Phytoparasiten 29.4-3.5.2020

Spezialforum zum Thema phytoparasitische Kleinpilze ( Rost, Brand, Mehltaupilze etc. ) und tierische Gallen an Wild.- und Nutzpflanzen. Forumsstart - 15.07.2006
bjoerns
alter Hase
Beiträge: 532
Registriert: Mo 3. Sep 2018, 21:21
Kamera: Canon EOS 600D
Canon EF-S 60mm f/2.8 Macro USM
Motic Panthera C
Kontaktdaten:

Phytoparasiten 29.4-3.5.2020

Ungelesener Beitrag von bjoerns »

Hallo zusammen,

um das lange Wochenende herum habe ich hier und da verschiedentlich Phytoparasiten gefunden, die ich hier gemeinsam vorstellen möchte. Den Anfang macht eine kleine Runde im Duisburger Stadtwald vom 29.04.2020.
1. Puccinia aegopodii ex Aegopodium podagraria
2020_04_29-0001.jpg
2020_04_29-0001.jpg (223.45 KiB) 4314 mal betrachtet
Originalwert Bild aufgenommen am/um:
2020:04:29 20:48:14
Bild aufgenommen am/um:
Mi 29. Apr 2020, 18:48
Brennweite:
50 mm
Belichtungszeit:
1/500 Sek
Blendenwert:
f/0
ISO:
100
Weißabgleich:
Manuell
Blitz:
Blitz nicht ausgelöst, Erzwungener Blitzmodus
Kamera-Hersteller:
Canon
Kamera-Modell:
Canon EOS 600D
Belichtungsmodus:
Blendenvorwahl
Belichtungskorrektur:
1/1 EV
Belichtungsmessung:
Muster
2020_04_29-0002.jpg
2020_04_29-0002.jpg (164.24 KiB) 4314 mal betrachtet
Originalwert Bild aufgenommen am/um:
2020:04:29 20:48:26
Bild aufgenommen am/um:
Mi 29. Apr 2020, 18:48
Brennweite:
50 mm
Belichtungszeit:
1/400 Sek
Blendenwert:
f/0
ISO:
100
Weißabgleich:
Manuell
Blitz:
Blitz nicht ausgelöst, Erzwungener Blitzmodus
Kamera-Hersteller:
Canon
Kamera-Modell:
Canon EOS 600D
Belichtungsmodus:
Blendenvorwahl
Belichtungskorrektur:
1/1 EV
Belichtungsmessung:
Muster
2020_04_29-0003.jpg
2020_04_29-0003.jpg (180.97 KiB) 4314 mal betrachtet
Originalwert Bild aufgenommen am/um:
2020:04:29 20:49:10
Bild aufgenommen am/um:
Mi 29. Apr 2020, 18:49
Brennweite:
50 mm
Belichtungszeit:
1/500 Sek
Blendenwert:
f/0
ISO:
100
Weißabgleich:
Manuell
Blitz:
Blitz nicht ausgelöst, Erzwungener Blitzmodus
Kamera-Hersteller:
Canon
Kamera-Modell:
Canon EOS 600D
Belichtungsmodus:
Blendenvorwahl
Belichtungskorrektur:
1/1 EV
Belichtungsmessung:
Muster
2020_04_29-0004.jpg
2020_04_29-0004.jpg (181.49 KiB) 4314 mal betrachtet
Originalwert Bild aufgenommen am/um:
2020:04:29 20:49:29
Bild aufgenommen am/um:
Mi 29. Apr 2020, 18:49
Brennweite:
50 mm
Belichtungszeit:
1/400 Sek
Blendenwert:
f/0
ISO:
100
Weißabgleich:
Manuell
Blitz:
Blitz nicht ausgelöst, Erzwungener Blitzmodus
Kamera-Hersteller:
Canon
Kamera-Modell:
Canon EOS 600D
Belichtungsmodus:
Blendenvorwahl
Belichtungskorrektur:
1/1 EV
Belichtungsmessung:
Muster
2020_04_29-0005.jpg
2020_04_29-0005.jpg (181.95 KiB) 4314 mal betrachtet
Originalwert Bild aufgenommen am/um:
2020:04:29 20:49:53
Bild aufgenommen am/um:
Mi 29. Apr 2020, 18:49
Brennweite:
50 mm
Belichtungszeit:
1/500 Sek
Blendenwert:
f/0
ISO:
100
Weißabgleich:
Manuell
Blitz:
Blitz nicht ausgelöst, Erzwungener Blitzmodus
Kamera-Hersteller:
Canon
Kamera-Modell:
Canon EOS 600D
Belichtungsmodus:
Blendenvorwahl
Belichtungskorrektur:
1/1 EV
Belichtungsmessung:
Muster
2020_04_29-0006.jpg
2020_04_29-0006.jpg (175.84 KiB) 4314 mal betrachtet
Originalwert Bild aufgenommen am/um:
2020:04:29 20:51:16
Bild aufgenommen am/um:
Mi 29. Apr 2020, 18:51
Brennweite:
50 mm
Belichtungszeit:
1/125 Sek
Blendenwert:
f/0
ISO:
100
Weißabgleich:
Manuell
Blitz:
Blitz nicht ausgelöst, Erzwungener Blitzmodus
Kamera-Hersteller:
Canon
Kamera-Modell:
Canon EOS 600D
Belichtungsmodus:
Blendenvorwahl
Belichtungskorrektur:
1/1 EV
Belichtungsmessung:
Muster
2020_04_29-0007.jpg
2020_04_29-0007.jpg (170.36 KiB) 4314 mal betrachtet
Originalwert Bild aufgenommen am/um:
2020:04:29 20:51:29
Bild aufgenommen am/um:
Mi 29. Apr 2020, 18:51
Brennweite:
50 mm
Belichtungszeit:
1/125 Sek
Blendenwert:
f/0
ISO:
100
Weißabgleich:
Manuell
Blitz:
Blitz nicht ausgelöst, Erzwungener Blitzmodus
Kamera-Hersteller:
Canon
Kamera-Modell:
Canon EOS 600D
Belichtungsmodus:
Blendenvorwahl
Belichtungskorrektur:
1/1 EV
Belichtungsmessung:
Muster
2020_04_29-0008.jpg
2020_04_29-0008.jpg (212.52 KiB) 4314 mal betrachtet
Originalwert Bild aufgenommen am/um:
2020:04:29 20:51:51
Bild aufgenommen am/um:
Mi 29. Apr 2020, 18:51
Brennweite:
50 mm
Belichtungszeit:
1/125 Sek
Blendenwert:
f/0
ISO:
100
Weißabgleich:
Manuell
Blitz:
Blitz nicht ausgelöst, Erzwungener Blitzmodus
Kamera-Hersteller:
Canon
Kamera-Modell:
Canon EOS 600D
Belichtungsmodus:
Blendenvorwahl
Belichtungskorrektur:
1/1 EV
Belichtungsmessung:
Muster
2020_04_29-0009.jpg
2020_04_29-0009.jpg (218.66 KiB) 4314 mal betrachtet
Originalwert Bild aufgenommen am/um:
2020:04:29 20:52:07
Bild aufgenommen am/um:
Mi 29. Apr 2020, 18:52
Brennweite:
50 mm
Belichtungszeit:
1/125 Sek
Blendenwert:
f/0
ISO:
100
Weißabgleich:
Manuell
Blitz:
Blitz nicht ausgelöst, Erzwungener Blitzmodus
Kamera-Hersteller:
Canon
Kamera-Modell:
Canon EOS 600D
Belichtungsmodus:
Blendenvorwahl
Belichtungskorrektur:
1/1 EV
Belichtungsmessung:
Muster
2020_04_29-0010.jpg
2020_04_29-0010.jpg (188.16 KiB) 4314 mal betrachtet
Originalwert Bild aufgenommen am/um:
2020:04:29 20:52:54
Bild aufgenommen am/um:
Mi 29. Apr 2020, 18:52
Brennweite:
50 mm
Belichtungszeit:
1/125 Sek
Blendenwert:
f/0
ISO:
100
Weißabgleich:
Manuell
Blitz:
Blitz nicht ausgelöst, Erzwungener Blitzmodus
Kamera-Hersteller:
Canon
Kamera-Modell:
Canon EOS 600D
Belichtungsmodus:
Blendenvorwahl
Belichtungskorrektur:
1/1 EV
Belichtungsmessung:
Muster
2020_04_29-0011.jpg
2020_04_29-0011.jpg (156.55 KiB) 4314 mal betrachtet
Originalwert Bild aufgenommen am/um:
2020:04:29 20:53:21
Bild aufgenommen am/um:
Mi 29. Apr 2020, 18:53
Brennweite:
50 mm
Belichtungszeit:
1/160 Sek
Blendenwert:
f/0
ISO:
100
Weißabgleich:
Manuell
Blitz:
Blitz nicht ausgelöst, Erzwungener Blitzmodus
Kamera-Hersteller:
Canon
Kamera-Modell:
Canon EOS 600D
Belichtungsmodus:
Blendenvorwahl
Belichtungskorrektur:
1/1 EV
Belichtungsmessung:
Muster
2. Tuberculina persicina ex Puccinia sessilis ex Arum maculatum
2020_04_29-0016.jpg
2020_04_29-0016.jpg (200.35 KiB) 4314 mal betrachtet
Originalwert Bild aufgenommen am/um:
2020:04:30 13:19:06
Bild aufgenommen am/um:
Do 30. Apr 2020, 11:19
Brennweite:
60 mm
Belichtungszeit:
1/100 Sek
Blendenwert:
f/8
ISO:
2000
Weißabgleich:
Manuell
Blitz:
Blitz nicht ausgelöst, Erzwungener Blitzmodus
Kamera-Hersteller:
Canon
Kamera-Modell:
Canon EOS 600D
Belichtungsmodus:
Blendenvorwahl
Belichtungskorrektur:
-1/3 EV
Belichtungsmessung:
Muster
2020_04_29-0017.jpg
2020_04_29-0017.jpg (219.88 KiB) 4314 mal betrachtet
Originalwert Bild aufgenommen am/um:
2020:04:30 13:19:41
Bild aufgenommen am/um:
Do 30. Apr 2020, 11:19
Brennweite:
60 mm
Belichtungszeit:
1/100 Sek
Blendenwert:
f/8
ISO:
2500
Weißabgleich:
Manuell
Blitz:
Blitz nicht ausgelöst, Erzwungener Blitzmodus
Kamera-Hersteller:
Canon
Kamera-Modell:
Canon EOS 600D
Belichtungsmodus:
Blendenvorwahl
Belichtungskorrektur:
-1/3 EV
Belichtungsmessung:
Muster
2020_04_29-0018.jpg
2020_04_29-0018.jpg (207.93 KiB) 4314 mal betrachtet
Originalwert Bild aufgenommen am/um:
2020:04:30 13:19:41
Bild aufgenommen am/um:
Do 30. Apr 2020, 11:19
Brennweite:
60 mm
Belichtungszeit:
1/80 Sek
Blendenwert:
f/8
ISO:
2000
Weißabgleich:
Manuell
Blitz:
Blitz nicht ausgelöst, Erzwungener Blitzmodus
Kamera-Hersteller:
Canon
Kamera-Modell:
Canon EOS 600D
Belichtungsmodus:
Blendenvorwahl
Belichtungskorrektur:
-1/3 EV
Belichtungsmessung:
Muster
2020_04_29-0019.jpg
2020_04_29-0019.jpg (210.26 KiB) 4314 mal betrachtet
Originalwert Bild aufgenommen am/um:
2020:04:30 13:19:58
Bild aufgenommen am/um:
Do 30. Apr 2020, 11:19
Brennweite:
60 mm
Belichtungszeit:
1/100 Sek
Blendenwert:
f/8
ISO:
2500
Weißabgleich:
Manuell
Blitz:
Blitz nicht ausgelöst, Erzwungener Blitzmodus
Kamera-Hersteller:
Canon
Kamera-Modell:
Canon EOS 600D
Belichtungsmodus:
Blendenvorwahl
Belichtungskorrektur:
-1/3 EV
Belichtungsmessung:
Muster
2020_04_29-0020.jpg
2020_04_29-0020.jpg (216.68 KiB) 4314 mal betrachtet
Originalwert Bild aufgenommen am/um:
2020:04:30 13:19:59
Bild aufgenommen am/um:
Do 30. Apr 2020, 11:19
Brennweite:
60 mm
Belichtungszeit:
1/100 Sek
Blendenwert:
f/8
ISO:
2500
Weißabgleich:
Manuell
Blitz:
Blitz nicht ausgelöst, Erzwungener Blitzmodus
Kamera-Hersteller:
Canon
Kamera-Modell:
Canon EOS 600D
Belichtungsmodus:
Blendenvorwahl
Belichtungskorrektur:
-1/3 EV
Belichtungsmessung:
Muster
2020_04_29-0021.jpg
2020_04_29-0021.jpg (205.81 KiB) 4314 mal betrachtet
Originalwert Bild aufgenommen am/um:
2020:04:30 16:11:49
Bild aufgenommen am/um:
Do 30. Apr 2020, 14:11
Brennweite:
60 mm
Belichtungszeit:
1/100 Sek
Blendenwert:
f/8
ISO:
1000
Weißabgleich:
Manuell
Blitz:
Blitz nicht ausgelöst, Erzwungener Blitzmodus
Kamera-Hersteller:
Canon
Kamera-Modell:
Canon EOS 600D
Belichtungsmodus:
Blendenvorwahl
Belichtungskorrektur:
-1/3 EV
Belichtungsmessung:
Muster
2020_04_29-0012.jpg
2020_04_29-0012.jpg (138.96 KiB) 4314 mal betrachtet
Originalwert Bild aufgenommen am/um:
2020:04:29 21:39:54
Bild aufgenommen am/um:
Mi 29. Apr 2020, 19:39
Brennweite:
50 mm
Belichtungszeit:
1/640 Sek
Blendenwert:
f/0
ISO:
100
Weißabgleich:
Manuell
Blitz:
Blitz nicht ausgelöst, Erzwungener Blitzmodus
Kamera-Hersteller:
Canon
Kamera-Modell:
Canon EOS 600D
Belichtungsmodus:
Blendenvorwahl
Belichtungskorrektur:
1/1 EV
Belichtungsmessung:
Muster
2020_04_29-0013.jpg
2020_04_29-0013.jpg (144.8 KiB) 4314 mal betrachtet
Originalwert Bild aufgenommen am/um:
2020:04:29 21:41:21
Bild aufgenommen am/um:
Mi 29. Apr 2020, 19:41
Brennweite:
50 mm
Belichtungszeit:
1/250 Sek
Blendenwert:
f/0
ISO:
100
Weißabgleich:
Manuell
Blitz:
Blitz nicht ausgelöst, Erzwungener Blitzmodus
Kamera-Hersteller:
Canon
Kamera-Modell:
Canon EOS 600D
Belichtungsmodus:
Blendenvorwahl
Belichtungskorrektur:
1/1 EV
Belichtungsmessung:
Muster
2020_04_29-0014.jpg
2020_04_29-0014.jpg (118.02 KiB) 4314 mal betrachtet
Originalwert Bild aufgenommen am/um:
2020:04:29 21:41:30
Bild aufgenommen am/um:
Mi 29. Apr 2020, 19:41
Brennweite:
50 mm
Belichtungszeit:
1/250 Sek
Blendenwert:
f/0
ISO:
100
Weißabgleich:
Manuell
Blitz:
Blitz nicht ausgelöst, Erzwungener Blitzmodus
Kamera-Hersteller:
Canon
Kamera-Modell:
Canon EOS 600D
Belichtungsmodus:
Blendenvorwahl
Belichtungskorrektur:
1/1 EV
Belichtungsmessung:
Muster
2020_04_29-0015.jpg
2020_04_29-0015.jpg (107.97 KiB) 4314 mal betrachtet
Originalwert Bild aufgenommen am/um:
2020:04:29 21:41:40
Bild aufgenommen am/um:
Mi 29. Apr 2020, 19:41
Brennweite:
50 mm
Belichtungszeit:
1/250 Sek
Blendenwert:
f/0
ISO:
100
Weißabgleich:
Manuell
Blitz:
Blitz nicht ausgelöst, Erzwungener Blitzmodus
Kamera-Hersteller:
Canon
Kamera-Modell:
Canon EOS 600D
Belichtungsmodus:
Blendenvorwahl
Belichtungskorrektur:
1/1 EV
Belichtungsmessung:
Muster
Am 1.5.2020 war ich dann vormittags noch mal eine Runde im Duisburger Stadtwald unterwegs.
3. Puccinia lagenophorae ex Senecio vulgaris
2020_05_01-0001.jpg
2020_05_01-0001.jpg (259.28 KiB) 4314 mal betrachtet
Originalwert Bild aufgenommen am/um:
2020:05:01 08:24:08
Bild aufgenommen am/um:
Fr 1. Mai 2020, 06:24
Brennweite:
60 mm
Belichtungszeit:
1/100 Sek
Blendenwert:
f/8
ISO:
400
Weißabgleich:
Manuell
Blitz:
Blitz nicht ausgelöst, Erzwungener Blitzmodus
Kamera-Hersteller:
Canon
Kamera-Modell:
Canon EOS 600D
Belichtungsmodus:
Blendenvorwahl
Belichtungskorrektur:
-1/3 EV
Belichtungsmessung:
Muster
Koordinaten:
N 51 24.931073 0/ E 6 47.690649 0
2020_05_01-0002.jpg
2020_05_01-0002.jpg (139.15 KiB) 4314 mal betrachtet
Originalwert Bild aufgenommen am/um:
2020:05:01 08:24:34
Bild aufgenommen am/um:
Fr 1. Mai 2020, 06:24
Brennweite:
60 mm
Belichtungszeit:
1/100 Sek
Blendenwert:
f/8
ISO:
640
Weißabgleich:
Manuell
Blitz:
Blitz nicht ausgelöst, Erzwungener Blitzmodus
Kamera-Hersteller:
Canon
Kamera-Modell:
Canon EOS 600D
Belichtungsmodus:
Blendenvorwahl
Belichtungskorrektur:
-1/3 EV
Belichtungsmessung:
Muster
Koordinaten:
N 51 24.931073 0/ E 6 47.690649 0
2020_05_01-0003.jpg
2020_05_01-0003.jpg (128.53 KiB) 4314 mal betrachtet
Originalwert Bild aufgenommen am/um:
2020:05:01 08:24:54
Bild aufgenommen am/um:
Fr 1. Mai 2020, 06:24
Brennweite:
60 mm
Belichtungszeit:
1/80 Sek
Blendenwert:
f/8
ISO:
800
Weißabgleich:
Manuell
Blitz:
Blitz nicht ausgelöst, Erzwungener Blitzmodus
Kamera-Hersteller:
Canon
Kamera-Modell:
Canon EOS 600D
Belichtungsmodus:
Blendenvorwahl
Belichtungskorrektur:
-1/3 EV
Belichtungsmessung:
Muster
Koordinaten:
N 51 24.931073 0/ E 6 47.690649 0
4. Puccinia arenariae ex Silene dioica
2020_05_01-0004.jpg
