400
Weißabgleich:
Manuell
Blitz:
Blitz nicht ausgelöst, Erzwungener Blitzmodus
Kamera-Hersteller:
Canon
Kamera-Modell:
Canon EOS 600D
Belichtungsmodus:
Blendenvorwahl
Belichtungskorrektur:
-1/3 EV
Belichtungsmessung:
Muster
Koordinaten:
N 51 26.02082 0/ E 7 21.488578 0
IMG_7184.JPG
IMG_7184.JPG (138 KiB) 3133 mal betrachtet
Originalwert Bild aufgenommen am/um:
2021:05:30 16:55:04
Bild aufgenommen am/um:
So 30. Mai 2021, 14:55
Brennweite:
50 mm
Belichtungszeit:
1/250 Sek
Blendenwert:
f/0
ISO:
100
Weißabgleich:
Manuell
Blitz:
Blitz nicht ausgelöst, Erzwungener Blitzmodus
Kamera-Hersteller:
Canon
Kamera-Modell:
Canon EOS 600D
Belichtungsmodus:
Blendenvorwahl
Belichtungskorrektur:
1/1 EV
Belichtungsmessung:
Muster
IMG_7185.JPG
IMG_7185.JPG (135.21 KiB) 3133 mal betrachtet
Originalwert Bild aufgenommen am/um:
2021:05:30 16:55:44
Bild aufgenommen am/um:
So 30. Mai 2021, 14:55
Brennweite:
50 mm
Belichtungszeit:
1/250 Sek
Blendenwert:
f/0
ISO:
100
Weißabgleich:
Manuell
Blitz:
Blitz nicht ausgelöst, Erzwungener Blitzmodus
Kamera-Hersteller:
Canon
Kamera-Modell:
Canon EOS 600D
Belichtungsmodus:
Blendenvorwahl
Belichtungskorrektur:
1/1 EV
Belichtungsmessung:
Muster
IMG_7186.JPG
IMG_7186.JPG (123.54 KiB) 3133 mal betrachtet
Originalwert Bild aufgenommen am/um:
2021:05:30 16:57:16
Bild aufgenommen am/um:
So 30. Mai 2021, 14:57
Brennweite:
50 mm
Belichtungszeit:
1/250 Sek
Blendenwert:
f/0
ISO:
100
Weißabgleich:
Manuell
Blitz:
Blitz nicht ausgelöst, Erzwungener Blitzmodus
Kamera-Hersteller:
Canon
Kamera-Modell:
Canon EOS 600D
Belichtungsmodus:
Blendenvorwahl
Belichtungskorrektur:
1/1 EV
Belichtungsmessung:
Muster
IMG_7187.JPG
IMG_7187.JPG (148.22 KiB) 3133 mal betrachtet
Originalwert Bild aufgenommen am/um:
2021:05:30 17:19:50
Bild aufgenommen am/um:
So 30. Mai 2021, 15:19
Brennweite:
50 mm
Belichtungszeit:
1/200 Sek
Blendenwert:
f/0
ISO:
100
Weißabgleich:
Manuell
Blitz:
Blitz nicht ausgelöst, Erzwungener Blitzmodus
Kamera-Hersteller:
Canon
Kamera-Modell:
Canon EOS 600D
Belichtungsmodus:
Blendenvorwahl
Belichtungskorrektur:
1/1 EV
Belichtungsmessung:
Muster
IMG_7188.JPG
IMG_7188.JPG (155.61 KiB) 3133 mal betrachtet
Originalwert Bild aufgenommen am/um:
2021:05:30 17:21:48
Bild aufgenommen am/um:
So 30. Mai 2021, 15:21
Brennweite:
50 mm
Belichtungszeit:
1/200 Sek
Blendenwert:
f/0
ISO:
100
Weißabgleich:
Manuell
Blitz:
Blitz nicht ausgelöst, Erzwungener Blitzmodus
Kamera-Hersteller:
Canon
Kamera-Modell:
Canon EOS 600D
Belichtungsmodus:
Blendenvorwahl
Belichtungskorrektur:
1/1 EV
Belichtungsmessung:
Muster
6. Ramularia geranii ex Geranium pyrenaicum
IMG_7098.JPG
IMG_7098.JPG (196.57 KiB) 3133 mal betrachtet
Originalwert Bild aufgenommen am/um:
2021:05:29 11:52:49
Bild aufgenommen am/um:
Sa 29. Mai 2021, 09:52
Brennweite:
60 mm
Belichtungszeit:
1/100 Sek
Blendenwert:
f/8
ISO:
160
Weißabgleich:
Manuell
Blitz:
Blitz nicht ausgelöst, Erzwungener Blitzmodus
Kamera-Hersteller:
Canon
Kamera-Modell:
Canon EOS 600D
Belichtungsmodus:
Blendenvorwahl
Belichtungskorrektur:
-1/3 EV
Belichtungsmessung:
Muster
Koordinaten:
N 51 26.017008 0/ E 7 21.529455 0
IMG_7103.JPG
IMG_7103.JPG (191.11 KiB) 3133 mal betrachtet
Originalwert Bild aufgenommen am/um:
2021:05:29 11:53:50
Bild aufgenommen am/um:
Sa 29. Mai 2021, 09:53
Brennweite:
60 mm
Belichtungszeit:
