Unbekannt an unbekanntem Strauch

Spezialforum zum Thema phytoparasitische Kleinpilze ( Rost, Brand, Mehltaupilze etc. ) und tierische Gallen an Wild.- und Nutzpflanzen. Forumsstart - 15.07.2006
Benutzeravatar
rickenella
Forums Gott
Beiträge: 1444
Registriert: Sa 26. Nov 2011, 12:22
Kamera: NIKON D3300 + TAMRON
Wohnort: Zwickau

Unbekannt an unbekanntem Strauch

Ungelesener Beitrag von rickenella »

Hallo Anhänger der Phytoparasiten,

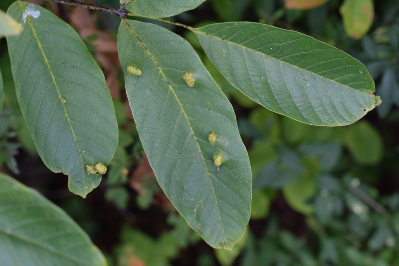
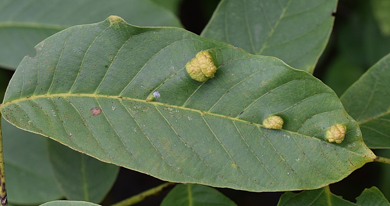
entdeckt am 30.08.14 in Erfurt, Parkplatz an der Gothaer Str. . In der mehrere 100m langen Hecke, konnte ich diesen Strauch und die auf den Blättern befindlichen Gallen (?) mehrfach sichten. Es gibt sicher jemanden in diesem Forum, der mir hier gleich zweifach Klarheit schaffen kann (?) .
Phyto_1.0u.jpg
Phyto_1.0u.jpg (242.12 KiB) 3524 mal betrachtet
Originalwert Bild aufgenommen am/um:
2014:08:30 11:21:43
Bild aufgenommen am/um:
Sa 30. Aug 2014, 09:21
Brennweite:
60 mm
Belichtungszeit:
1/125 Sek
Blendenwert:
f/6.3
ISO:
400
Weißabgleich:
Automatisch
Blitz:
Blitz nicht ausgelöst, Automatischer Modus
Kamera-Hersteller:
NIKON CORPORATION
Kamera-Modell:
NIKON D3300
Belichtungsmodus:
Nicht definert
Belichtungskorrektur:
0 EV
Belichtungsmessung:
Muster
Phyto_1.1u.jpg
Phyto_1.1u.jpg (254.25 KiB) 3524 mal betrachtet
Originalwert Bild aufgenommen am/um:
2014:08:30 11:22:29
Bild aufgenommen am/um:
Sa 30. Aug 2014, 09:22
Brennweite:
60 mm
Belichtungszeit:
1/125 Sek
Blendenwert:
f/7.1
ISO:
400
Weißabgleich:
Automatisch
Blitz:
Blitz nicht ausgelöst, Automatischer Modus
Kamera-Hersteller:
NIKON CORPORATION
Kamera-Modell:
NIKON D3300
Belichtungsmodus:
Nicht definert
Belichtungskorrektur:
0 EV
Belichtungsmessung:
Muster
Phyto_1.2.jpg
Phyto_1.2.jpg (346.76 KiB) 3524 mal betrachtet
Originalwert Bild aufgenommen am/um:
2014:08:30 11:22:46
Bild aufgenommen am/um:
Sa 30. Aug 2014, 09:22
Brennweite:
60 mm
Belichtungszeit:
1/125 Sek
Blendenwert:
f/7.1
ISO:
400
Weißabgleich:
Automatisch
Blitz:
Blitz nicht ausgelöst, Automatischer Modus
Kamera-Hersteller:
NIKON CORPORATION
Kamera-Modell:
NIKON D3300
Belichtungsmodus:
Nicht definert
Belichtungskorrektur:
0 EV
Belichtungsmessung:
Muster
Phyto_1.3u.jpg
Phyto_1.3u.jpg (195.35 KiB) 3524 mal betrachtet
Originalwert Bild aufgenommen am/um:
2014:08:30 11:21:53
Bild aufgenommen am/um:
Sa 30. Aug 2014, 09:21
Brennweite:
60 mm
Belichtungszeit:
1/125 Sek
Blendenwert:
f/6.3
ISO:
400
Weißabgleich:
Automatisch
Blitz:
Blitz nicht ausgelöst, Automatischer Modus
Kamera-Hersteller:
NIKON CORPORATION
Kamera-Modell:
NIKON D3300
Belichtungsmodus:
Nicht definert
Belichtungskorrektur:
0 EV
Belichtungsmessung:
Muster
Phyto_1.4u.jpg
Phyto_1.4u.jpg (264.36 KiB) 3524 mal betrachtet
Originalwert Bild aufgenommen am/um:
2014:08:30 11:22:07
Bild aufgenommen am/um:
Sa 30. Aug 2014, 09:22
Brennweite:
60 mm
Belichtungszeit:
1/125 Sek
Blendenwert:
f/6.3
ISO:
400
Weißabgleich:
Automatisch
Blitz:
Blitz nicht ausgelöst, Automatischer Modus
Kamera-Hersteller:
NIKON CORPORATION
Kamera-Modell:
NIKON D3300
Belichtungsmodus:
Nicht definert
Belichtungskorrektur:
0 EV
Belichtungsmessung:
Muster
Phyto_1.5.jpg
Phyto_1.5.jpg (278.21 KiB) 3524 mal betrachtet
Originalwert Bild aufgenommen am/um:
2014:08:30 11:22:07
Bild aufgenommen am/um:
Sa 30. Aug 2014, 09:22
Brennweite:
60 mm
Belichtungszeit:
1/125 Sek
Blendenwert:
f/6.3
ISO:
400
Weißabgleich:
Automatisch
Blitz:
Blitz nicht ausgelöst, Automatischer Modus
Kamera-Hersteller:
NIKON CORPORATION
Kamera-Modell:
NIKON D3300
Belichtungsmodus:
Nicht definert
Belichtungskorrektur:
0 EV
Belichtungsmessung:
Muster
Phyto_1.6u.jpg
Phyto_1.6u.jpg (236.85 KiB) 3524 mal betrachtet
Originalwert Bild aufgenommen am/um:
2014:08:30 11:23:13
Bild aufgenommen am/um:
Sa 30. Aug 2014, 09:23
Brennweite:
60 mm
Belichtungszeit:
1/160 Sek
Blendenwert:
f/8
ISO:
400
Weißabgleich:
Automatisch
Blitz:
Blitz nicht ausgelöst, Automatischer Modus
Kamera-Hersteller:
NIKON CORPORATION
Kamera-Modell:
NIKON D3300
Belichtungsmodus:
Nicht definert
Belichtungskorrektur:
0 EV
Belichtungsmessung:
Muster
Ich hoffe. die Bilder sind aussagefähig.