2020_05_01-0004.jpg (203.37 KiB) 4314 mal betrachtet
Originalwert Bild aufgenommen am/um:
2020:05:01 08:39:12
Bild aufgenommen am/um:
Fr 1. Mai 2020, 06:39
Brennweite:
60 mm
Belichtungszeit:
1/50 Sek
Blendenwert:
f/8
ISO:
3200
Weißabgleich:
Manuell
Blitz:
Blitz nicht ausgelöst, Erzwungener Blitzmodus
Kamera-Hersteller:
Canon
Kamera-Modell:
Canon EOS 600D
Belichtungsmodus:
Blendenvorwahl
Belichtungskorrektur:
-1/3 EV
Belichtungsmessung:
Muster
Koordinaten:
N 51 24.995308 0/ E 6 48.048563 0
2020_05_01-0005.jpg
2020_05_01-0005.jpg (188.66 KiB) 4314 mal betrachtet
Originalwert Bild aufgenommen am/um:
2020:05:01 08:39:34
Bild aufgenommen am/um:
Fr 1. Mai 2020, 06:39
Brennweite:
60 mm
Belichtungszeit:
1/40 Sek
Blendenwert:
f/8
ISO:
3200
Weißabgleich:
Manuell
Blitz:
Blitz nicht ausgelöst, Erzwungener Blitzmodus
Kamera-Hersteller:
Canon
Kamera-Modell:
Canon EOS 600D
Belichtungsmodus:
Blendenvorwahl
Belichtungskorrektur:
-1/3 EV
Belichtungsmessung:
Muster
Koordinaten:
N 51 24.995308 0/ E 6 48.048563 0
2020_05_01-0006.jpg
2020_05_01-0006.jpg (218.22 KiB) 4314 mal betrachtet
Originalwert Bild aufgenommen am/um:
2020:05:01 08:40:21
Bild aufgenommen am/um:
Fr 1. Mai 2020, 06:40
Brennweite:
60 mm
Belichtungszeit:
1/100 Sek
Blendenwert:
f/8
ISO:
3200
Weißabgleich:
Manuell
Blitz:
Blitz nicht ausgelöst, Erzwungener Blitzmodus
Kamera-Hersteller:
Canon
Kamera-Modell:
Canon EOS 600D
Belichtungsmodus:
Blendenvorwahl
Belichtungskorrektur:
-1/3 EV
Belichtungsmessung:
Muster
Koordinaten:
N 51 24.995308 0/ E 6 48.048563 0
2020_05_01-0009.jpg
2020_05_01-0009.jpg (166.13 KiB) 4314 mal betrachtet
Originalwert Bild aufgenommen am/um:
2020:05:01 12:13:16
Bild aufgenommen am/um:
Fr 1. Mai 2020, 10:13
Brennweite:
50 mm
Belichtungszeit:
1/640 Sek
Blendenwert:
f/0
ISO:
100
Weißabgleich:
Manuell
Blitz:
Blitz nicht ausgelöst, Erzwungener Blitzmodus
Kamera-Hersteller:
Canon
Kamera-Modell:
Canon EOS 600D
Belichtungsmodus:
Blendenvorwahl
Belichtungskorrektur:
1/1 EV
Belichtungsmessung:
Muster
2020_05_01-0010.jpg
2020_05_01-0010.jpg (219.14 KiB) 4314 mal betrachtet
Originalwert Bild aufgenommen am/um:
2020:05:01 12:13:37
Bild aufgenommen am/um:
Fr 1. Mai 2020, 10:13
Brennweite:
50 mm
Belichtungszeit:
1/400 Sek
Blendenwert:
f/0
ISO:
100
Weißabgleich:
Manuell
Blitz:
Blitz nicht ausgelöst, Erzwungener Blitzmodus
Kamera-Hersteller:
Canon
Kamera-Modell:
Canon EOS 600D
Belichtungsmodus:
Blendenvorwahl
Belichtungskorrektur:
1/1 EV
Belichtungsmessung:
Muster
2020_05_01-0011.jpg
2020_05_01-0011.jpg (180.75 KiB) 4314 mal betrachtet
Originalwert Bild aufgenommen am/um:
2020:05:01 12:13:54
Bild aufgenommen am/um:
Fr 1. Mai 2020, 10:13
Brennweite:
50 mm
Belichtungszeit:
1/500 Sek
Blendenwert:
f/0
ISO:
100
Weißabgleich:
Manuell
Blitz:
Blitz nicht ausgelöst, Erzwungener Blitzmodus
Kamera-Hersteller:
Canon
Kamera-Modell:
Canon EOS 600D
Belichtungsmodus:
Blendenvorwahl
Belichtungskorrektur:
1/1 EV
Belichtungsmessung:
Muster
Teil 2 folgt sofort....
bjoerns
alter Hase
Beiträge: 532
Registriert: Mo 3. Sep 2018, 21:21
Kamera: Canon EOS 600D
Canon EF-S 60mm f/2.8 Macro USM
Motic Panthera C
Kontaktdaten:

Re: Phytoparasiten 29.4-3.5.2020

Ungelesener Beitrag von bjoerns »

2020_05_01-0012.jpg
2020_05_01-0012.jpg (222.58 KiB) 4312 mal betrachtet
Originalwert Bild aufgenommen am/um:
2020:05:01 12:14:49
Bild aufgenommen am/um:
Fr 1. Mai 2020, 10:14
Brennweite:
50 mm
Belichtungszeit:
1/400 Sek
Blendenwert:
f/0
ISO:
100
Weißabgleich:
Manuell
Blitz:
Blitz nicht ausgelöst, Erzwungener Blitzmodus
Kamera-Hersteller:
Canon
Kamera-Modell:
Canon EOS 600D
Belichtungsmodus:
Blendenvorwahl
Belichtungskorrektur:
1/1 EV
Belichtungsmessung:
Muster
2020_05_01-0013.jpg
2020_05_01-0013.jpg (173.8 KiB) 4312 mal betrachtet
Originalwert Bild aufgenommen am/um:
2020:05:01 12:15:19
Bild aufgenommen am/um:
Fr 1. Mai 2020, 10:15
Brennweite:
50 mm
Belichtungszeit:
1/500 Sek
Blendenwert:
f/0
ISO:
100
Weißabgleich:
Manuell
Blitz:
Blitz nicht ausgelöst, Erzwungener Blitzmodus
Kamera-Hersteller:
Canon
Kamera-Modell:
Canon EOS 600D
Belichtungsmodus:
Blendenvorwahl
Belichtungskorrektur:
1/1 EV
Belichtungsmessung:
Muster
2020_05_01-0014.jpg