1/100 Sek
Blendenwert:
f/8
ISO:
320
Weißabgleich:
Manuell
Blitz:
Blitz nicht ausgelöst, Erzwungener Blitzmodus
Kamera-Hersteller:
Canon
Kamera-Modell:
Canon EOS 600D
Belichtungsmodus:
Blendenvorwahl
Belichtungskorrektur:
-1/3 EV
Belichtungsmessung:
Muster
Koordinaten:
N 51 26.017008 0/ E 7 21.529455 0
IMG_7105.JPG
IMG_7105.JPG (158.41 KiB) 3133 mal betrachtet
Originalwert Bild aufgenommen am/um:
2021:05:29 11:53:59
Bild aufgenommen am/um:
Sa 29. Mai 2021, 09:53
Brennweite:
60 mm
Belichtungszeit:
1/100 Sek
Blendenwert:
f/8
ISO:
250
Weißabgleich:
Manuell
Blitz:
Blitz nicht ausgelöst, Erzwungener Blitzmodus
Kamera-Hersteller:
Canon
Kamera-Modell:
Canon EOS 600D
Belichtungsmodus:
Blendenvorwahl
Belichtungskorrektur:
-1/3 EV
Belichtungsmessung:
Muster
Koordinaten:
N 51 26.017008 0/ E 7 21.529455 0
IMG_7107.JPG
IMG_7107.JPG (181.89 KiB) 3133 mal betrachtet
Originalwert Bild aufgenommen am/um:
2021:05:29 11:54:14
Bild aufgenommen am/um:
Sa 29. Mai 2021, 09:54
Brennweite:
60 mm
Belichtungszeit:
1/80 Sek
Blendenwert:
f/8
ISO:
400
Weißabgleich:
Manuell
Blitz:
Blitz nicht ausgelöst, Erzwungener Blitzmodus
Kamera-Hersteller:
Canon
Kamera-Modell:
Canon EOS 600D
Belichtungsmodus:
Blendenvorwahl
Belichtungskorrektur:
-1/3 EV
Belichtungsmessung:
Muster
Koordinaten:
N 51 26.017008 0/ E 7 21.529455 0
IMG_7153.JPG
IMG_7153.JPG (120.81 KiB) 3133 mal betrachtet
Originalwert Bild aufgenommen am/um:
2021:05:30 15:07:17
Bild aufgenommen am/um:
So 30. Mai 2021, 13:07
Brennweite:
50 mm
Belichtungszeit:
1/200 Sek
Blendenwert:
f/0
ISO:
100
Weißabgleich:
Manuell
Blitz:
Blitz nicht ausgelöst, Erzwungener Blitzmodus
Kamera-Hersteller:
Canon
Kamera-Modell:
Canon EOS 600D
Belichtungsmodus:
Blendenvorwahl
Belichtungskorrektur:
1/1 EV
Belichtungsmessung:
Muster
IMG_7154.JPG
IMG_7154.JPG (168.61 KiB) 3133 mal betrachtet
Originalwert Bild aufgenommen am/um:
2021:05:30 15:08:06
Bild aufgenommen am/um:
So 30. Mai 2021, 13:08
Brennweite:
50 mm
Belichtungszeit:
1/320 Sek
Blendenwert:
f/0
ISO:
100
Weißabgleich:
Manuell
Blitz:
Blitz nicht ausgelöst, Erzwungener Blitzmodus
Kamera-Hersteller:
Canon
Kamera-Modell:
Canon EOS 600D
Belichtungsmodus:
Blendenvorwahl
Belichtungskorrektur:
1/1 EV
Belichtungsmessung:
Muster
IMG_7155.JPG
IMG_7155.JPG (179.55 KiB) 3133 mal betrachtet
Originalwert Bild aufgenommen am/um:
2021:05:30 15:08:22
Bild aufgenommen am/um:
So 30. Mai 2021, 13:08
Brennweite:
50 mm
Belichtungszeit:
1/320 Sek
Blendenwert:
f/0
ISO:
100
Weißabgleich:
Manuell
Blitz:
Blitz nicht ausgelöst, Erzwungener Blitzmodus
Kamera-Hersteller:
Canon
Kamera-Modell:
Canon EOS 600D
Belichtungsmodus:
Blendenvorwahl
Belichtungskorrektur:
1/1 EV
Belichtungsmessung:
Muster
IMG_7156.JPG
IMG_7156.JPG (150.4 KiB) 3133 mal betrachtet
Originalwert Bild aufgenommen am/um:
2021:05:30 15:08:33
Bild aufgenommen am/um:
So 30. Mai 2021, 13:08
Brennweite:
50 mm
Belichtungszeit:
1/320 Sek
Blendenwert:
f/0
ISO:
100
Weißabgleich:
Manuell
Blitz:
Blitz nicht ausgelöst, Erzwungener Blitzmodus
Kamera-Hersteller:
Canon
Kamera-Modell:
Canon EOS 600D
Belichtungsmodus:
Blendenvorwahl
Belichtungskorrektur:
1/1 EV
Belichtungsmessung:
Muster
bjoerns
alter Hase
Beiträge: 532
Registriert: Mo 3. Sep 2018, 21:21
Kamera: Canon EOS 600D
Canon EF-S 60mm f/2.8 Macro USM
Motic Panthera C
Kontaktdaten:

