Rheinwiesen Duisburg 18.04.2020

Spezialforum zum Thema phytoparasitische Kleinpilze ( Rost, Brand, Mehltaupilze etc. ) und tierische Gallen an Wild.- und Nutzpflanzen. Forumsstart - 15.07.2006
bjoerns
alter Hase
Beiträge: 532
Registriert: Mo 3. Sep 2018, 21:21
Kamera: Canon EOS 600D
Canon EF-S 60mm f/2.8 Macro USM
Motic Panthera C
Kontaktdaten:

Rheinwiesen Duisburg 18.04.2020

Ungelesener Beitrag von bjoerns »

Hallo zusammen,

am Samstag war ich in Duisburg-Neuenkamp am Rhein unterwegs. Dort haben auch viele Phytoparasiten das gute Wetter genutzt und sich ablichten lassen:

1. Neoërysiphe galeopsidis ex Lamium purpureum
Rheinwiesen Neuenkamp-0016.jpg
Rheinwiesen Neuenkamp-0016.jpg (309.21 KiB) 5036 mal betrachtet
Originalwert Bild aufgenommen am/um:
2020:04:18 09:21:06
Bild aufgenommen am/um:
Sa 18. Apr 2020, 07:21
Brennweite:
60 mm
Belichtungszeit:
1/100 Sek
Blendenwert:
f/8
ISO:
320
Weißabgleich:
Manuell
Blitz:
Blitz nicht ausgelöst, Erzwungener Blitzmodus
Kamera-Hersteller:
Canon
Kamera-Modell:
Canon EOS 600D
Belichtungsmodus:
Blendenvorwahl
Belichtungskorrektur:
-1/3 EV
Belichtungsmessung:
Muster
Koordinaten:
N 51 25.905367 0/ E 6 44.252496 0
Rheinwiesen Neuenkamp-0123.jpg
Rheinwiesen Neuenkamp-0123.jpg (140.36 KiB) 5036 mal betrachtet
Originalwert Bild aufgenommen am/um:
2020:04:18 12:37:22
Bild aufgenommen am/um:
Sa 18. Apr 2020, 10:37
Brennweite:
60 mm
Belichtungszeit:
1/80 Sek
Blendenwert:
f/8
ISO:
400
Weißabgleich:
Manuell
Blitz:
Blitz nicht ausgelöst, Erzwungener Blitzmodus
Kamera-Hersteller:
Canon
Kamera-Modell:
Canon EOS 600D
Belichtungsmodus:
Blendenvorwahl
Belichtungskorrektur:
-1/3 EV
Belichtungsmessung:
Muster
Koordinaten:
N 51 25.903509 0/ E 6 44.254437 0
2. EDIT: Melampsora pulcherrima ex Mercurialis annua
Rheinwiesen Neuenkamp-0017.jpg
Rheinwiesen Neuenkamp-0017.jpg (287.67 KiB) 5036 mal betrachtet
Originalwert Bild aufgenommen am/um:
2020:04:18 09:21:34
Bild aufgenommen am/um:
Sa 18. Apr 2020, 07:21
Brennweite:
60 mm
Belichtungszeit:
1/100 Sek
Blendenwert:
f/8
ISO:
500
Weißabgleich:
Manuell
Blitz:
Blitz nicht ausgelöst, Erzwungener Blitzmodus
Kamera-Hersteller:
Canon
Kamera-Modell:
Canon EOS 600D
Belichtungsmodus:
Blendenvorwahl
Belichtungskorrektur:
-1/3 EV
Belichtungsmessung:
Muster
Koordinaten:
N 51 25.887708 0/ E 6 44.198423 0
3. Coleosporium senecionis ex Senecio inaquidens
Rheinwiesen Neuenkamp-0024.jpg
Rheinwiesen Neuenkamp-0024.jpg (162.38 KiB) 5036 mal betrachtet
Originalwert Bild aufgenommen am/um:
2020:04:18 09:26:00
Bild aufgenommen am/um:
Sa 18. Apr 2020, 07:26
Brennweite:
60 mm
Belichtungszeit:
1/100 Sek
Blendenwert:
f/8
ISO:
320
Weißabgleich:
Manuell
Blitz:
Blitz nicht ausgelöst, Erzwungener Blitzmodus
Kamera-Hersteller:
Canon
Kamera-Modell:
Canon EOS 600D
Belichtungsmodus:
Blendenvorwahl
Belichtungskorrektur:
-1/3 EV
Belichtungsmessung:
Muster
Koordinaten:
N 51 25.883294 0/ E 6 44.190054 0
4. Ein Neufund für mich: Melanotaenium endogenum ex Galium mollugo agg.
Rheinwiesen Neuenkamp-0046.jpg
Rheinwiesen Neuenkamp-0046.jpg (202.98 KiB) 5036 mal betrachtet
Originalwert Bild aufgenommen am/um:
2020:04:18 09:53:17
Bild aufgenommen am/um:
Sa 18. Apr 2020, 07:53
Brennweite:
60 mm
Belichtungszeit:
1/100 Sek
Blendenwert:
f/8
ISO:
320
Weißabgleich:
Manuell
Blitz:
Blitz nicht ausgelöst, Erzwungener Blitzmodus
Kamera-Hersteller:
Canon
Kamera-Modell:
Canon EOS 600D
Belichtungsmodus:
Blendenvorwahl
Belichtungskorrektur:
-1/3 EV
Belichtungsmessung:
Muster
Koordinaten:
N 51 25.767195 0/ E 6 43.700176 0
Rheinwiesen Neuenkamp-0047.jpg
Rheinwiesen Neuenkamp-0047.jpg (114.83 KiB) 5036 mal betrachtet
Originalwert Bild aufgenommen am/um:
2020:04:18 09:53:39
Bild aufgenommen am/um:
Sa 18. Apr 2020, 07:53
Brennweite:
60 mm
Belichtungszeit:
1/80 Sek
Blendenwert:
f/8
ISO:
800
Weißabgleich:
Manuell
Blitz:
Blitz nicht ausgelöst, Erzwungener Blitzmodus
Kamera-Hersteller:
Canon
Kamera-Modell:
Canon EOS 600D
Belichtungsmodus:
Blendenvorwahl
Belichtungskorrektur:
-1/3 EV
Belichtungsmessung:
Muster
Koordinaten:
N 51 25.767195 0/ E 6 43.700176 0
Rheinwiesen Neuenkamp-0048.jpg
Rheinwiesen Neuenkamp-0048.jpg (306.34 KiB) 5036 mal betrachtet
Originalwert Bild aufgenommen am/um:
2020:04:18 09:55:15
Bild aufgenommen am/um:
Sa 18. Apr 2020, 07:55
Brennweite:
60 mm
Belichtungszeit:
1/80 Sek
Blendenwert:
f/8
ISO:
125
Weißabgleich:
Manuell
Blitz:
Blitz nicht ausgelöst, Erzwungener Blitzmodus
Kamera-Hersteller:
Canon
Kamera-Modell:
Canon EOS 600D
Belichtungsmodus:
Blendenvorwahl
Belichtungskorrektur:
-1/3 EV
Belichtungsmessung:
Muster
Koordinaten:
N 51 25.767195 0/ E 6 43.700176 0
Rheinwiesen Neuenkamp-0142.jpg
Rheinwiesen Neuenkamp-0142.jpg (177.93 KiB) 5036 mal betrachtet
Originalwert Bild aufgenommen am/um:
2020:04:18 16:52:49
Bild aufgenommen am/um:
Sa 18. Apr 2020, 14:52
Brennweite:
50 mm
Belichtungszeit:
1/500 Sek
Blendenwert:
f/0
ISO:
100
Weißabgleich:
Manuell
Blitz:
Blitz nicht ausgelöst, Erzwungener Blitzmodus
Kamera-Hersteller:
Canon
Kamera-Modell:
Canon EOS 600D
Belichtungsmodus:
Blendenvorwahl
Belichtungskorrektur:
1/1 EV
Belichtungsmessung:
Muster
Rheinwiesen Neuenkamp-0143.jpg
Rheinwiesen Neuenkamp-0143.jpg (105.62 KiB) 5036 mal betrachtet
Originalwert Bild aufgenommen am/um:
2020:04:18 16:52:59
Bild aufgenommen am/um:
Sa 18. Apr 2020, 14:52
Brennweite:
50 mm
Belichtungszeit:
1/800 Sek
Blendenwert:
f/0
ISO:
100
Weißabgleich:
Manuell
Blitz:
Blitz nicht ausgelöst, Erzwungener Blitzmodus
Kamera-Hersteller:
Canon
Kamera-Modell:
Canon EOS 600D
Belichtungsmodus:
Blendenvorwahl
Belichtungskorrektur:
1/1 EV
Belichtungsmessung:
Muster
Rheinwiesen Neuenkamp-0144.jpg
Rheinwiesen Neuenkamp-0144.jpg (261.01 KiB) 5036 mal betrachtet
Originalwert Bild aufgenommen am/um:
2020:04:18 16:53:36
Bild aufgenommen am/um:
Sa 18. Apr 2020, 14:53
Brennweite:
50 mm
Belichtungszeit:
1/500 Sek
Blendenwert:
f/0
ISO:
100
Weißabgleich:
Manuell
Blitz:
Blitz nicht ausgelöst, Erzwungener Blitzmodus
Kamera-Hersteller:
Canon
Kamera-Modell:
Canon EOS 600D
Belichtungsmodus:
Blendenvorwahl
Belichtungskorrektur:
1/1 EV
Belichtungsmessung:
Muster
Rheinwiesen Neuenkamp-0145.jpg
Rheinwiesen Neuenkamp-0145.jpg (237.32 KiB) 5036 mal betrachtet
Originalwert Bild aufgenommen am/um:
2020:04:18 16:53:47
Bild aufgenommen am/um:
Sa 18. Apr 2020, 14:53
Brennweite:
50 mm
Belichtungszeit:
1/800 Sek
Blendenwert:
f/0
ISO:
100
Weißabgleich:
Manuell
Blitz:
Blitz nicht ausgelöst, Erzwungener Blitzmodus
Kamera-Hersteller:
Canon
Kamera-Modell:
Canon EOS 600D
Belichtungsmodus:
Blendenvorwahl
Belichtungskorrektur:
1/1 EV
Belichtungsmessung:
Muster
Rheinwiesen Neuenkamp-0146.jpg
Rheinwiesen Neuenkamp-0146.jpg (210.02 KiB) 5036 mal betrachtet
Originalwert Bild aufgenommen am/um:
2020:04:18 16:54:42
Bild aufgenommen am/um:
Sa 18. Apr 2020, 14:54
Brennweite:
50 mm
Belichtungszeit:
1/80 Sek
Blendenwert:
f/0
ISO:
100
Weißabgleich:
Manuell
Blitz:
Blitz nicht ausgelöst, Erzwungener Blitzmodus
Kamera-Hersteller:
Canon
Kamera-Modell:
Canon EOS 600D
Belichtungsmodus:
Blendenvorwahl
Belichtungskorrektur:
1/1 EV
Belichtungsmessung:
Muster
Rheinwiesen Neuenkamp-0147.jpg
Rheinwiesen Neuenkamp-0147.jpg (123.78 KiB) 5036 mal betrachtet
Originalwert Bild aufgenommen am/um:
2020:04:18 16:55:56
Bild aufgenommen am/um:
Sa 18. Apr 2020, 14:55
Brennweite:
50 mm
Belichtungszeit:
1/125 Sek
Blendenwert:
f/0
ISO:
100
Weißabgleich:
Manuell
Blitz:
Blitz nicht ausgelöst, Erzwungener Blitzmodus
Kamera-Hersteller:
Canon
Kamera-Modell:
Canon EOS 600D
Belichtungsmodus:
Blendenvorwahl
Belichtungskorrektur:
1/1 EV
Belichtungsmessung:
Muster
Rheinwiesen Neuenkamp-0148.jpg
Rheinwiesen Neuenkamp-0148.jpg (144.9 KiB) 5036 mal betrachtet
Originalwert Bild aufgenommen am/um:
2020:04:18 16:56:57
Bild aufgenommen am/um:
Sa 18. Apr 2020, 14:56
Brennweite:
50 mm
Belichtungszeit:
1/200 Sek
Blendenwert:
f/0
ISO:
100
Weißabgleich:
Manuell
Blitz:
Blitz nicht ausgelöst, Erzwungener Blitzmodus
Kamera-Hersteller:
Canon
Kamera-Modell:
Canon EOS 600D
Belichtungsmodus:
Blendenvorwahl
Belichtungskorrektur:
1/1 EV
Belichtungsmessung:
Muster
Rheinwiesen Neuenkamp-0149.jpg
Rheinwiesen Neuenkamp-0149.jpg (210.4 KiB) 5036 mal betrachtet
Originalwert Bild aufgenommen am/um:
2020:04:18 16:58:53
Bild aufgenommen am/um:
Sa 18. Apr 2020, 14:58
Brennweite:
50 mm
Belichtungszeit:
1/60 Sek
Blendenwert:
f/0
ISO:
125
Weißabgleich:
Manuell
Blitz:
Blitz nicht ausgelöst, Erzwungener Blitzmodus
Kamera-Hersteller:
Canon
Kamera-Modell:
Canon EOS 600D
Belichtungsmodus:
Blendenvorwahl
Belichtungskorrektur:
1/1 EV
Belichtungsmessung:
Muster
5. Und noch ein Neufund: Leptotrochila cerastiorum ex Cerastium sp.
Rheinwiesen Neuenkamp-0055.jpg
Rheinwiesen Neuenkamp-0055.jpg (118.85 KiB) 5036 mal betrachtet
Originalwert Bild aufgenommen am/um:
2020:04:18 10:16:52
Bild aufgenommen am/um:
Sa 18. Apr 2020, 08:16
Brennweite:
60 mm
Belichtungszeit:
1/100 Sek
Blendenwert:
f/8
ISO:
200
Weißabgleich:
Manuell
Blitz:
Blitz nicht ausgelöst, Erzwungener Blitzmodus
Kamera-Hersteller:
Canon
Kamera-Modell:
Canon EOS 600D
Belichtungsmodus:
Blendenvorwahl
Belichtungskorrektur:
-1/3 EV
Belichtungsmessung:
Muster
Koordinaten:
N 51 25.821979 0/ E 6 43.323272 0
Rheinwiesen Neuenkamp-0056.jpg
Rheinwiesen Neuenkamp-0056.jpg (127.02 KiB) 5036 mal betrachtet
Originalwert Bild aufgenommen am/um:
2020:04:18 10:17:13
Bild aufgenommen am/um:
Sa 18. Apr 2020, 08:17
Brennweite:
60 mm
Belichtungszeit:
1/80 Sek
Blendenwert:
f/8
ISO:
100
Weißabgleich:
Manuell
Blitz:
Blitz nicht ausgelöst, Erzwungener Blitzmodus
Kamera-Hersteller:
Canon
Kamera-Modell:
Canon EOS 600D
Belichtungsmodus:
Blendenvorwahl
Belichtungskorrektur:
-1/3 EV
Belichtungsmessung:
Muster
Koordinaten:
N 51 25.821979 0/ E 6 43.323272 0
Rheinwiesen Neuenkamp-0057.jpg
Rheinwiesen Neuenkamp-0057.jpg (153.67 KiB) 5036 mal betrachtet
Originalwert Bild aufgenommen am/um:
2020:04:18 10:19:02
Bild aufgenommen am/um:
Sa 18. Apr 2020, 08:19
Brennweite:
60 mm
Belichtungszeit:
1/100 Sek
Blendenwert:
f/8
ISO:
125
Weißabgleich:
Manuell
Blitz:
Blitz nicht ausgelöst, Erzwungener Blitzmodus
Kamera-Hersteller:
Canon
Kamera-Modell:
Canon EOS 600D
Belichtungsmodus:
Blendenvorwahl
Belichtungskorrektur:
-1/3 EV
Belichtungsmessung:
Muster
Koordinaten:
N 51 25.821979 0/ E 6 43.323272 0
Rheinwiesen Neuenkamp-0176.jpg
Rheinwiesen Neuenkamp-0176.jpg (180.56 KiB) 5036 mal betrachtet
Originalwert Bild aufgenommen am/um:
2020:04:18 18:43:21
Bild aufgenommen am/um:
Sa 18. Apr 2020, 16:43
Brennweite:
50 mm
Belichtungszeit:
1/500 Sek
Blendenwert:
f/0
ISO:
100
Weißabgleich:
Manuell
Blitz:
Blitz nicht ausgelöst, Erzwungener Blitzmodus
Kamera-Hersteller:
Canon
Kamera-Modell:
Canon EOS 600D
Belichtungsmodus:
Blendenvorwahl
Belichtungskorrektur:
1/1 EV
Belichtungsmessung:
Muster
Rheinwiesen Neuenkamp-0177.jpg
Rheinwiesen Neuenkamp-0177.jpg (185.56 KiB) 5036 mal betrachtet
Originalwert Bild aufgenommen am/um:
2020:04:18 18:43:42
Bild aufgenommen am/um:
Sa 18. Apr 2020, 16:43
Brennweite:
50 mm
Belichtungszeit:
1/500 Sek
Blendenwert:
f/0
ISO:
100
Weißabgleich:
Manuell
Blitz:
Blitz nicht ausgelöst, Erzwungener Blitzmodus
Kamera-Hersteller:
Canon
Kamera-Modell:
Canon EOS 600D
Belichtungsmodus:
Blendenvorwahl
Belichtungskorrektur:
1/1 EV
Belichtungsmessung:
Muster
Rheinwiesen Neuenkamp-0178.jpg
Rheinwiesen Neuenkamp-0178.jpg (153.5 KiB) 5036 mal betrachtet
Originalwert Bild aufgenommen am/um:
2020:04:18 18:43:56
Bild aufgenommen am/um:
Sa 18. Apr 2020, 16:43
Brennweite:
50 mm
Belichtungszeit:
1/500 Sek
Blendenwert:
f/0
ISO:
100
Weißabgleich:
Manuell
Blitz:
Blitz nicht ausgelöst, Erzwungener Blitzmodus
Kamera-Hersteller:
Canon
Kamera-Modell:
Canon EOS 600D
Belichtungsmodus:
Blendenvorwahl
Belichtungskorrektur:
1/1 EV
Belichtungsmessung:
Muster
Rheinwiesen Neuenkamp-0179.jpg
Rheinwiesen Neuenkamp-0179.jpg (123.88 KiB) 5036 mal betrachtet
Originalwert Bild aufgenommen am/um:
2020:04:18 18:44:51
Bild aufgenommen am/um:
Sa 18. Apr 2020, 16:44
Brennweite:
50 mm
Belichtungszeit:
1/250 Sek
Blendenwert:
f/0
ISO:
100
Weißabgleich:
Manuell
Blitz:
Blitz nicht ausgelöst, Erzwungener Blitzmodus
Kamera-Hersteller:
Canon
Kamera-Modell:
Canon EOS 600D
Belichtungsmodus:
Blendenvorwahl
Belichtungskorrektur:
1/1 EV
Belichtungsmessung:
Muster
Rheinwiesen Neuenkamp-0180.jpg
Rheinwiesen Neuenkamp-0180.jpg (70.91 KiB) 5036 mal betrachtet
Originalwert Bild aufgenommen am/um:
2020:04:18 18:45:03
Bild aufgenommen am/um:
Sa 18. Apr 2020, 16:45
Brennweite:
50 mm
Belichtungszeit:
1/250 Sek
Blendenwert:
f/0
ISO:
100
Weißabgleich:
Manuell
Blitz:
Blitz nicht ausgelöst, Erzwungener Blitzmodus
Kamera-Hersteller:
Canon
Kamera-Modell:
Canon EOS 600D
Belichtungsmodus:
Blendenvorwahl
Belichtungskorrektur:
1/1 EV
Belichtungsmessung:
Muster
Rheinwiesen Neuenkamp-0181.jpg
Rheinwiesen Neuenkamp-0181.jpg (149.72 KiB) 5036 mal betrachtet
Originalwert Bild aufgenommen am/um:
2020:04:18 18:46:09
Bild aufgenommen am/um:
Sa 18. Apr 2020, 16:46
Brennweite:
50 mm
Belichtungszeit:
1/250 Sek
Blendenwert:
f/0
ISO:
100
Weißabgleich:
Manuell
Blitz:
Blitz nicht ausgelöst, Erzwungener Blitzmodus
Kamera-Hersteller:
Canon
Kamera-Modell:
Canon EOS 600D
Belichtungsmodus:
Blendenvorwahl
Belichtungskorrektur:
1/1 EV
Belichtungsmessung:
Muster
Rheinwiesen Neuenkamp-0182.jpg
Rheinwiesen Neuenkamp-0182.jpg (93.6 KiB) 5036 mal betrachtet
Originalwert Bild aufgenommen am/um:
2020:04:18 18:49:39
Bild aufgenommen am/um:
Sa 18. Apr 2020, 16:49
Brennweite:
50 mm
Belichtungszeit:
1/250 Sek
Blendenwert:
f/0
ISO:
100
Weißabgleich:
Manuell
Blitz:
Blitz nicht ausgelöst, Erzwungener Blitzmodus
Kamera-Hersteller:
Canon
Kamera-Modell:
Canon EOS 600D
Belichtungsmodus:
Blendenvorwahl
Belichtungskorrektur:
1/1 EV
Belichtungsmessung:
Muster
Rheinwiesen Neuenkamp-0183.jpg
Rheinwiesen Neuenkamp-0183.jpg (121.93 KiB) 5036 mal betrachtet
Originalwert Bild aufgenommen am/um:
2020:04:18 18:50:44
Bild aufgenommen am/um:
Sa 18. Apr 2020, 16:50
Brennweite:
50 mm
Belichtungszeit:
1/250 Sek
Blendenwert:
f/0
ISO:
100
Weißabgleich:
Manuell
Blitz:
Blitz nicht ausgelöst, Erzwungener Blitzmodus
Kamera-Hersteller:
Canon
Kamera-Modell:
Canon EOS 600D
Belichtungsmodus:
Blendenvorwahl
Belichtungskorrektur:
1/1 EV
Belichtungsmessung:
Muster
Rheinwiesen Neuenkamp-0184.jpg
Rheinwiesen Neuenkamp-0184.jpg (151.12 KiB) 5036 mal betrachtet
Originalwert Bild aufgenommen am/um:
2020:04:18 18:51:44
Bild aufgenommen am/um:
Sa 18. Apr 2020, 16:51
Brennweite:
50 mm
Belichtungszeit:
1/250 Sek
Blendenwert:
f/0
ISO:
100
Weißabgleich:
Manuell
Blitz:
Blitz nicht ausgelöst, Erzwungener Blitzmodus
Kamera-Hersteller:
Canon
Kamera-Modell:
Canon EOS 600D
Belichtungsmodus:
Blendenvorwahl
Belichtungskorrektur:
1/1 EV
Belichtungsmessung:
Muster
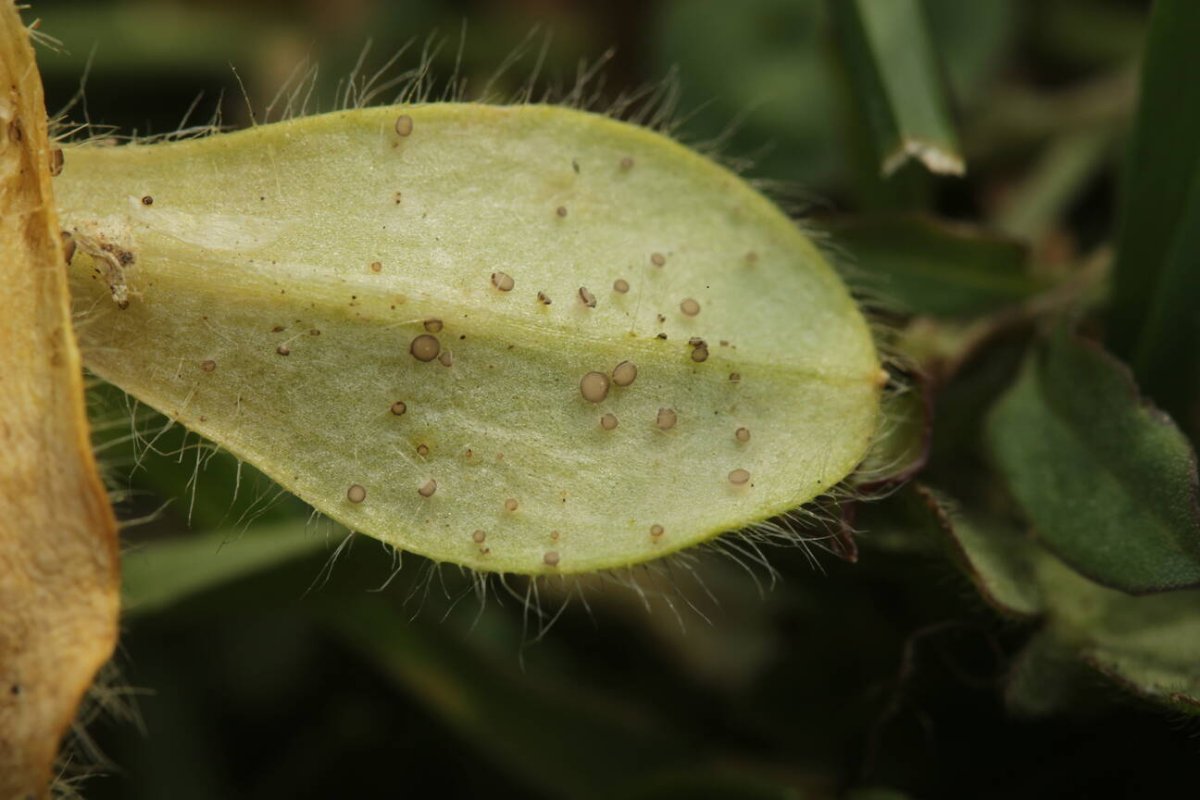
6. Entyloma eryngii ex Eryngium campestre
Rheinwiesen Neuenkamp-0058.jpg
Rheinwiesen Neuenkamp-0058.jpg (280.15 KiB) 5036 mal betrachtet
Originalwert Bild aufgenommen am/um:
2020:04:18 10:22:46
Bild aufgenommen am/um:
Sa 18. Apr 2020, 08:22
Brennweite:
60 mm
Belichtungszeit:
1/100 Sek
Blendenwert:
f/8
ISO:
160
Weißabgleich:
Manuell
Blitz:
Blitz nicht ausgelöst, Erzwungener Blitzmodus
Kamera-Hersteller:
Canon
Kamera-Modell:
Canon EOS 600D
Belichtungsmodus:
Blendenvorwahl
Belichtungskorrektur:
-1/3 EV
Belichtungsmessung:
Muster
Koordinaten:
N 51 25.850474 0/ E 6 43.276923 0
Rheinwiesen Neuenkamp-0138.jpg
Rheinwiesen Neuenkamp-0138.jpg (63.11 KiB) 5036 mal betrachtet
Originalwert Bild aufgenommen am/um:
2020:04:18 16:39:11
Bild aufgenommen am/um:
Sa 18. Apr 2020, 14:39
Brennweite:
50 mm
Belichtungszeit:
1/500 Sek
Blendenwert:
f/0
ISO:
100
Weißabgleich:
Manuell
Blitz:
Blitz nicht ausgelöst, Erzwungener Blitzmodus
Kamera-Hersteller:
Canon
Kamera-Modell:
Canon EOS 600D
Belichtungsmodus:
Blendenvorwahl
Belichtungskorrektur:
1/1 EV
Belichtungsmessung:
Muster
Rheinwiesen Neuenkamp-0139.jpg
Rheinwiesen Neuenkamp-0139.jpg (74.78 KiB) 5036 mal betrachtet
Originalwert Bild aufgenommen am/um:
2020:04:18 16:40:04
Bild aufgenommen am/um:
Sa 18. Apr 2020, 14:40
Brennweite:
50 mm
Belichtungszeit:
1/320 Sek
Blendenwert:
f/0
ISO:
100
Weißabgleich:
Manuell
Blitz:
Blitz nicht ausgelöst, Erzwungener Blitzmodus
Kamera-Hersteller:
Canon
Kamera-Modell:
Canon EOS 600D
Belichtungsmodus:
Blendenvorwahl
Belichtungskorrektur:
1/1 EV
Belichtungsmessung:
Muster
Teil 2 folgt sofort...
Zuletzt geändert von bjoerns am Di 21. Apr 2020, 16:11, insgesamt 1-mal geändert.
bjoerns
alter Hase
Beiträge: 532
Registriert: Mo 3. Sep 2018, 21:21
Kamera: Canon EOS 600D
Canon EF-S 60mm f/2.8 Macro USM
Motic Panthera C
Kontaktdaten:

Re: Rheinwiesen Duisburg 18.04.2020

Ungelesener Beitrag von bjoerns »

Rheinwiesen Neuenkamp-0140.jpg
Rheinwiesen Neuenkamp-0140.jpg (68.65 KiB) 5035 mal betrachtet
Originalwert Bild aufgenommen am/um:
2020:04:18 16:40:42
Bild aufgenommen am/um:
Sa 18. Apr 2020, 14:40
Brennweite:
50 mm
Belichtungszeit:
1/320 Sek
Blendenwert:
f/0
ISO:
100
Weißabgleich:
Manuell
Blitz:
Blitz nicht ausgelöst, Erzwungener Blitzmodus
Kamera-Hersteller:
Canon
Kamera-Modell:
Canon EOS 600D
Belichtungsmodus:
Blendenvorwahl
Belichtungskorrektur:
1/1 EV
Belichtungsmessung:
Muster
Rheinwiesen Neuenkamp-0141.jpg
Rheinwiesen Neuenkamp-0141.jpg (160.63 KiB) 5035 mal betrachtet
Originalwert Bild aufgenommen am/um:
2020:04:18 16:42:07
Bild aufgenommen am/um:
Sa 18. Apr 2020, 14:42
Brennweite:
50 mm
Belichtungszeit:
1/250 Sek
Blendenwert:
f/0
ISO:
100
Weißabgleich:
Manuell
Blitz:
Blitz nicht ausgelöst, Erzwungener Blitzmodus
Kamera-Hersteller:
Canon
Kamera-Modell:
Canon EOS 600D
Belichtungsmodus:
Blendenvorwahl
Belichtungskorrektur:
1/1 EV
Belichtungsmessung:
Muster
7. Ein weiterer Neufund für mich: Protomyces pachydermus ex Taraxacum Sect. Ruderalia
Rheinwiesen Neuenkamp-0070.jpg
Rheinwiesen Neuenkamp-0070.jpg (249.12 KiB) 5035 mal betrachtet
Originalwert Bild aufgenommen am/um:
2020:04:18 11:00:20
Bild aufgenommen am/um:
Sa 18. Apr 2020, 09:00
Brennweite:
60 mm
Belichtungszeit:
1/80 Sek
Blendenwert:
f/8
ISO:
125
Weißabgleich:
Manuell
Blitz:
Blitz nicht ausgelöst, Erzwungener Blitzmodus
Kamera-Hersteller:
Canon
Kamera-Modell:
Canon EOS 600D
Belichtungsmodus:
Blendenvorwahl
Belichtungskorrektur:
-1/3 EV
Belichtungsmessung:
Muster
Koordinaten:
N 51 26.166303 0/ E 6 43.067079 0
Rheinwiesen Neuenkamp-0072.jpg
Rheinwiesen Neuenkamp-0072.jpg (128.49 KiB) 5035 mal betrachtet
Originalwert Bild aufgenommen am/um:
2020:04:18 11:00:35
Bild aufgenommen am/um:
Sa 18. Apr 2020, 09:00
Brennweite:
60 mm
Belichtungszeit:
1/100 Sek
Blendenwert:
f/8
ISO:
320
Weißabgleich:
Manuell
Blitz:
Blitz nicht ausgelöst, Erzwungener Blitzmodus
Kamera-Hersteller:
Canon
Kamera-Modell:
Canon EOS 600D
Belichtungsmodus:
Blendenvorwahl
Belichtungskorrektur:
-1/3 EV
Belichtungsmessung:
Muster
Koordinaten:
N 51 26.166303 0/ E 6 43.067079 0
Rheinwiesen Neuenkamp-0073.jpg
Rheinwiesen Neuenkamp-0073.jpg (126.3 KiB) 5035 mal betrachtet
Originalwert Bild aufgenommen am/um:
2020:04:18 11:00:57
Bild aufgenommen am/um:
Sa 18. Apr 2020, 09:00
Brennweite:
60 mm
Belichtungszeit:
1/100 Sek
Blendenwert:
f/8
ISO:
640
Weißabgleich:
Manuell
Blitz:
Blitz nicht ausgelöst, Erzwungener Blitzmodus
Kamera-Hersteller:
Canon
Kamera-Modell:
Canon EOS 600D
Belichtungsmodus:
Blendenvorwahl
Belichtungskorrektur:
-1/3 EV
Belichtungsmessung:
Muster
Koordinaten:
N 51 26.166303 0/ E 6 43.067079 0
Rheinwiesen Neuenkamp-0150.jpg
Rheinwiesen Neuenkamp-0150.jpg (189.74 KiB) 5035 mal betrachtet
Originalwert Bild aufgenommen am/um:
2020:04:18 17:10:14
Bild aufgenommen am/um:
Sa 18. Apr 2020, 15:10
Brennweite:
50 mm
Belichtungszeit:
1/640 Sek
Blendenwert:
f/0
ISO:
100
Weißabgleich:
Manuell
Blitz:
Blitz nicht ausgelöst, Erzwungener Blitzmodus
Kamera-Hersteller:
Canon
Kamera-Modell:
Canon EOS 600D
Belichtungsmodus:
Blendenvorwahl
Belichtungskorrektur:
1/1 EV
Belichtungsmessung:
Muster
Rheinwiesen Neuenkamp-0151.jpg
Rheinwiesen Neuenkamp-0151.jpg (183.64 KiB) 5035 mal betrachtet
Originalwert Bild aufgenommen am/um:
2020:04:18 17:10:29
Bild aufgenommen am/um:
Sa 18. Apr 2020, 15:10
Brennweite:
50 mm
Belichtungszeit:
1/640 Sek
Blendenwert:
f/0
ISO:
100
Weißabgleich:
Manuell
Blitz:
Blitz nicht ausgelöst, Erzwungener Blitzmodus
Kamera-Hersteller:
Canon
Kamera-Modell:
Canon EOS 600D
Belichtungsmodus:
Blendenvorwahl
Belichtungskorrektur:
1/1 EV
Belichtungsmessung:
Muster
Rheinwiesen Neuenkamp-0152.jpg
Rheinwiesen Neuenkamp-0152.jpg (190.26 KiB) 5035 mal betrachtet
Originalwert Bild aufgenommen am/um:
2020:04:18 17:10:57
Bild aufgenommen am/um:
Sa 18. Apr 2020, 15:10
Brennweite:
50 mm
Belichtungszeit:
1/800 Sek
Blendenwert:
f/0
ISO:
100
Weißabgleich:
Manuell
Blitz:
Blitz nicht ausgelöst, Erzwungener Blitzmodus
Kamera-Hersteller:
Canon
Kamera-Modell:
Canon EOS 600D
Belichtungsmodus:
Blendenvorwahl
Belichtungskorrektur:
1/1 EV
Belichtungsmessung:
Muster
Rheinwiesen Neuenkamp-0153.jpg
Rheinwiesen Neuenkamp-0153.jpg (198.77 KiB) 5035 mal betrachtet
Originalwert Bild aufgenommen am/um:
2020:04:18 17:11:18
Bild aufgenommen am/um:
Sa 18. Apr 2020, 15:11
Brennweite:
50 mm
Belichtungszeit:
1/640 Sek
Blendenwert:
f/0
ISO:
100
Weißabgleich:
Manuell
Blitz:
Blitz nicht ausgelöst, Erzwungener Blitzmodus
Kamera-Hersteller:
Canon
Kamera-Modell:
Canon EOS 600D
Belichtungsmodus:
Blendenvorwahl
Belichtungskorrektur:
1/1 EV
Belichtungsmessung:
Muster
Rheinwiesen Neuenkamp-0154.jpg
Rheinwiesen Neuenkamp-0154.jpg (77.65 KiB) 5035 mal betrachtet
Originalwert Bild aufgenommen am/um:
2020:04:18 17:12:10
Bild aufgenommen am/um:
Sa 18. Apr 2020, 15:12
Brennweite:
50 mm
Belichtungszeit:
1/250 Sek
Blendenwert:
f/0
ISO:
100
Weißabgleich:
Manuell
Blitz:
Blitz nicht ausgelöst, Erzwungener Blitzmodus
Kamera-Hersteller:
Canon
Kamera-Modell:
Canon EOS 600D
Belichtungsmodus:
Blendenvorwahl
Belichtungskorrektur:
1/1 EV
Belichtungsmessung:
Muster
Rheinwiesen Neuenkamp-0155.jpg
Rheinwiesen Neuenkamp-0155.jpg (81.05 KiB) 5035 mal betrachtet
Originalwert Bild aufgenommen am/um:
2020:04:18 17:12:20
Bild aufgenommen am/um:
Sa 18. Apr 2020, 15:12
Brennweite:
50 mm
Belichtungszeit:
1/250 Sek
Blendenwert:
f/0
ISO:
100
Weißabgleich:
Manuell
Blitz:
Blitz nicht ausgelöst, Erzwungener Blitzmodus
Kamera-Hersteller:
Canon
Kamera-Modell:
Canon EOS 600D
Belichtungsmodus:
Blendenvorwahl
Belichtungskorrektur:
1/1 EV
Belichtungsmessung:
Muster
Rheinwiesen Neuenkamp-0156.jpg
Rheinwiesen Neuenkamp-0156.jpg (140.98 KiB) 5035 mal betrachtet
Originalwert Bild aufgenommen am/um:
2020:04:18 17:13:13
Bild aufgenommen am/um:
Sa 18. Apr 2020, 15:13
Brennweite:
50 mm
Belichtungszeit:
1/250 Sek
Blendenwert:
f/0
ISO:
100
Weißabgleich:
Manuell
Blitz:
Blitz nicht ausgelöst, Erzwungener Blitzmodus
Kamera-Hersteller:
Canon
Kamera-Modell:
Canon EOS 600D
Belichtungsmodus:
Blendenvorwahl
Belichtungskorrektur:
1/1 EV
Belichtungsmessung:
Muster
8. Peronospora ranunculi ex Ranunculus sp.
Rheinwiesen Neuenkamp-0098.jpg
Rheinwiesen Neuenkamp-0098.jpg (131 KiB) 5035 mal betrachtet
Originalwert Bild aufgenommen am/um:
2020:04:18 11:42:15
Bild aufgenommen am/um:
Sa 18. Apr 2020, 09:42
Brennweite:
60 mm
Belichtungszeit:
1/80 Sek
Blendenwert:
f/8
ISO:
320
Weißabgleich:
Manuell
Blitz:
Blitz nicht ausgelöst, Erzwungener Blitzmodus
Kamera-Hersteller:
Canon
Kamera-Modell:
Canon EOS 600D
Belichtungsmodus:
Blendenvorwahl
Belichtungskorrektur:
-1/3 EV
Belichtungsmessung:
Muster
Koordinaten:
N 51 26.589188 0/ E 6 43.129841 0
Rheinwiesen Neuenkamp-0100.jpg
Rheinwiesen Neuenkamp-0100.jpg (141.73 KiB) 5035 mal betrachtet
Originalwert Bild aufgenommen am/um:
2020:04:18 11:43:45
Bild aufgenommen am/um:
Sa 18. Apr 2020, 09:43
Brennweite:
60 mm
Belichtungszeit:
1/80 Sek
Blendenwert:
f/8
ISO:
500
Weißabgleich:
Manuell
Blitz:
Blitz nicht ausgelöst, Erzwungener Blitzmodus
Kamera-Hersteller:
Canon
Kamera-Modell:
Canon EOS 600D
Belichtungsmodus:
Blendenvorwahl
Belichtungskorrektur:
-1/3 EV
Belichtungsmessung:
Muster
Koordinaten:
N 51 26.589188 0/ E 6 43.129841 0
Rheinwiesen Neuenkamp-0101.jpg
Rheinwiesen Neuenkamp-0101.jpg (209.3 KiB) 5035 mal betrachtet
Originalwert Bild aufgenommen am/um:
2020:04:18 11:45:40
Bild aufgenommen am/um:
Sa 18. Apr 2020, 09:45
Brennweite:
60 mm
Belichtungszeit:
1/100 Sek
Blendenwert:
f/8
ISO:
320
Weißabgleich:
Manuell
Blitz:
Blitz nicht ausgelöst, Erzwungener Blitzmodus
Kamera-Hersteller:
Canon
Kamera-Modell:
Canon EOS 600D
Belichtungsmodus:
Blendenvorwahl
Belichtungskorrektur:
-1/3 EV
Belichtungsmessung:
Muster
Koordinaten:
N 51 26.556287 0/ E 6 43.116966 0
Rheinwiesen Neuenkamp-0171.jpg
Rheinwiesen Neuenkamp-0171.jpg (116.43 KiB) 5035 mal betrachtet
Originalwert Bild aufgenommen am/um:
2020:04:18 18:23:33
Bild aufgenommen am/um:
Sa 18. Apr 2020, 16:23
Brennweite:
50 mm
Belichtungszeit:
1/640 Sek
Blendenwert:
f/0
ISO:
100
Weißabgleich:
Manuell
Blitz:
Blitz nicht ausgelöst, Erzwungener Blitzmodus
Kamera-Hersteller:
Canon
Kamera-Modell:
Canon EOS 600D
Belichtungsmodus:
Blendenvorwahl
Belichtungskorrektur:
1/1 EV
Belichtungsmessung:
Muster
Rheinwiesen Neuenkamp-0172.jpg
Rheinwiesen Neuenkamp-0172.jpg (136.46 KiB) 5035 mal betrachtet
Originalwert Bild aufgenommen am/um:
2020:04:18 18:23:53
Bild aufgenommen am/um:
Sa 18. Apr 2020, 16:23
Brennweite:
50 mm
Belichtungszeit:
1/500 Sek
Blendenwert:
f/0
ISO:
100
Weißabgleich:
Manuell
Blitz:
Blitz nicht ausgelöst, Erzwungener Blitzmodus
Kamera-Hersteller:
Canon
Kamera-Modell:
Canon EOS 600D
Belichtungsmodus:
Blendenvorwahl
Belichtungskorrektur:
1/1 EV
Belichtungsmessung:
Muster
Rheinwiesen Neuenkamp-0173.jpg
Rheinwiesen Neuenkamp-0173.jpg (112.06 KiB) 5035 mal betrachtet
Originalwert Bild aufgenommen am/um:
2020:04:18 18:24:29
Bild aufgenommen am/um:
Sa 18. Apr 2020, 16:24
Brennweite:
50 mm
Belichtungszeit:
1/500 Sek
Blendenwert:
f/0
ISO:
100
Weißabgleich:
Manuell
Blitz:
Blitz nicht ausgelöst, Erzwungener Blitzmodus
Kamera-Hersteller:
Canon
Kamera-Modell:
Canon EOS 600D
Belichtungsmodus:
Blendenvorwahl
Belichtungskorrektur:
1/1 EV
Belichtungsmessung:
Muster
Rheinwiesen Neuenkamp-0174.jpg
Rheinwiesen Neuenkamp-0174.jpg (59.71 KiB) 5035 mal betrachtet
Originalwert Bild aufgenommen am/um:
2020:04:18 18:25:15
Bild aufgenommen am/um:
Sa 18. Apr 2020, 16:25
Brennweite:
50 mm
Belichtungszeit:
1/250 Sek
Blendenwert:
f/0
ISO:
100
Weißabgleich:
Manuell
Blitz:
Blitz nicht ausgelöst, Erzwungener Blitzmodus
Kamera-Hersteller:
Canon
Kamera-Modell:
Canon EOS 600D
Belichtungsmodus:
Blendenvorwahl
Belichtungskorrektur:
1/1 EV
Belichtungsmessung:
Muster
Rheinwiesen Neuenkamp-0175.jpg
Rheinwiesen Neuenkamp-0175.jpg (65.59 KiB) 5035 mal betrachtet
Originalwert Bild aufgenommen am/um:
2020:04:18 18:26:39
Bild aufgenommen am/um:
Sa 18. Apr 2020, 16:26
Brennweite:
50 mm
Belichtungszeit:
1/250 Sek
Blendenwert:
f/0
ISO:
100
Weißabgleich:
Manuell
Blitz:
Blitz nicht ausgelöst, Erzwungener Blitzmodus
Kamera-Hersteller:
Canon
Kamera-Modell:
Canon EOS 600D
Belichtungsmodus:
Blendenvorwahl
Belichtungskorrektur:
1/1 EV
Belichtungsmessung:
Muster
9. Melampsora euonymus-caprearum ex Euonymus europaeus
Rheinwiesen Neuenkamp-0103.jpg
Rheinwiesen Neuenkamp-0103.jpg (117.03 KiB) 5035 mal betrachtet
Originalwert Bild aufgenommen am/um:
2020:04:18 12:06:31
Bild aufgenommen am/um:
Sa 18. Apr 2020, 10:06
Brennweite:
60 mm
Belichtungszeit:
1/100 Sek
Blendenwert:
f/8
ISO:
800
Weißabgleich:
Manuell
Blitz:
Blitz nicht ausgelöst, Erzwungener Blitzmodus
Kamera-Hersteller:
Canon
Kamera-Modell:
Canon EOS 600D
Belichtungsmodus:
Blendenvorwahl
Belichtungskorrektur:
-1/3 EV
Belichtungsmessung:
Muster
Koordinaten:
N 51 25.959695 0/ E 6 43.189064 0
Rheinwiesen Neuenkamp-0104.jpg
Rheinwiesen Neuenkamp-0104.jpg (126.67 KiB) 5035 mal betrachtet
Originalwert Bild aufgenommen am/um:
2020:04:18 12:08:26
Bild aufgenommen am/um:
Sa 18. Apr 2020, 10:08
Brennweite:
60 mm
Belichtungszeit:
1/80 Sek
Blendenwert:
f/8
ISO:
800
Weißabgleich:
Manuell
Blitz:
Blitz nicht ausgelöst, Erzwungener Blitzmodus
Kamera-Hersteller:
Canon
Kamera-Modell:
Canon EOS 600D
Belichtungsmodus:
Blendenvorwahl
Belichtungskorrektur:
-1/3 EV
Belichtungsmessung:
Muster
Koordinaten:
N 51 25.959695 0/ E 6 43.189064 0
Rheinwiesen Neuenkamp-0106.jpg
Rheinwiesen Neuenkamp-0106.jpg (116.81 KiB) 5035 mal betrachtet
Originalwert Bild aufgenommen am/um:
2020:04:18 12:08:32
Bild aufgenommen am/um:
Sa 18. Apr 2020, 10:08
Brennweite:
60 mm
Belichtungszeit:
1/80 Sek
Blendenwert:
f/8
ISO:
1000
Weißabgleich:
Manuell
Blitz:
Blitz nicht ausgelöst, Erzwungener Blitzmodus
Kamera-Hersteller:
Canon
Kamera-Modell:
Canon EOS 600D
Belichtungsmodus:
Blendenvorwahl
Belichtungskorrektur:
-1/3 EV
Belichtungsmessung:
Muster
Koordinaten:
N 51 25.959695 0/ E 6 43.189064 0
Rheinwiesen Neuenkamp-0157.jpg
Rheinwiesen Neuenkamp-0157.jpg (128.42 KiB) 5035 mal betrachtet
Originalwert Bild aufgenommen am/um:
2020:04:18 17:17:40
Bild aufgenommen am/um:
Sa 18. Apr 2020, 15:17
Brennweite:
50 mm
Belichtungszeit:
1/640 Sek
Blendenwert:
f/0
ISO:
100
Weißabgleich:
Manuell
Blitz:
Blitz nicht ausgelöst, Erzwungener Blitzmodus
Kamera-Hersteller:
Canon
Kamera-Modell:
Canon EOS 600D
Belichtungsmodus:
Blendenvorwahl
Belichtungskorrektur:
1/1 EV
Belichtungsmessung:
Muster
Rheinwiesen Neuenkamp-0158.jpg
Rheinwiesen Neuenkamp-0158.jpg (119.06 KiB) 5035 mal betrachtet
Originalwert Bild aufgenommen am/um:
2020:04:18 17:17:47
Bild aufgenommen am/um:
Sa 18. Apr 2020, 15:17
Brennweite:
50 mm
Belichtungszeit:
1/640 Sek
Blendenwert:
f/0
ISO:
100
Weißabgleich:
Manuell
Blitz:
Blitz nicht ausgelöst, Erzwungener Blitzmodus
Kamera-Hersteller:
Canon
Kamera-Modell:
Canon EOS 600D
Belichtungsmodus:
Blendenvorwahl
Belichtungskorrektur:
1/1 EV
Belichtungsmessung:
Muster
Rheinwiesen Neuenkamp-0159.jpg
Rheinwiesen Neuenkamp-0159.jpg (128 KiB) 5035 mal betrachtet
Originalwert Bild aufgenommen am/um:
2020:04:18 17:18:07
Bild aufgenommen am/um:
Sa 18. Apr 2020, 15:18
Brennweite:
50 mm
Belichtungszeit:
1/800 Sek
Blendenwert:
f/0
ISO:
100
Weißabgleich:
Manuell
Blitz:
Blitz nicht ausgelöst, Erzwungener Blitzmodus
Kamera-Hersteller:
Canon
Kamera-Modell:
Canon EOS 600D
Belichtungsmodus:
Blendenvorwahl
Belichtungskorrektur:
1/1 EV
Belichtungsmessung:
Muster
Rheinwiesen Neuenkamp-0160.jpg
Rheinwiesen Neuenkamp-0160.jpg (112.75 KiB) 5035 mal betrachtet
Originalwert Bild aufgenommen am/um:
2020:04:18 17:18:13
Bild aufgenommen am/um:
Sa 18. Apr 2020, 15:18
Brennweite:
50 mm
Belichtungszeit:
1/800 Sek
Blendenwert:
f/0
ISO:
100
Weißabgleich:
Manuell
Blitz:
Blitz nicht ausgelöst, Erzwungener Blitzmodus
Kamera-Hersteller:
Canon
Kamera-Modell:
Canon EOS 600D
Belichtungsmodus:
Blendenvorwahl
Belichtungskorrektur:
1/1 EV
Belichtungsmessung:
Muster
Rheinwiesen Neuenkamp-0161.jpg
Rheinwiesen Neuenkamp-0161.jpg (105.51 KiB) 5035 mal betrachtet
Originalwert Bild aufgenommen am/um:
2020:04:18 17:19:00
Bild aufgenommen am/um:
Sa 18. Apr 2020, 15:19
Brennweite:
50 mm
Belichtungszeit:
1/250 Sek
Blendenwert:
f/0
ISO:
100
Weißabgleich:
Manuell
Blitz:
Blitz nicht ausgelöst, Erzwungener Blitzmodus
Kamera-Hersteller:
Canon
Kamera-Modell:
Canon EOS 600D
Belichtungsmodus:
Blendenvorwahl
Belichtungskorrektur:
1/1 EV
Belichtungsmessung:
Muster
Rheinwiesen Neuenkamp-0162.jpg
Rheinwiesen Neuenkamp-0162.jpg (98.46 KiB) 5035 mal betrachtet
Originalwert Bild aufgenommen am/um:
2020:04:18 17:19:13
Bild aufgenommen am/um:
Sa 18. Apr 2020, 15:19
Brennweite:
50 mm
Belichtungszeit:
1/250 Sek
Blendenwert:
f/0
ISO:
100
Weißabgleich:
Manuell
Blitz:
Blitz nicht ausgelöst, Erzwungener Blitzmodus
Kamera-Hersteller:
Canon
Kamera-Modell:
Canon EOS 600D
Belichtungsmodus:
Blendenvorwahl
Belichtungskorrektur:
1/1 EV
Belichtungsmessung:
Muster
Rheinwiesen Neuenkamp-0163.jpg
Rheinwiesen Neuenkamp-0163.jpg (120.38 KiB) 5035 mal betrachtet
Originalwert Bild aufgenommen am/um:
2020:04:18 17:19:31
Bild aufgenommen am/um:
Sa 18. Apr 2020, 15:19
Brennweite:
50 mm
Belichtungszeit:
1/250 Sek
Blendenwert:
f/0
ISO:
100
Weißabgleich:
Manuell
Blitz:
Blitz nicht ausgelöst, Erzwungener Blitzmodus
Kamera-Hersteller:
Canon
Kamera-Modell:
Canon EOS 600D
Belichtungsmodus:
Blendenvorwahl
Belichtungskorrektur:
1/1 EV
Belichtungsmessung:
Muster
Teil 3 folgt sofort...
bjoerns
alter Hase
Beiträge: 532
Registriert: Mo 3. Sep 2018, 21:21
Kamera: Canon EOS 600D
Canon EF-S 60mm f/2.8 Macro USM
Motic Panthera C
Kontaktdaten:

Re: Rheinwiesen Duisburg 18.04.2020

Ungelesener Beitrag von bjoerns »

Rheinwiesen Neuenkamp-0164.jpg
Rheinwiesen Neuenkamp-0164.jpg (102.37 KiB) 5035 mal betrachtet
Originalwert Bild aufgenommen am/um:
2020:04:18 17:19:37
Bild aufgenommen am/um:
Sa 18. Apr 2020, 15:19
Brennweite:
50 mm
Belichtungszeit:
1/250 Sek
Blendenwert:
f/0
ISO:
100
Weißabgleich:
Manuell
Blitz:
Blitz nicht ausgelöst, Erzwungener Blitzmodus
Kamera-Hersteller:
Canon
Kamera-Modell:
Canon EOS 600D
Belichtungsmodus:
Blendenvorwahl
Belichtungskorrektur:
1/1 EV
Belichtungsmessung:
Muster
10. Hier war ich zunächst unschlüssig, um welchen Wirt es sich handelt. Einkeimblättriges Blümchen war klar, aber so ohne Blüten... Karl hat dann bei FB Ornithogalum umbonatum ins Spiel gebracht und das scheint gut zu passen. Puccinia liliacearum verhindert wohl bei starkem Befall die Blütenbildung.
Rheinwiesen Neuenkamp-0114.jpg
Rheinwiesen Neuenkamp-0114.jpg (303.39 KiB) 5035 mal betrachtet
Originalwert Bild aufgenommen am/um:
2020:04:18 12:25:08
Bild aufgenommen am/um:
Sa 18. Apr 2020, 10:25
Brennweite:
60 mm
Belichtungszeit:
1/80 Sek
Blendenwert:
f/8
ISO:
200
Weißabgleich:
Manuell
Blitz:
Blitz nicht ausgelöst, Erzwungener Blitzmodus
Kamera-Hersteller:
Canon
Kamera-Modell:
Canon EOS 600D
Belichtungsmodus:
Blendenvorwahl
Belichtungskorrektur:
-1/3 EV
Belichtungsmessung:
Muster
Koordinaten:
N 51 25.809195 0/ E 6 43.981496 0
Rheinwiesen Neuenkamp-0116.jpg
Rheinwiesen Neuenkamp-0116.jpg (260.74 KiB) 5035 mal betrachtet
Originalwert Bild aufgenommen am/um:
2020:04:18 12:25:17
Bild aufgenommen am/um:
Sa 18. Apr 2020, 10:25
Brennweite:
60 mm
Belichtungszeit:
1/80 Sek
Blendenwert:
f/8
ISO:
200
Weißabgleich:
Manuell
Blitz:
Blitz nicht ausgelöst, Erzwungener Blitzmodus
Kamera-Hersteller:
Canon
Kamera-Modell:
Canon EOS 600D
Belichtungsmodus:
Blendenvorwahl
Belichtungskorrektur:
-1/3 EV
Belichtungsmessung:
Muster
Koordinaten:
N 51 25.809195 0/ E 6 43.981496 0
Rheinwiesen Neuenkamp-0117.jpg
Rheinwiesen Neuenkamp-0117.jpg (150.57 KiB) 5035 mal betrachtet
Originalwert Bild aufgenommen am/um:
2020:04:18 12:28:19
Bild aufgenommen am/um:
Sa 18. Apr 2020, 10:28
Brennweite:
60 mm
Belichtungszeit:
1/80 Sek
Blendenwert:
f/8
ISO:
200
Weißabgleich:
Manuell
Blitz:
Blitz nicht ausgelöst, Erzwungener Blitzmodus
Kamera-Hersteller:
Canon
Kamera-Modell:
Canon EOS 600D
Belichtungsmodus:
Blendenvorwahl
Belichtungskorrektur:
-1/3 EV
Belichtungsmessung:
Muster
Koordinaten:
N 51 25.809195 0/ E 6 43.981496 0
Rheinwiesen Neuenkamp-0118.jpg
Rheinwiesen Neuenkamp-0118.jpg (114.06 KiB) 5035 mal betrachtet
Originalwert Bild aufgenommen am/um:
2020:04:18 12:28:42
Bild aufgenommen am/um:
Sa 18. Apr 2020, 10:28
Brennweite:
60 mm
Belichtungszeit:
1/100 Sek
Blendenwert:
f/8
ISO:
250
Weißabgleich:
Manuell
Blitz:
Blitz nicht ausgelöst, Erzwungener Blitzmodus
Kamera-Hersteller:
Canon
Kamera-Modell:
Canon EOS 600D
Belichtungsmodus:
Blendenvorwahl
Belichtungskorrektur:
-1/3 EV
Belichtungsmessung:
Muster
Koordinaten:
N 51 25.809195 0/ E 6 43.981496 0
Rheinwiesen Neuenkamp-0119.jpg
Rheinwiesen Neuenkamp-0119.jpg (110.16 KiB) 5035 mal betrachtet
Originalwert Bild aufgenommen am/um:
2020:04:18 12:29:00
Bild aufgenommen am/um:
Sa 18. Apr 2020, 10:29
Brennweite:
60 mm
Belichtungszeit:
1/80 Sek
Blendenwert:
f/8
ISO:
250
Weißabgleich:
Manuell
Blitz:
Blitz nicht ausgelöst, Erzwungener Blitzmodus
Kamera-Hersteller:
Canon
Kamera-Modell:
Canon EOS 600D
Belichtungsmodus:
Blendenvorwahl
Belichtungskorrektur:
-1/3 EV
Belichtungsmessung:
Muster
Koordinaten:
N 51 25.809195 0/ E 6 43.981496 0
Rheinwiesen Neuenkamp-0165.jpg
Rheinwiesen Neuenkamp-0165.jpg (95.94 KiB) 5035 mal betrachtet
Originalwert Bild aufgenommen am/um:
2020:04:18 17:57:10
Bild aufgenommen am/um:
Sa 18. Apr 2020, 15:57
Brennweite:
50 mm
Belichtungszeit:
1/800 Sek
Blendenwert:
f/0
ISO:
100
Weißabgleich:
Manuell
Blitz:
Blitz nicht ausgelöst, Erzwungener Blitzmodus
Kamera-Hersteller:
Canon
Kamera-Modell:
Canon EOS 600D
Belichtungsmodus:
Blendenvorwahl
Belichtungskorrektur:
1/1 EV
Belichtungsmessung:
Muster
Rheinwiesen Neuenkamp-0166.jpg
Rheinwiesen Neuenkamp-0166.jpg (143.51 KiB) 5035 mal betrachtet
Originalwert Bild aufgenommen am/um:
2020:04:18 17:57:36
Bild aufgenommen am/um:
Sa 18. Apr 2020, 15:57
Brennweite:
50 mm
Belichtungszeit:
1/800 Sek
Blendenwert:
f/0
ISO:
100
Weißabgleich:
Manuell
Blitz:
Blitz nicht ausgelöst, Erzwungener Blitzmodus
Kamera-Hersteller:
Canon
Kamera-Modell:
Canon EOS 600D
Belichtungsmodus:
Blendenvorwahl
Belichtungskorrektur:
1/1 EV
Belichtungsmessung:
Muster
Rheinwiesen Neuenkamp-0167.jpg
Rheinwiesen Neuenkamp-0167.jpg (120.83 KiB) 5035 mal betrachtet
Originalwert Bild aufgenommen am/um:
2020:04:18 17:59:14
Bild aufgenommen am/um:
Sa 18. Apr 2020, 15:59
Brennweite:
50 mm
Belichtungszeit:
1/250 Sek
Blendenwert:
f/0
ISO:
100
Weißabgleich:
Manuell
Blitz:
Blitz nicht ausgelöst, Erzwungener Blitzmodus
Kamera-Hersteller:
Canon
Kamera-Modell:
Canon EOS 600D
Belichtungsmodus:
Blendenvorwahl
Belichtungskorrektur:
1/1 EV
Belichtungsmessung:
Muster
Rheinwiesen Neuenkamp-0168.jpg
Rheinwiesen Neuenkamp-0168.jpg (70.57 KiB) 5035 mal betrachtet
Originalwert Bild aufgenommen am/um:
2020:04:18 17:59:37
Bild aufgenommen am/um:
Sa 18. Apr 2020, 15:59
Brennweite:
50 mm
Belichtungszeit:
1/200 Sek
Blendenwert:
f/0
ISO:
100
Weißabgleich:
Manuell
Blitz:
Blitz nicht ausgelöst, Erzwungener Blitzmodus
Kamera-Hersteller:
Canon
Kamera-Modell:
Canon EOS 600D
Belichtungsmodus:
Blendenvorwahl
Belichtungskorrektur:
1/1 EV
Belichtungsmessung:
Muster
Rheinwiesen Neuenkamp-0169.jpg
Rheinwiesen Neuenkamp-0169.jpg (117.76 KiB) 5035 mal betrachtet
Originalwert Bild aufgenommen am/um:
2020:04:18 18:01:17
Bild aufgenommen am/um:
Sa 18. Apr 2020, 16:01
Brennweite:
50 mm
Belichtungszeit:
1/250 Sek
Blendenwert:
f/0
ISO:
100
Weißabgleich:
Manuell
Blitz:
Blitz nicht ausgelöst, Erzwungener Blitzmodus
Kamera-Hersteller:
Canon
Kamera-Modell:
Canon EOS 600D
Belichtungsmodus:
Blendenvorwahl
Belichtungskorrektur:
1/1 EV
Belichtungsmessung:
Muster
Rheinwiesen Neuenkamp-0170.jpg
Rheinwiesen Neuenkamp-0170.jpg (92.27 KiB) 5035 mal betrachtet
Originalwert Bild aufgenommen am/um:
2020:04:18 18:01:50
Bild aufgenommen am/um:
Sa 18. Apr 2020, 16:01
Brennweite:
50 mm
Belichtungszeit:
1/200 Sek
Blendenwert:
f/0
ISO:
100
Weißabgleich:
Manuell
Blitz:
Blitz nicht ausgelöst, Erzwungener Blitzmodus
Kamera-Hersteller:
Canon
Kamera-Modell:
Canon EOS 600D
Belichtungsmodus:
Blendenvorwahl
Belichtungskorrektur:
1/1 EV
Belichtungsmessung:
Muster
11. Und dann war da noch dieser Rost an Valerianella sp. Ich hatte ja eigentlich nach falschem Mehltau Ausschau gehalten (den hatte Jule letzten Mai auf dem Phytokurs gezeigt), aber keinen gefunden. Dafür dann Rost. Leider ist der wohl nur bei Kenntnis des Wechselwirts bestimmbar. Gladiolen und Schilf wuchsen beide nicht in unmittelbarer Nähe. Cynodon kann ich im Moment weder bestätigen noch ausschließen.
Rheinwiesen Neuenkamp-0012.jpg
Rheinwiesen Neuenkamp-0012.jpg (197.32 KiB) 5035 mal betrachtet
Originalwert Bild aufgenommen am/um:
2020:04:18 09:17:57
Bild aufgenommen am/um:
Sa 18. Apr 2020, 07:17
Brennweite:
60 mm
Belichtungszeit:
1/80 Sek
Blendenwert:
f/8
ISO:
200
Weißabgleich:
Manuell
Blitz:
Blitz nicht ausgelöst, Erzwungener Blitzmodus
Kamera-Hersteller:
Canon
Kamera-Modell:
Canon EOS 600D
Belichtungsmodus:
Blendenvorwahl
Belichtungskorrektur:
-1/3 EV
Belichtungsmessung:
Muster
Koordinaten:
N 51 25.905367 0/ E 6 44.252496 0
Rheinwiesen Neuenkamp-0013.jpg
Rheinwiesen Neuenkamp-0013.jpg (112.5 KiB) 5035 mal betrachtet
Originalwert Bild aufgenommen am/um:
2020:04:18 09:18:19
Bild aufgenommen am/um:
Sa 18. Apr 2020, 07:18
Brennweite:
60 mm
Belichtungszeit:
1/80 Sek
Blendenwert:
f/8
ISO:
160
Weißabgleich:
Manuell
Blitz:
Blitz nicht ausgelöst, Erzwungener Blitzmodus
Kamera-Hersteller:
Canon
Kamera-Modell:
Canon EOS 600D
Belichtungsmodus:
Blendenvorwahl
Belichtungskorrektur:
-1/3 EV
Belichtungsmessung:
Muster
Koordinaten:
N 51 25.905367 0/ E 6 44.252496 0
Rheinwiesen Neuenkamp-0015.jpg
Rheinwiesen Neuenkamp-0015.jpg (109.45 KiB) 5035 mal betrachtet
Originalwert Bild aufgenommen am/um:
2020:04:18 09:19:11
Bild aufgenommen am/um:
Sa 18. Apr 2020, 07:19
Brennweite:
60 mm
Belichtungszeit:
1/80 Sek
Blendenwert:
f/8
ISO:
320
Weißabgleich:
Manuell
Blitz:
Blitz nicht ausgelöst, Erzwungener Blitzmodus
Kamera-Hersteller:
Canon
Kamera-Modell:
Canon EOS 600D
Belichtungsmodus:
Blendenvorwahl
Belichtungskorrektur:
-1/3 EV
Belichtungsmessung:
Muster
Koordinaten:
N 51 25.905367 0/ E 6 44.252496 0
Rheinwiesen Neuenkamp-0034.jpg
Rheinwiesen Neuenkamp-0034.jpg (105.92 KiB) 5035 mal betrachtet
Originalwert Bild aufgenommen am/um:
2020:04:18 09:44:09
Bild aufgenommen am/um:
Sa 18. Apr 2020, 07:44
Brennweite:
60 mm
Belichtungszeit:
1/80 Sek
Blendenwert:
f/8
ISO:
250
Weißabgleich:
Manuell
Blitz:
Blitz nicht ausgelöst, Erzwungener Blitzmodus
Kamera-Hersteller:
Canon
Kamera-Modell:
Canon EOS 600D
Belichtungsmodus:
Blendenvorwahl
Belichtungskorrektur:
-1/3 EV
Belichtungsmessung:
Muster
Koordinaten:
N 51 25.776025 0/ E 6 43.796091 0
Rheinwiesen Neuenkamp-0185.jpg
Rheinwiesen Neuenkamp-0185.jpg (153.37 KiB) 5035 mal betrachtet
Originalwert Bild aufgenommen am/um:
2020:04:18 18:59:29
Bild aufgenommen am/um:
Sa 18. Apr 2020, 16:59
Brennweite:
50 mm
Belichtungszeit:
1/800 Sek
Blendenwert:
f/0
ISO:
100
Weißabgleich:
Manuell
Blitz:
Blitz nicht ausgelöst, Erzwungener Blitzmodus
Kamera-Hersteller:
Canon
Kamera-Modell:
Canon EOS 600D
Belichtungsmodus:
Blendenvorwahl
Belichtungskorrektur:
1/1 EV
Belichtungsmessung:
Muster
Rheinwiesen Neuenkamp-0186.jpg
Rheinwiesen Neuenkamp-0186.jpg (180.33 KiB) 5035 mal betrachtet
Originalwert Bild aufgenommen am/um:
2020:04:18 18:59:36
Bild aufgenommen am/um:
Sa 18. Apr 2020, 16:59
Brennweite:
50 mm
Belichtungszeit:
1/640 Sek
Blendenwert:
f/0
ISO:
100
Weißabgleich:
Manuell
Blitz:
Blitz nicht ausgelöst, Erzwungener Blitzmodus
Kamera-Hersteller:
Canon
Kamera-Modell:
Canon EOS 600D
Belichtungsmodus:
Blendenvorwahl
Belichtungskorrektur:
1/1 EV
Belichtungsmessung:
Muster
Rheinwiesen Neuenkamp-0187.jpg
Rheinwiesen Neuenkamp-0187.jpg (193.81 KiB) 5035 mal betrachtet
Originalwert Bild aufgenommen am/um:
2020:04:18 19:02:19
Bild aufgenommen am/um:
Sa 18. Apr 2020, 17:02
Brennweite:
50 mm
Belichtungszeit:
1/800 Sek
Blendenwert:
f/0
ISO:
100
Weißabgleich:
Manuell
Blitz:
Blitz nicht ausgelöst, Erzwungener Blitzmodus
Kamera-Hersteller:
Canon
Kamera-Modell:
Canon EOS 600D
Belichtungsmodus:
Blendenvorwahl
Belichtungskorrektur:
1/1 EV
Belichtungsmessung:
Muster
Rheinwiesen Neuenkamp-0188.jpg
Rheinwiesen Neuenkamp-0188.jpg (155.2 KiB) 5035 mal betrachtet
Originalwert Bild aufgenommen am/um:
2020:04:18 19:02:27
Bild aufgenommen am/um:
Sa 18. Apr 2020, 17:02
Brennweite:
50 mm
Belichtungszeit:
1/800 Sek
Blendenwert:
f/0
ISO:
100
Weißabgleich:
Manuell
Blitz:
Blitz nicht ausgelöst, Erzwungener Blitzmodus
Kamera-Hersteller:
Canon
Kamera-Modell:
Canon EOS 600D
Belichtungsmodus:
Blendenvorwahl
Belichtungskorrektur:
1/1 EV
Belichtungsmessung:
Muster
Rheinwiesen Neuenkamp-0189.jpg
Rheinwiesen Neuenkamp-0189.jpg (237.6 KiB) 5035 mal betrachtet
Originalwert Bild aufgenommen am/um:
2020:04:18 19:03:16
Bild aufgenommen am/um:
Sa 18. Apr 2020, 17:03
Brennweite:
50 mm
Belichtungszeit:
1/250 Sek
Blendenwert:
f/0
ISO:
100
Weißabgleich:
Manuell
Blitz:
Blitz nicht ausgelöst, Erzwungener Blitzmodus
Kamera-Hersteller:
Canon
Kamera-Modell:
Canon EOS 600D
Belichtungsmodus:
Blendenvorwahl
Belichtungskorrektur:
1/1 EV
Belichtungsmessung:
Muster
Rheinwiesen Neuenkamp-0190.jpg
Rheinwiesen Neuenkamp-0190.jpg (193.72 KiB) 5035 mal betrachtet
Originalwert Bild aufgenommen am/um:
2020:04:18 19:03:25
Bild aufgenommen am/um:
Sa 18. Apr 2020, 17:03
Brennweite:
50 mm
Belichtungszeit:
1/250 Sek
Blendenwert:
f/0
ISO:
100
Weißabgleich:
Manuell
Blitz:
Blitz nicht ausgelöst, Erzwungener Blitzmodus
Kamera-Hersteller:
Canon
Kamera-Modell:
Canon EOS 600D
Belichtungsmodus:
Blendenvorwahl
Belichtungskorrektur:
1/1 EV
Belichtungsmessung:
Muster
Rheinwiesen Neuenkamp-0191.jpg
Rheinwiesen Neuenkamp-0191.jpg (70.9 KiB) 5035 mal betrachtet
Originalwert Bild aufgenommen am/um:
2020:04:18 19:03:45
Bild aufgenommen am/um:
Sa 18. Apr 2020, 17:03
Brennweite:
50 mm
Belichtungszeit:
1/320 Sek
Blendenwert:
f/0
ISO:
100
Weißabgleich:
Manuell
Blitz:
Blitz nicht ausgelöst, Erzwungener Blitzmodus
Kamera-Hersteller:
Canon
Kamera-Modell:
Canon EOS 600D
Belichtungsmodus:
Blendenvorwahl
Belichtungskorrektur:
1/1 EV
Belichtungsmessung:
Muster
Rheinwiesen Neuenkamp-0192.jpg
Rheinwiesen Neuenkamp-0192.jpg (61.88 KiB) 5035 mal betrachtet
Originalwert Bild aufgenommen am/um:
2020:04:18 19:03:52
Bild aufgenommen am/um:
Sa 18. Apr 2020, 17:03
Brennweite:
50 mm
Belichtungszeit:
1/320 Sek
Blendenwert:
f/0
ISO:
100
Weißabgleich:
Manuell
Blitz:
Blitz nicht ausgelöst, Erzwungener Blitzmodus
Kamera-Hersteller:
Canon
Kamera-Modell:
Canon EOS 600D
Belichtungsmodus:
Blendenvorwahl
Belichtungskorrektur:
1/1 EV
Belichtungsmessung:
Muster
Rheinwiesen Neuenkamp-0193.jpg
Rheinwiesen Neuenkamp-0193.jpg (66.07 KiB) 5035 mal betrachtet
Originalwert Bild aufgenommen am/um:
2020:04:18 19:04:39
Bild aufgenommen am/um:
Sa 18. Apr 2020, 17:04
Brennweite:
50 mm
Belichtungszeit:
1/250 Sek
Blendenwert:
f/0
ISO:
100
Weißabgleich:
Manuell
Blitz:
Blitz nicht ausgelöst, Erzwungener Blitzmodus
Kamera-Hersteller:
Canon
Kamera-Modell:
Canon EOS 600D
Belichtungsmodus:
Blendenvorwahl
Belichtungskorrektur:
1/1 EV
Belichtungsmessung:
Muster
Rheinwiesen Neuenkamp-0194.jpg
Rheinwiesen Neuenkamp-0194.jpg (61.33 KiB) 5035 mal betrachtet
Originalwert Bild aufgenommen am/um:
2020:04:18 19:04:45
Bild aufgenommen am/um:
Sa 18. Apr 2020, 17:04
Brennweite:
50 mm
Belichtungszeit:
1/250 Sek
Blendenwert:
f/0
ISO:
100
Weißabgleich:
Manuell
Blitz:
Blitz nicht ausgelöst, Erzwungener Blitzmodus
Kamera-Hersteller:
Canon
Kamera-Modell:
Canon EOS 600D
Belichtungsmodus:
Blendenvorwahl
Belichtungskorrektur:
1/1 EV
Belichtungsmessung:
Muster
Björn
Benutzeravatar
Dedimyk
Forums Gott
Beiträge: 2943
Registriert: Sa 26. Nov 2005, 13:47
Wohnort: Gifhorn - Südostniedersachsen