2020_05_01-0014.jpg (189.73 KiB) 4312 mal betrachtet
Originalwert Bild aufgenommen am/um:
2020:05:01 12:16:48
Bild aufgenommen am/um:
Fr 1. Mai 2020, 10:16
Brennweite:
50 mm
Belichtungszeit:
1/250 Sek
Blendenwert:
f/0
ISO:
100
Weißabgleich:
Manuell
Blitz:
Blitz nicht ausgelöst, Erzwungener Blitzmodus
Kamera-Hersteller:
Canon
Kamera-Modell:
Canon EOS 600D
Belichtungsmodus:
Blendenvorwahl
Belichtungskorrektur:
1/1 EV
Belichtungsmessung:
Muster
2020_05_01-0015.jpg
2020_05_01-0015.jpg (167.99 KiB) 4312 mal betrachtet
Originalwert Bild aufgenommen am/um:
2020:05:01 12:17:37
Bild aufgenommen am/um:
Fr 1. Mai 2020, 10:17
Brennweite:
50 mm
Belichtungszeit:
1/200 Sek
Blendenwert:
f/0
ISO:
100
Weißabgleich:
Manuell
Blitz:
Blitz nicht ausgelöst, Erzwungener Blitzmodus
Kamera-Hersteller:
Canon
Kamera-Modell:
Canon EOS 600D
Belichtungsmodus:
Blendenvorwahl
Belichtungskorrektur:
1/1 EV
Belichtungsmessung:
Muster
2020_05_01-0016.jpg
2020_05_01-0016.jpg (183.26 KiB) 4312 mal betrachtet
Originalwert Bild aufgenommen am/um:
2020:05:01 12:19:05
Bild aufgenommen am/um:
Fr 1. Mai 2020, 10:19
Brennweite:
50 mm
Belichtungszeit:
1/250 Sek
Blendenwert:
f/0
ISO:
100
Weißabgleich:
Manuell
Blitz:
Blitz nicht ausgelöst, Erzwungener Blitzmodus
Kamera-Hersteller:
Canon
Kamera-Modell:
Canon EOS 600D
Belichtungsmodus:
Blendenvorwahl
Belichtungskorrektur:
1/1 EV
Belichtungsmessung:
Muster
2020_05_01-0017.jpg
2020_05_01-0017.jpg (187.25 KiB) 4312 mal betrachtet
Originalwert Bild aufgenommen am/um:
2020:05:01 12:19:33
Bild aufgenommen am/um:
Fr 1. Mai 2020, 10:19
Brennweite:
50 mm
Belichtungszeit:
1/200 Sek
Blendenwert:
f/0
ISO:
100
Weißabgleich:
Manuell
Blitz:
Blitz nicht ausgelöst, Erzwungener Blitzmodus
Kamera-Hersteller:
Canon
Kamera-Modell:
Canon EOS 600D
Belichtungsmodus:
Blendenvorwahl
Belichtungskorrektur:
1/1 EV
Belichtungsmessung:
Muster
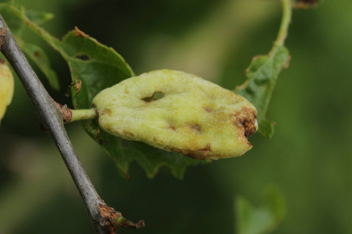
5. An Ranunculus repens gab es diese kleinen Gallen.Mikroskopisch war nichts Pilzliches erkennbar, aber wenn ich mit Roskam schlüssele, finde ich leider auch nichts anderes, was dazu paßt. Vielleicht hat ja jemand von Euch eine Idee.
2020_05_01-0007.jpg
2020_05_01-0007.jpg (205.15 KiB) 4312 mal betrachtet
Originalwert Bild aufgenommen am/um:
2020:05:01 08:44:41
Bild aufgenommen am/um:
Fr 1. Mai 2020, 06:44
Brennweite:
60 mm
Belichtungszeit:
1/100 Sek
Blendenwert:
f/8
ISO:
1250
Weißabgleich:
Manuell
Blitz:
Blitz nicht ausgelöst, Erzwungener Blitzmodus
Kamera-Hersteller:
Canon
Kamera-Modell:
Canon EOS 600D
Belichtungsmodus:
Blendenvorwahl
Belichtungskorrektur:
-1/3 EV
Belichtungsmessung:
Muster
Koordinaten:
N 51 25.002334 0/ E 6 48.169906 0
2020_05_01-0008.jpg
2020_05_01-0008.jpg (196.58 KiB) 4312 mal betrachtet
Originalwert Bild aufgenommen am/um:
2020:05:01 08:44:51
Bild aufgenommen am/um:
Fr 1. Mai 2020, 06:44
Brennweite:
60 mm
Belichtungszeit:
1/60 Sek
Blendenwert:
f/8
ISO:
3200
Weißabgleich:
Manuell
Blitz:
Blitz nicht ausgelöst, Erzwungener Blitzmodus
Kamera-Hersteller:
Canon
Kamera-Modell:
Canon EOS 600D
Belichtungsmodus:
Blendenvorwahl
Belichtungskorrektur:
-1/3 EV
Belichtungsmessung:
Muster
Koordinaten:
N 51 25.002334 0/ E 6 48.169906 0
2020_05_01-0018.jpg
2020_05_01-0018.jpg (117.79 KiB) 4312 mal betrachtet
Originalwert Bild aufgenommen am/um:
2020:05:01 13:12:36
Bild aufgenommen am/um:
Fr 1. Mai 2020, 11:12
Brennweite:
50 mm
Belichtungszeit:
1/800 Sek
Blendenwert:
f/0
ISO:
100
Weißabgleich:
Manuell
Blitz:
Blitz nicht ausgelöst, Erzwungener Blitzmodus
Kamera-Hersteller:
Canon
Kamera-Modell:
Canon EOS 600D
Belichtungsmodus:
Blendenvorwahl
Belichtungskorrektur:
1/1 EV
Belichtungsmessung:
Muster
Weiter geht es am 2.5.2020, wo ich den Garten meiner Schwester in Gelsenkirchen mal etwas genauer unter die Lupe genommen hatte, nachdem sie einen Großpilz im Hochbeet entdeckt hatte.
6. Ein Rost auf Taraxacum Sect. Ruderalia. Das macht mir ja meistens wenig Spaß... hier tendiere ich zu Puccinia taraxaci. Es sind zwei Keimporen in der oberen Sporenhälfte erkennbar, eine stachelfreie Tonsur gibt es auch und es sind viele Uredosporen vorhanden. Einzig die gelblichen Blattflecken wollen nicht ganz passen.
