Dasineura auritae?

Spezialforum zum Thema phytoparasitische Kleinpilze ( Rost, Brand, Mehltaupilze etc. ) und tierische Gallen an Wild.- und Nutzpflanzen. Forumsstart - 15.07.2006
Benutzeravatar
Josef Buecker
erfahrener Poster
Beiträge: 98
Registriert: Sa 17. Mai 2008, 20:52

Dasineura auritae?

Ungelesener Beitrag von Josef Buecker »

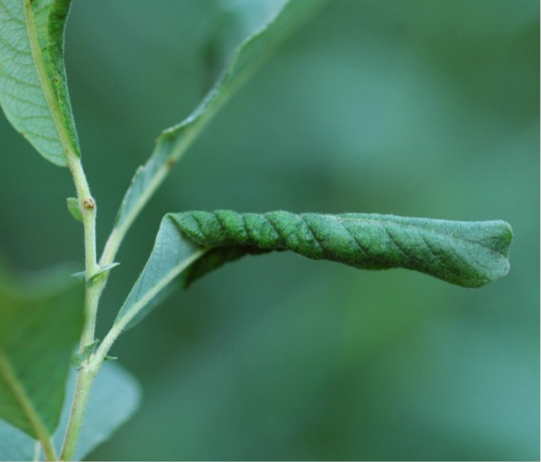
Hallo Forum,
nach Durchsicht so mancher Seite mit Blattgallen im Net komme ich zu genanntem Ergebnis. Richtig? Was sonst? Hagen, NRW, Erlenbruch, 175msm, 16. Juni 2008; die Pflanze ist Salix X multinervis (ein Bastard zwischen Grau- und Ohrweide).
Liebe Grüße, Josef
Dateianhänge
Dasineura auritae.jpg
Dasineura auritae.jpg (145.68 KiB) 1298 mal betrachtet
Antworten