Re: Rheinwiesen Duisburg 18.04.2020

Ungelesener Beitrag von Dedimyk »

Hallo Björn,
wieder wunderbare Phytoparasiten, die Du uns hier vostellst, :freu einiges davon habe ich bisher noch nie gefunden.
Besonders haben es mir die nachfolgenden Positionen angetan, zu denen ich eine gesonderte Stellungnahme abgebe:

Position 2 Rostpilz Melampsorum populnea auf Mercurialis annua dem Bingelkraut als I -Aezienlager
Melampsora populnea gibt es nach meinem Wissenstand nur auf Mercuralis perennis
auf Mercuralis annua, I - Azien meist am deformierten Stengel, ohne Pseudoperidie ( Caeoma ), polsterförmig, orangefarben
heißt Melampsora pulcherrima und der Wirtswechselpartner ist die Pappel Populus alba

Position 4 Brandpilz Melanotaenium endogenum auf Galium mollugo agg. dem Labkraut
Sehr schön kann man die schwarzen Anschwellungen am Stiel, zum Teil noch von der Epidermis bedeckt, erkennen.
Diesen Brandpilz ( sind ja bekannterweise meine besonderen Lieblinge ) habe ich bisher noch nie gesehen :tup:

Position 9 Rostpilz Melampsora euonymus-caprearum auf Euonymus europaes Pfaffenhütchen
Die wunderschönen I-Aezienlager habe ich auch noch nie gefunden. Bisher der einzige Phytoparsit auf dem Pfaffenhütchen war leider nur
Echter Mehltau, deswegen freut es mich diesen auf diverse Salox wechselnden Rostpilz endlich mal im Aezienstadium zu sehen. :freu

Vielen Dank für die gelungene Präsentation :wo:

Detlef
Detlef, der Freund der Phytoparasiten
bjoerns
alter Hase
Beiträge: 532
Registriert: Mo 3. Sep 2018, 21:21
Kamera: Canon EOS 600D
Canon EF-S 60mm f/2.8 Macro USM
Motic Panthera C
Kontaktdaten:

Re: Rheinwiesen Duisburg 18.04.2020

Ungelesener Beitrag von bjoerns »

Hallo Detlef,

du hast natürlich vollkommen recht, was den Rost am Bingelkraut angeht. Da war ich mit meinen Gedanken beim Beschriften wohl woanders und werde das oben gleich mal korrigieren.
Den Rost an Euonymus habe ich hier in der Gegend auch nicht überall. Aber immer wenn ich direkt am Rhein unterwegs bin und dort Pfaffenhütchen finde, ist der Rost auch nicht weit. Das liegt sicher auch daran, daß so in Flußnähe immer Salix als passender Wechselwirt in Reichweite ist.

Björn
Benutzeravatar
Julia
Forums Gott
Beiträge: 2342
Registriert: Mo 7. Aug 2006, 19:23
Kamera: Olympus FE 120 +Panasonic LX 7
Wohnort: Barkelsby, Frankfurt a. Main
Kontaktdaten:

Re: Rheinwiesen Duisburg 18.04.2020

Ungelesener Beitrag von Julia »

Lieber Björn,

so viele Funde, vielen lieben Dank fürs zeigen. Natürlich soweit alles richtig, das dachtest Du Dir ja sicher schon.

Dein Hornkraut ist Cerastium glomeratum.

Dein Hahnenfuß ist Ranunculus acris mit Peronospora hiemalis.

Der Rostpilze auf Valerienalla, den habe ich letzte Woche hier übrigens auch gefunden, halte ich für Puccinia cynodontis. Sehr schön. Beleg angefragt, alles weitere privat ;)

Liebe Grüße,
Julia
bjoerns
alter Hase
Beiträge: 532
Registriert: Mo 3. Sep 2018, 21:21
Kamera: Canon EOS 600D
Canon EF-S 60mm f/2.8 Macro USM
Motic Panthera C
Kontaktdaten:

Re: Rheinwiesen Duisburg 18.04.2020

Ungelesener Beitrag von bjoerns »

Hi Jule,

danke fürs Hornkraut Bestimmen!
Soweit alles richtig
Bis auf den, der falsch war :D

Björn
Antworten