2020_05_02-0001.jpg
2020_05_02-0001.jpg (227.22 KiB) 4312 mal betrachtet
Originalwert Bild aufgenommen am/um:
2020:05:02 14:17:34
Bild aufgenommen am/um:
Sa 2. Mai 2020, 12:17
Brennweite:
60 mm
Belichtungszeit:
1/80 Sek
Blendenwert:
f/8
ISO:
400
Weißabgleich:
Manuell
Blitz:
Blitz nicht ausgelöst, Erzwungener Blitzmodus
Kamera-Hersteller:
Canon
Kamera-Modell:
Canon EOS 600D
Belichtungsmodus:
Blendenvorwahl
Belichtungskorrektur:
-1/3 EV
Belichtungsmessung:
Muster
Koordinaten:
N 51 32.732451 0/ E 7 1.797492 0
2020_05_02-0005.jpg
2020_05_02-0005.jpg (180.71 KiB) 4312 mal betrachtet
Originalwert Bild aufgenommen am/um:
2020:05:03 19:52:41
Bild aufgenommen am/um:
So 3. Mai 2020, 17:52
Brennweite:
50 mm
Belichtungszeit:
1/160 Sek
Blendenwert:
f/0
ISO:
100
Weißabgleich:
Manuell
Blitz:
Blitz nicht ausgelöst, Erzwungener Blitzmodus
Kamera-Hersteller:
Canon
Kamera-Modell:
Canon EOS 600D
Belichtungsmodus:
Blendenvorwahl
Belichtungskorrektur:
1/1 EV
Belichtungsmessung:
Muster
2020_05_02-0006.jpg
2020_05_02-0006.jpg (140.8 KiB) 4312 mal betrachtet
Originalwert Bild aufgenommen am/um:
2020:05:03 19:52:58
Bild aufgenommen am/um:
So 3. Mai 2020, 17:52
Brennweite:
50 mm
Belichtungszeit:
1/160 Sek
Blendenwert:
f/0
ISO:
100
Weißabgleich:
Manuell
Blitz:
Blitz nicht ausgelöst, Erzwungener Blitzmodus
Kamera-Hersteller:
Canon
Kamera-Modell:
Canon EOS 600D
Belichtungsmodus:
Blendenvorwahl
Belichtungskorrektur:
1/1 EV
Belichtungsmessung:
Muster
2020_05_02-0007.jpg
2020_05_02-0007.jpg (155.24 KiB) 4312 mal betrachtet
Originalwert Bild aufgenommen am/um:
2020:05:03 19:53:23
Bild aufgenommen am/um:
So 3. Mai 2020, 17:53
Brennweite:
50 mm
Belichtungszeit:
1/160 Sek
Blendenwert:
f/0
ISO:
100
Weißabgleich:
Manuell
Blitz:
Blitz nicht ausgelöst, Erzwungener Blitzmodus
Kamera-Hersteller:
Canon
Kamera-Modell:
Canon EOS 600D
Belichtungsmodus:
Blendenvorwahl
Belichtungskorrektur:
1/1 EV
Belichtungsmessung:
Muster
2020_05_02-0008.jpg
2020_05_02-0008.jpg (132.5 KiB) 4312 mal betrachtet
Originalwert Bild aufgenommen am/um:
2020:05:03 19:53:46
Bild aufgenommen am/um:
So 3. Mai 2020, 17:53
Brennweite:
50 mm
Belichtungszeit:
1/160 Sek
Blendenwert:
f/0
ISO:
100
Weißabgleich:
Manuell
Blitz:
Blitz nicht ausgelöst, Erzwungener Blitzmodus
Kamera-Hersteller:
Canon
Kamera-Modell:
Canon EOS 600D
Belichtungsmodus:
Blendenvorwahl
Belichtungskorrektur:
1/1 EV
Belichtungsmessung:
Muster
7. Podosphaera fugax ex Geranium sp.
2020_05_02-0002.jpg
2020_05_02-0002.jpg (160.36 KiB) 4312 mal betrachtet
Originalwert Bild aufgenommen am/um:
2020:05:02 14:26:25
Bild aufgenommen am/um:
Sa 2. Mai 2020, 12:26
Brennweite:
60 mm
Belichtungszeit:
1/80 Sek
Blendenwert:
f/8
ISO:
800
Weißabgleich:
Manuell
Blitz:
Blitz nicht ausgelöst, Erzwungener Blitzmodus
Kamera-Hersteller:
Canon
Kamera-Modell:
Canon EOS 600D
Belichtungsmodus:
Blendenvorwahl
Belichtungskorrektur:
-1/3 EV
Belichtungsmessung:
Muster
Koordinaten:
N 51 32.732451 0/ E 7 1.797492 0
2020_05_02-0010.jpg
2020_05_02-0010.jpg (124.68 KiB) 4312 mal betrachtet
Originalwert Bild aufgenommen am/um:
2020:05:03 20:03:59
Bild aufgenommen am/um:
So 3. Mai 2020, 18:03
Brennweite:
50 mm
Belichtungszeit:
1/500 Sek
Blendenwert:
f/0
ISO:
100
Weißabgleich:
Manuell
Blitz:
Blitz nicht ausgelöst, Erzwungener Blitzmodus
Kamera-Hersteller:
Canon
Kamera-Modell:
Canon EOS 600D
Belichtungsmodus:
Blendenvorwahl
Belichtungskorrektur:
1/1 EV
Belichtungsmessung:
Muster
2020_05_02-0011.jpg
2020_05_02-0011.jpg (112.49 KiB) 4312 mal betrachtet
Originalwert Bild aufgenommen am/um:
2020:05:03 20:06:16
Bild aufgenommen am/um:
So 3. Mai 2020, 18:06
Brennweite:
50 mm
Belichtungszeit:
1/250 Sek
Blendenwert:
f/0
ISO:
100
Weißabgleich:
Manuell
Blitz:
Blitz nicht ausgelöst, Erzwungener Blitzmodus
Kamera-Hersteller:
Canon
Kamera-Modell:
Canon EOS 600D
Belichtungsmodus:
Blendenvorwahl
Belichtungskorrektur:
1/1 EV
Belichtungsmessung:
Muster
8. Golovinomyces cichoracearum s.l. ex Bellis perennis
2020_05_02-0003.jpg
2020_05_02-0003.jpg (275.34 KiB) 4312 mal betrachtet
Originalwert Bild aufgenommen am/um:
2020:05:02 14:28:57
Bild aufgenommen am/um:
Sa 2. Mai 2020, 12:28
Brennweite:
60 mm
Belichtungszeit:
1/80 Sek
Blendenwert:
f/8
ISO:
1000
Weißabgleich:
Manuell
Blitz:
Blitz nicht ausgelöst, Erzwungener Blitzmodus
Kamera-Hersteller:
Canon
Kamera-Modell:
Canon EOS 600D
Belichtungsmodus:
Blendenvorwahl
Belichtungskorrektur:
-1/3 EV
Belichtungsmessung:
Muster
Koordinaten:
N 51 32.732451 0/ E 7 1.797492 0
2020_05_02-0009.jpg
2020_05_02-0009.jpg (89.8 KiB) 4312 mal betrachtet
Originalwert Bild aufgenommen am/um:
2020:05:03 20:00:08
Bild aufgenommen am/um:
So 3. Mai 2020, 18:00
Brennweite:
50 mm
Belichtungszeit:
1/500 Sek
Blendenwert:
f/0
ISO:
100
Weißabgleich:
Manuell
Blitz:
Blitz nicht ausgelöst, Erzwungener Blitzmodus
Kamera-Hersteller:
Canon
Kamera-Modell:
Canon EOS 600D
Belichtungsmodus:
Blendenvorwahl
Belichtungskorrektur:
1/1 EV
Belichtungsmessung:
Muster
9. Erysiphe aquilegiae var. ranunculi ex Ranunculus repens
2020_05_02-0004.jpg
2020_05_02-0004.jpg (172.05 KiB) 4312 mal betrachtet
Originalwert Bild aufgenommen am/um:
2020:05:02 14:38:11
Bild aufgenommen am/um:
Sa 2. Mai 2020, 12:38
Brennweite:
60 mm
Belichtungszeit:
1/80 Sek
Blendenwert:
f/8
ISO:
500
Weißabgleich:
Manuell
Blitz:
Blitz nicht ausgelöst, Erzwungener Blitzmodus
Kamera-Hersteller:
Canon
Kamera-Modell:
Canon EOS 600D
Belichtungsmodus:
Blendenvorwahl
Belichtungskorrektur:
-1/3 EV
Belichtungsmessung:
Muster
Koordinaten:
N 51 32.732451 0/ E 7 1.797492 0
Damit kommen wir nun zum 3.5.2020, wo ich eine Runde auf der Halde Rungenberg in Gelsenkirchen unterwegs war.