Re: Hohenstein Witten 29.05.2021

Ungelesener Beitrag von bjoerns »

IMG_7157.JPG
IMG_7157.JPG (187.02 KiB) 3133 mal betrachtet
Originalwert Bild aufgenommen am/um:
2021:05:30 15:08:57
Bild aufgenommen am/um:
So 30. Mai 2021, 13:08
Brennweite:
50 mm
Belichtungszeit:
1/320 Sek
Blendenwert:
f/0
ISO:
100
Weißabgleich:
Manuell
Blitz:
Blitz nicht ausgelöst, Erzwungener Blitzmodus
Kamera-Hersteller:
Canon
Kamera-Modell:
Canon EOS 600D
Belichtungsmodus:
Blendenvorwahl
Belichtungskorrektur:
1/1 EV
Belichtungsmessung:
Muster
IMG_7158.JPG
IMG_7158.JPG (177.04 KiB) 3133 mal betrachtet
Originalwert Bild aufgenommen am/um:
2021:05:30 15:09:10
Bild aufgenommen am/um:
So 30. Mai 2021, 13:09
Brennweite:
50 mm
Belichtungszeit:
1/320 Sek
Blendenwert:
f/0
ISO:
100
Weißabgleich:
Manuell
Blitz:
Blitz nicht ausgelöst, Erzwungener Blitzmodus
Kamera-Hersteller:
Canon
Kamera-Modell:
Canon EOS 600D
Belichtungsmodus:
Blendenvorwahl
Belichtungskorrektur:
1/1 EV
Belichtungsmessung:
Muster
IMG_7159.JPG
IMG_7159.JPG (147.99 KiB) 3133 mal betrachtet
Originalwert Bild aufgenommen am/um:
2021:05:30 15:09:27
Bild aufgenommen am/um:
So 30. Mai 2021, 13:09
Brennweite:
50 mm
Belichtungszeit:
1/320 Sek
Blendenwert:
f/0
ISO:
100
Weißabgleich:
Manuell
Blitz:
Blitz nicht ausgelöst, Erzwungener Blitzmodus
Kamera-Hersteller:
Canon
Kamera-Modell:
Canon EOS 600D
Belichtungsmodus:
Blendenvorwahl
Belichtungskorrektur:
1/1 EV
Belichtungsmessung:
Muster
IMG_7160.JPG
IMG_7160.JPG (174.24 KiB) 3133 mal betrachtet
Originalwert Bild aufgenommen am/um:
2021:05:30 15:10:26
Bild aufgenommen am/um:
So 30. Mai 2021, 13:10
Brennweite:
50 mm
Belichtungszeit:
1/320 Sek
Blendenwert:
f/0
ISO:
100
Weißabgleich:
Manuell
Blitz:
Blitz nicht ausgelöst, Erzwungener Blitzmodus
Kamera-Hersteller:
Canon
Kamera-Modell:
Canon EOS 600D
Belichtungsmodus:
Blendenvorwahl
Belichtungskorrektur:
1/1 EV
Belichtungsmessung:
Muster
IMG_7161.JPG
IMG_7161.JPG (177.64 KiB) 3133 mal betrachtet
Originalwert Bild aufgenommen am/um:
2021:05:30 15:29:11
Bild aufgenommen am/um:
So 30. Mai 2021, 13:29
Brennweite:
50 mm
Belichtungszeit:
1/2.5 Sek
Blendenwert:
f/0
ISO:
100
Weißabgleich:
Manuell
Blitz:
Blitz nicht ausgelöst, Erzwungener Blitzmodus
Kamera-Hersteller:
Canon
Kamera-Modell:
Canon EOS 600D
Belichtungsmodus:
Blendenvorwahl
Belichtungskorrektur:
0 EV
Belichtungsmessung:
Muster
IMG_7162.JPG
IMG_7162.JPG (221.7 KiB) 3133 mal betrachtet
Originalwert Bild aufgenommen am/um:
2021:05:30 15:29:54
Bild aufgenommen am/um:
So 30. Mai 2021, 13:29
Brennweite:
50 mm
Belichtungszeit:
1/2 Sek
Blendenwert:
f/0
ISO:
100
Weißabgleich:
Manuell
Blitz:
Blitz nicht ausgelöst, Erzwungener Blitzmodus
Kamera-Hersteller:
Canon
Kamera-Modell:
Canon EOS 600D
Belichtungsmodus:
Blendenvorwahl
Belichtungskorrektur:
0 EV
Belichtungsmessung:
Muster
7. Hier tendiere ich beim Wirt trotz einzelner Blüten zu Vicia sepium, so daß der Pilz dann Peronospora sepium ist.
IMG_7110.JPG
IMG_7110.JPG (184.96 KiB) 3133 mal betrachtet
Originalwert Bild aufgenommen am/um:
2021:05:29 12:55:02
Bild aufgenommen am/um:
Sa 29. Mai 2021, 10:55
Brennweite:
60 mm
Belichtungszeit:
1/100 Sek
Blendenwert:
f/8
ISO:
200
Weißabgleich:
Manuell
Blitz:
Blitz nicht ausgelöst, Erzwungener Blitzmodus
Kamera-Hersteller:
Canon
Kamera-Modell:
Canon EOS 600D
Belichtungsmodus:
Blendenvorwahl
Belichtungskorrektur:
-1/3 EV
Belichtungsmessung:
Muster
Koordinaten:
N 51 25.517211 0/ E 7 21.218634 0
IMG_7114.JPG
IMG_7114.JPG (94.22 KiB) 3133 mal betrachtet
Originalwert Bild aufgenommen am/um:
2021:05:29 12:55:35
Bild aufgenommen am/um:
Sa 29. Mai 2021, 10:55
Brennweite:
60 mm
Belichtungszeit:
1/100 Sek
Blendenwert:
f/8
ISO:
250
Weißabgleich:
Manuell
Blitz:
Blitz nicht ausgelöst, Erzwungener Blitzmodus
Kamera-Hersteller:
Canon
Kamera-Modell:
Canon EOS 600D
Belichtungsmodus:
Blendenvorwahl
Belichtungskorrektur:
-1/3 EV
Belichtungsmessung:
Muster
Koordinaten:
N 51 25.517211 0/ E 7 21.218634 0
IMG_7118.JPG
IMG_7118.JPG (129.81 KiB) 3133 mal betrachtet
Originalwert Bild aufgenommen am/um:
2021:05:29 12:55:42
Bild aufgenommen am/um:
Sa 29. Mai 2021, 10:55
Brennweite:
60 mm
Belichtungszeit:
1/80 Sek
Blendenwert:
f/8
ISO:
320
Weißabgleich:
Manuell
Blitz:
Blitz nicht ausgelöst, Erzwungener Blitzmodus
Kamera-Hersteller:
Canon
Kamera-Modell:
Canon EOS 600D
Belichtungsmodus:
Blendenvorwahl
Belichtungskorrektur:
-1/3 EV
Belichtungsmessung:
Muster
Koordinaten:
N 51 25.517211 0/ E 7 21.218634 0
IMG_7120.JPG
IMG_7120.JPG (114.93 KiB) 3133 mal betrachtet
Originalwert Bild aufgenommen am/um:
2021:05:29 12:55:59
Bild aufgenommen am/um:
Sa 29. Mai 2021, 10:55
Brennweite:
60 mm
Belichtungszeit:
1/80 Sek
Blendenwert:
f/8
ISO:
160
Weißabgleich:
Manuell
Blitz:
Blitz nicht ausgelöst, Erzwungener Blitzmodus
Kamera-Hersteller:
Canon
Kamera-Modell:
Canon EOS 600D
Belichtungsmodus:
Blendenvorwahl
Belichtungskorrektur:
-1/3 EV
Belichtungsmessung:
Muster
Koordinaten:
N 51 25.517211 0/ E 7 21.218634 0
IMG_7189.JPG
IMG_7189.JPG (86.31 KiB) 3133 mal betrachtet
Originalwert Bild aufgenommen am/um:
2021:05:30 17:52:50
Bild aufgenommen am/um:
So 30. Mai 2021, 15:52
Brennweite:
50 mm
Belichtungszeit:
1/250 Sek
Blendenwert:
f/0
ISO:
100
Weißabgleich:
Manuell
Blitz:
Blitz nicht ausgelöst, Erzwungener Blitzmodus
Kamera-Hersteller:
Canon
Kamera-Modell:
Canon EOS 600D
Belichtungsmodus:
Blendenvorwahl
Belichtungskorrektur:
1/1 EV
Belichtungsmessung:
Muster
IMG_7190.JPG
IMG_7190.JPG (143.34 KiB) 3133 mal betrachtet
Originalwert Bild aufgenommen am/um:
2021:05:30 17:53:17
Bild aufgenommen am/um:
So 30. Mai 2021, 15:53
Brennweite:
50 mm
Belichtungszeit:
1/320 Sek
Blendenwert:
f/0
ISO:
100
Weißabgleich:
Manuell
Blitz:
Blitz nicht ausgelöst, Erzwungener Blitzmodus
Kamera-Hersteller:
Canon
Kamera-Modell:
Canon EOS 600D
Belichtungsmodus:
Blendenvorwahl
Belichtungskorrektur:
1/1 EV
Belichtungsmessung:
Muster
IMG_7191.JPG
IMG_7191.JPG (155.06 KiB) 3133 mal betrachtet
Originalwert Bild aufgenommen am/um:
2021:05:30 17:53:28
Bild aufgenommen am/um:
So 30. Mai 2021, 15:53
Brennweite:
50 mm
Belichtungszeit:
1/250 Sek
Blendenwert:
f/0
ISO:
100
Weißabgleich:
Manuell
Blitz:
Blitz nicht ausgelöst, Erzwungener Blitzmodus
Kamera-Hersteller:
Canon
Kamera-Modell:
Canon EOS 600D
Belichtungsmodus:
Blendenvorwahl
Belichtungskorrektur:
1/1 EV
Belichtungsmessung:
Muster
IMG_7192.JPG
IMG_7192.JPG (139.27 KiB) 3133 mal betrachtet
Originalwert Bild aufgenommen am/um:
2021:05:30 17:53:50
Bild aufgenommen am/um:
So 30. Mai 2021, 15:53
Brennweite:
50 mm
Belichtungszeit:
1/250 Sek
Blendenwert:
f/0
ISO:
100
Weißabgleich:
Manuell
Blitz:
Blitz nicht ausgelöst, Erzwungener Blitzmodus
Kamera-Hersteller:
Canon
Kamera-Modell:
Canon EOS 600D
Belichtungsmodus:
Blendenvorwahl
Belichtungskorrektur:
1/1 EV
Belichtungsmessung:
Muster
IMG_7193.JPG
IMG_7193.JPG (117.66 KiB) 3133 mal betrachtet
Originalwert Bild aufgenommen am/um:
2021:05:30 17:54:29
Bild aufgenommen am/um:
So 30. Mai 2021, 15:54
Brennweite:
50 mm
Belichtungszeit:
1/320 Sek
Blendenwert:
f/0
ISO:
100
Weißabgleich:
Manuell
Blitz:
Blitz nicht ausgelöst, Erzwungener Blitzmodus
Kamera-Hersteller:
Canon
Kamera-Modell:
Canon EOS 600D
Belichtungsmodus:
Blendenvorwahl
Belichtungskorrektur:
1/1 EV
Belichtungsmessung:
Muster
8. Hier jetzt ohne Zweifel: Peronospora sepium ex Vicia sepium
IMG_7123.JPG
IMG_7123.JPG (173.33 KiB) 3133 mal betrachtet
Originalwert Bild aufgenommen am/um:
2021:05:29 12:57:12
Bild aufgenommen am/um:
Sa 29. Mai 2021, 10:57
Brennweite:
60 mm
Belichtungszeit:
1/80 Sek
Blendenwert:
f/8
ISO:
100
Weißabgleich:
Manuell
Blitz:
Blitz nicht ausgelöst, Erzwungener Blitzmodus
Kamera-Hersteller:
Canon
Kamera-Modell:
Canon EOS 600D
Belichtungsmodus:
Blendenvorwahl
Belichtungskorrektur:
-1/3 EV
Belichtungsmessung:
Muster
Koordinaten:
N 51 25.517211 0/ E 7 21.218634 0
IMG_7127.JPG
IMG_7127.JPG (147.06 KiB) 3133 mal betrachtet
Originalwert Bild aufgenommen am/um:
2021:05:29 12:58:24
Bild aufgenommen am/um:
Sa 29. Mai 2021, 10:58
Brennweite:
60 mm
Belichtungszeit:
1/160 Sek
Blendenwert:
f/8
ISO:
100
Weißabgleich:
Manuell
Blitz:
Blitz nicht ausgelöst, Erzwungener Blitzmodus