VG
Peter
Wissen ist das einzige Gut, das sich vermehrt, wenn man es teilt.
Marie Freifrau von Ebner - Eschenbach (1830 - 1916)
Benutzeravatar
Volker
Administrator
Beiträge: 1048
Registriert: Mi 22. Dez 2004, 10:13
Kamera: Nikon Coolpix 990, Nikon D700
Pilzverein: Pilzfreunde Saar-Pfalz e.V.
Wohnort: Bexbach
Kontaktdaten:

Re: Unbekannt an unbekanntem Strauch

Ungelesener Beitrag von Volker »

Hi

sollte ne Walnuss sein und damit Walnußfilzgallmilbe (Eriophyes erinea).

Gruß Volker
Benutzeravatar
rickenella
Forums Gott
Beiträge: 1444
Registriert: Sa 26. Nov 2011, 12:22
Kamera: NIKON D3300 + TAMRON
Wohnort: Zwickau

Re: Unbekannt an unbekanntem Strauch

Ungelesener Beitrag von rickenella »

Volker hat geschrieben:Hi

sollte ne Walnuss sein und damit Walnußfilzgallmilbe (Eriophyes erinea).

Gruß Volker

Hallo Volker,

danke für das Feedback. Ob Walnuss oder nicht, das kann ich vergleichen. In Nähe meines Wohnortes steht ein solcher Baum.

VG
Peter
Wissen ist das einzige Gut, das sich vermehrt, wenn man es teilt.
Marie Freifrau von Ebner - Eschenbach (1830 - 1916)
Antworten