Kamera-Hersteller:
Canon
Kamera-Modell:
Canon EOS 600D
Belichtungsmodus:
Blendenvorwahl
Belichtungskorrektur:
-1/3 EV
Belichtungsmessung:
Muster
Koordinaten:
N 51 25.517211 0/ E 7 21.218634 0
IMG_7128.JPG
IMG_7128.JPG (113.99 KiB) 3133 mal betrachtet
Originalwert Bild aufgenommen am/um:
2021:05:29 12:58:49
Bild aufgenommen am/um:
Sa 29. Mai 2021, 10:58
Brennweite:
60 mm
Belichtungszeit:
1/125 Sek
Blendenwert:
f/8
ISO:
100
Weißabgleich:
Manuell
Blitz:
Blitz nicht ausgelöst, Erzwungener Blitzmodus
Kamera-Hersteller:
Canon
Kamera-Modell:
Canon EOS 600D
Belichtungsmodus:
Blendenvorwahl
Belichtungskorrektur:
-1/3 EV
Belichtungsmessung:
Muster
Koordinaten:
N 51 25.517211 0/ E 7 21.218634 0
IMG_7194.JPG
IMG_7194.JPG (124.48 KiB) 3133 mal betrachtet
Originalwert Bild aufgenommen am/um:
2021:05:30 18:14:23
Bild aufgenommen am/um:
So 30. Mai 2021, 16:14
Brennweite:
50 mm
Belichtungszeit:
1/250 Sek
Blendenwert:
f/0
ISO:
100
Weißabgleich:
Manuell
Blitz:
Blitz nicht ausgelöst, Erzwungener Blitzmodus
Kamera-Hersteller:
Canon
Kamera-Modell:
Canon EOS 600D
Belichtungsmodus:
Blendenvorwahl
Belichtungskorrektur:
1/1 EV
Belichtungsmessung:
Muster
IMG_7195.JPG
IMG_7195.JPG (164.24 KiB) 3133 mal betrachtet
Originalwert Bild aufgenommen am/um:
2021:05:30 18:14:51
Bild aufgenommen am/um:
So 30. Mai 2021, 16:14
Brennweite:
50 mm
Belichtungszeit:
1/250 Sek
Blendenwert:
f/0
ISO:
100
Weißabgleich:
Manuell
Blitz:
Blitz nicht ausgelöst, Erzwungener Blitzmodus
Kamera-Hersteller:
Canon
Kamera-Modell:
Canon EOS 600D
Belichtungsmodus:
Blendenvorwahl
Belichtungskorrektur:
1/1 EV
Belichtungsmessung:
Muster
IMG_7196.JPG
IMG_7196.JPG (88.83 KiB) 3133 mal betrachtet
Originalwert Bild aufgenommen am/um:
2021:05:30 18:15:22
Bild aufgenommen am/um:
So 30. Mai 2021, 16:15
Brennweite:
50 mm
Belichtungszeit:
1/250 Sek
Blendenwert:
f/0
ISO:
100
Weißabgleich:
Manuell
Blitz:
Blitz nicht ausgelöst, Erzwungener Blitzmodus
Kamera-Hersteller:
Canon
Kamera-Modell:
Canon EOS 600D
Belichtungsmodus:
Blendenvorwahl
Belichtungskorrektur:
1/1 EV
Belichtungsmessung:
Muster
IMG_7197.JPG
IMG_7197.JPG (154.8 KiB) 3133 mal betrachtet
Originalwert Bild aufgenommen am/um:
2021:05:30 18:16:04
Bild aufgenommen am/um:
So 30. Mai 2021, 16:16
Brennweite:
50 mm
Belichtungszeit:
1/250 Sek
Blendenwert:
f/0
ISO:
100
Weißabgleich:
Manuell
Blitz:
Blitz nicht ausgelöst, Erzwungener Blitzmodus
Kamera-Hersteller:
Canon
Kamera-Modell:
Canon EOS 600D
Belichtungsmodus:
Blendenvorwahl
Belichtungskorrektur:
1/1 EV
Belichtungsmessung:
Muster
9. Mit den geknieten Paraphysen lande ich bei Puccinia poae-nemoralis ex Poa sp. In Pilze-Deutschland gibt es P. poae-nemoralis als Gruppe und s. str. Was ist da der Unterschied?
IMG_7133.JPG
IMG_7133.JPG (337.92 KiB) 3133 mal betrachtet
Originalwert Bild aufgenommen am/um:
2021:05:29 13:32:52
Bild aufgenommen am/um:
Sa 29. Mai 2021, 11:32
Brennweite:
60 mm
Belichtungszeit:
1/100 Sek
Blendenwert:
f/8
ISO:
640
Weißabgleich:
Manuell
Blitz:
Blitz nicht ausgelöst, Erzwungener Blitzmodus
Kamera-Hersteller:
Canon
Kamera-Modell:
Canon EOS 600D
Belichtungsmodus:
Blendenvorwahl
Belichtungskorrektur:
-1/3 EV
Belichtungsmessung:
Muster
Koordinaten:
N 51 25.601146 0/ E 7 20.983307 0
IMG_7134.JPG
IMG_7134.JPG (104.43 KiB) 3133 mal betrachtet
Originalwert Bild aufgenommen am/um:
2021:05:29 13:33:06
Bild aufgenommen am/um:
Sa 29. Mai 2021, 11:33
Brennweite:
60 mm
Belichtungszeit:
1/80 Sek
Blendenwert:
f/8
ISO:
1250
Weißabgleich:
Manuell
Blitz:
Blitz nicht ausgelöst, Erzwungener Blitzmodus
Kamera-Hersteller:
Canon
Kamera-Modell:
Canon EOS 600D
Belichtungsmodus:
Blendenvorwahl
Belichtungskorrektur:
-1/3 EV
Belichtungsmessung:
Muster
Koordinaten:
N 51 25.601146 0/ E 7 20.983307 0
IMG_7139.JPG
IMG_7139.JPG (156.42 KiB) 3133 mal betrachtet
Originalwert Bild aufgenommen am/um:
2021:05:29 13:33:51
Bild aufgenommen am/um:
Sa 29. Mai 2021, 11:33
Brennweite:
60 mm
Belichtungszeit:
1/100 Sek
Blendenwert:
f/8
ISO:
1000
Weißabgleich:
Manuell
Blitz:
Blitz nicht ausgelöst, Erzwungener Blitzmodus
Kamera-Hersteller:
Canon
Kamera-Modell:
Canon EOS 600D
Belichtungsmodus:
Blendenvorwahl
Belichtungskorrektur:
-1/3 EV
Belichtungsmessung:
Muster
Koordinaten:
N 51 25.601146 0/ E 7 20.983307 0
IMG_7140.JPG
IMG_7140.JPG (96.62 KiB) 3133 mal betrachtet
Originalwert Bild aufgenommen am/um:
2021:05:29 13:34:51
Bild aufgenommen am/um:
Sa 29. Mai 2021, 11:34
Brennweite:
60 mm
Belichtungszeit:
1/100 Sek
Blendenwert:
f/8
ISO:
1000
Weißabgleich:
Manuell
Blitz:
Blitz nicht ausgelöst, Erzwungener Blitzmodus
Kamera-Hersteller:
Canon
Kamera-Modell:
Canon EOS 600D
Belichtungsmodus:
Blendenvorwahl
Belichtungskorrektur:
-1/3 EV
Belichtungsmessung:
Muster
Koordinaten:
N 51 25.601146 0/ E 7 20.983307 0
IMG_7163.JPG
IMG_7163.JPG (124.43 KiB) 3133 mal betrachtet
Originalwert Bild aufgenommen am/um:
2021:05:30 15:38:20
Bild aufgenommen am/um:
So 30. Mai 2021, 13:38
Brennweite:
50 mm
Belichtungszeit:
1/200 Sek
Blendenwert:
f/0
ISO:
100
Weißabgleich:
Manuell
Blitz:
Blitz nicht ausgelöst, Erzwungener Blitzmodus
Kamera-Hersteller:
Canon
Kamera-Modell:
Canon EOS 600D
Belichtungsmodus:
Blendenvorwahl
Belichtungskorrektur:
1/1 EV
Belichtungsmessung:
Muster
Björn
Benutzeravatar
Julia
Forums Gott
Beiträge: 2342
Registriert: Mo 7. Aug 2006, 19:23
Kamera: Olympus FE 120 +Panasonic LX 7
Wohnort: Barkelsby, Frankfurt a. Main
Kontaktdaten:

Re: Hohenstein Witten 29.05.2021

Ungelesener Beitrag von Julia »

Guten morgen Björn,

also Quecke da gehe ich mit.

Die beiden nächsten Gräser sind mit kleiner Restunsicherheit Alopecurus pratensis, der Pilz Urocystis alopecuri.

Der Hahnenfuß mit dem Entyloma ist dennoch Ranunculus repens, das Mittelblättchen ist ja wieder gestielt. Außerdem passt auch der ganze Habitus.

Beide Wicken sind, wie Du selber schon erkannt hast, Vicia sepium. Sieht man gut anhand der Form der Nebenblätter.

Puccinia poae-nemoralis stimmt natürlich. Das wäre s.str. Die Gruppe umfasst noch Arten wie Puccinia anthoxanthina oder Puccinia milii etc.

Liebe Grüße,
Jule
thorben96
kürzlich registrierte Benutzer
Beiträge: 1
Registriert: Fr 20. Sep 2019, 14:42
Kamera: Canon Eos 550D
Canon 100mm 1:2,8 USM
Canon Kitobjektiv 18-55
Canon Fernauslöser
Stativ Mini von Velbon Olympus
CH-2 Mikroskop

Re: Hohenstein Witten 29.05.2021

Ungelesener Beitrag von thorben96 »

Hallo Jule,

danke für deine Hilfe :) Morgen gibt es übrigens Nachschub ;)

Meinst du wir können die Restunsicherheit bezüglich der Alopecurus pratensis beseitigen, denn wir konnten an dem Fundort Massenweise Mastigosporium album finden.
Mit deinem Einverständnis würde ich diese dann so kartieren.

So kann man sich irren, ich war felsenfest davon überzeugt, dass es keine R. repens sein könnte, aufgrund der schmalen Blätter.
Da habe ich wieder etwas dazugelernt.

VG : Thorben
Antworten