10. Peronospora aparines ex Galium aparine
2020_05_03-0001.jpg
2020_05_03-0001.jpg (107 KiB) 4312 mal betrachtet
Originalwert Bild aufgenommen am/um:
2020:05:03 09:48:29
Bild aufgenommen am/um:
So 3. Mai 2020, 07:48
Brennweite:
60 mm
Belichtungszeit:
1/80 Sek
Blendenwert:
f/8
ISO:
800
Weißabgleich:
Manuell
Blitz:
Blitz nicht ausgelöst, Erzwungener Blitzmodus
Kamera-Hersteller:
Canon
Kamera-Modell:
Canon EOS 600D
Belichtungsmodus:
Blendenvorwahl
Belichtungskorrektur:
-1/3 EV
Belichtungsmessung:
Muster
Koordinaten:
N 51 33.64896 0/ E 7 2.06062 0
11. Blumeria graminis ex Bromus hordeaceaus
2020_05_03-0002.jpg
2020_05_03-0002.jpg (113.06 KiB) 4312 mal betrachtet
Originalwert Bild aufgenommen am/um:
2020:05:03 09:50:06
Bild aufgenommen am/um:
So 3. Mai 2020, 07:50
Brennweite:
60 mm
Belichtungszeit:
1/80 Sek
Blendenwert:
f/8
ISO:
800
Weißabgleich:
Manuell
Blitz:
Blitz nicht ausgelöst, Erzwungener Blitzmodus
Kamera-Hersteller:
Canon
Kamera-Modell:
Canon EOS 600D
Belichtungsmodus:
Blendenvorwahl
Belichtungskorrektur:
-1/3 EV
Belichtungsmessung:
Muster
Koordinaten:
N 51 33.671971 0/ E 7 2.043561 0
2020_05_03-0003.jpg
2020_05_03-0003.jpg (92.54 KiB) 4312 mal betrachtet
Originalwert Bild aufgenommen am/um:
2020:05:03 09:50:36
Bild aufgenommen am/um:
So 3. Mai 2020, 07:50
Brennweite:
60 mm
Belichtungszeit:
1/100 Sek
Blendenwert:
f/8
ISO:
1250
Weißabgleich:
Manuell
Blitz:
Blitz nicht ausgelöst, Erzwungener Blitzmodus
Kamera-Hersteller:
Canon
Kamera-Modell:
Canon EOS 600D
Belichtungsmodus:
Blendenvorwahl
Belichtungskorrektur:
-1/3 EV
Belichtungsmessung:
Muster
Koordinaten:
N 51 33.671971 0/ E 7 2.043561 0
2020_05_03-0004.jpg
2020_05_03-0004.jpg (104.42 KiB) 4312 mal betrachtet
Originalwert Bild aufgenommen am/um:
2020:05:03 09:51:15
Bild aufgenommen am/um:
So 3. Mai 2020, 07:51
Brennweite:
60 mm
Belichtungszeit:
1/100 Sek
Blendenwert:
f/8
ISO:
1600
Weißabgleich:
Manuell
Blitz:
Blitz nicht ausgelöst, Erzwungener Blitzmodus
Kamera-Hersteller:
Canon
Kamera-Modell:
Canon EOS 600D
Belichtungsmodus:
Blendenvorwahl
Belichtungskorrektur:
-1/3 EV
Belichtungsmessung:
Muster
Koordinaten:
N 51 33.671971 0/ E 7 2.043561 0
2020_05_03-0005.jpg
2020_05_03-0005.jpg (90.21 KiB) 4312 mal betrachtet
Originalwert Bild aufgenommen am/um:
2020:05:03 09:51:34
Bild aufgenommen am/um:
So 3. Mai 2020, 07:51
Brennweite:
60 mm
Belichtungszeit:
1/100 Sek
Blendenwert:
f/8
ISO:
1250
Weißabgleich:
Manuell
Blitz:
Blitz nicht ausgelöst, Erzwungener Blitzmodus
Kamera-Hersteller:
Canon
Kamera-Modell:
Canon EOS 600D
Belichtungsmodus:
Blendenvorwahl
Belichtungskorrektur:
-1/3 EV
Belichtungsmessung:
Muster
Koordinaten:
N 51 33.671971 0/ E 7 2.043561 0
2020_05_03-0006.jpg
2020_05_03-0006.jpg (136.5 KiB) 4312 mal betrachtet
Originalwert Bild aufgenommen am/um:
2020:05:03 09:51:47
Bild aufgenommen am/um:
So 3. Mai 2020, 07:51
Brennweite:
60 mm
Belichtungszeit:
1/100 Sek
Blendenwert:
f/8
ISO:
800
Weißabgleich:
Manuell
Blitz:
Blitz nicht ausgelöst, Erzwungener Blitzmodus
Kamera-Hersteller:
Canon
Kamera-Modell:
Canon EOS 600D
Belichtungsmodus:
Blendenvorwahl
Belichtungskorrektur:
-1/3 EV
Belichtungsmessung:
Muster
Koordinaten:
N 51 33.671771 0/ E 7 2.04324 0
12. Golovinomyces asperifolii ex Myosotis sp.
2020_05_03-0007.jpg
2020_05_03-0007.jpg (291.35 KiB) 4312 mal betrachtet
Originalwert Bild aufgenommen am/um:
2020:05:03 09:58:47
Bild aufgenommen am/um:
So 3. Mai 2020, 07:58
Brennweite:
60 mm
Belichtungszeit:
1/80 Sek
Blendenwert:
f/8
ISO:
250
Weißabgleich:
Manuell
Blitz:
Blitz nicht ausgelöst, Erzwungener Blitzmodus
Kamera-Hersteller:
Canon
Kamera-Modell:
Canon EOS 600D
Belichtungsmodus:
Blendenvorwahl
Belichtungskorrektur:
-1/3 EV
Belichtungsmessung:
Muster
Koordinaten:
N 51 33.827056 0/ E 7 2.00821 0
2020_05_03-0008.jpg
2020_05_03-0008.jpg (167.6 KiB) 4312 mal betrachtet
Originalwert Bild aufgenommen am/um:
2020:05:03 09:59:11
Bild aufgenommen am/um:
So 3. Mai 2020, 07:59
Brennweite:
60 mm
Belichtungszeit:
1/80 Sek
Blendenwert:
f/8
ISO:
400
Weißabgleich:
Manuell
Blitz:
Blitz nicht ausgelöst, Erzwungener Blitzmodus
Kamera-Hersteller:
Canon
Kamera-Modell:
Canon EOS 600D
Belichtungsmodus:
Blendenvorwahl
Belichtungskorrektur:
-1/3 EV
Belichtungsmessung:
Muster
Koordinaten:
N 51 33.827056 0/ E 7 2.00821 0
2020_05_03-0009.jpg
2020_05_03-0009.jpg (111.64 KiB) 4312 mal betrachtet
Originalwert Bild aufgenommen am/um:
2020:05:03 09:59:35
Bild aufgenommen am/um:
So 3. Mai 2020, 07:59
Brennweite:
60 mm
Belichtungszeit:
1/80 Sek
Blendenwert:
f/8
ISO:
800
Weißabgleich:
Manuell
Blitz:
Blitz nicht ausgelöst, Erzwungener Blitzmodus
Kamera-Hersteller:
Canon
Kamera-Modell:
Canon EOS 600D
Belichtungsmodus:
Blendenvorwahl
Belichtungskorrektur:
-1/3 EV
Belichtungsmessung:
Muster
Koordinaten:
N 51 33.827056 0/ E 7 2.00821 0
2020_05_03-0010.jpg
2020_05_03-0010.jpg (136.33 KiB) 4312 mal betrachtet
Originalwert Bild aufgenommen am/um:
2020:05:03 09:59:54
Bild aufgenommen am/um:
So 3. Mai 2020, 07:59
Brennweite:
60 mm
Belichtungszeit:
1/100 Sek
Blendenwert:
f/8
ISO:
640
Weißabgleich:
Manuell
Blitz:
Blitz nicht ausgelöst, Erzwungener Blitzmodus
Kamera-Hersteller:
Canon
Kamera-Modell:
Canon EOS 600D
Belichtungsmodus:
Blendenvorwahl
Belichtungskorrektur:
-1/3 EV
Belichtungsmessung:
Muster
Koordinaten:
N 51 33.827056 0/ E 7 2.00821 0
Teil 3 folgt sofort....
bjoerns
alter Hase
Beiträge: 532
Registriert: Mo 3. Sep 2018, 21:21
Kamera: Canon EOS 600D
Canon EF-S 60mm f/2.8 Macro USM
Motic Panthera C
Kontaktdaten:

Re: Phytoparasiten 29.4-3.5.2020

Ungelesener Beitrag von bjoerns »

13.
2020_05_03-0011.jpg
2020_05_03-0011.jpg (215.31 KiB) 4312 mal betrachtet
Originalwert Bild aufgenommen am/um:
2020:05:03 10:44:05
Bild aufgenommen am/um:
So 3. Mai 2020, 08:44
Brennweite:
60 mm
Belichtungszeit:
1/100 Sek
Blendenwert:
f/8
ISO:
320
Weißabgleich:
Manuell
Blitz:
Blitz nicht ausgelöst, Erzwungener Blitzmodus
Kamera-Hersteller:
Canon
Kamera-Modell:
Canon EOS 600D
Belichtungsmodus:
Blendenvorwahl
Belichtungskorrektur:
-1/3 EV
Belichtungsmessung:
Muster
Koordinaten:
N 51 34.096618 0/ E 7 2.236359 0
2020_05_03-0012.jpg
2020_05_03-0012.jpg (150.71 KiB) 4312 mal betrachtet
Originalwert Bild aufgenommen am/um:
2020:05:03 10:44:41
Bild aufgenommen am/um:
So 3. Mai 2020, 08:44
Brennweite:
60 mm
Belichtungszeit:
1/80 Sek
Blendenwert:
f/8
ISO:
400
Weißabgleich:
Manuell
Blitz:
Blitz nicht ausgelöst, Erzwungener Blitzmodus
Kamera-Hersteller:
Canon
Kamera-Modell:
Canon EOS 600D
Belichtungsmodus:
Blendenvorwahl
Belichtungskorrektur:
-1/3 EV
Belichtungsmessung:
Muster
Koordinaten:
N 51 34.096618 0/ E 7 2.236359 0
14. Taphrina pruni ex Prunus spinosa
2020_05_03-0013.jpg
2020_05_03-0013.jpg (116.2 KiB) 4312 mal betrachtet
Originalwert Bild aufgenommen am/um:
2020:05:03 11:27:56
Bild aufgenommen am/um:
So 3. Mai 2020, 09:27
Brennweite:
60 mm
Belichtungszeit:
1/100 Sek
Blendenwert:
f/8
ISO:
160
Weißabgleich:
Manuell
Blitz:
Blitz nicht ausgelöst, Erzwungener Blitzmodus
Kamera-Hersteller:
Canon
Kamera-Modell:
Canon EOS 600D
Belichtungsmodus:
Blendenvorwahl
Belichtungskorrektur:
-1/3 EV
Belichtungsmessung:
Muster
Koordinaten:
N 51 33.678943 0/ E 7 2.229222 0
2020_05_03-0014.jpg
2020_05_03-0014.jpg (96.34 KiB) 4312 mal betrachtet
Originalwert Bild aufgenommen am/um:
2020:05:03 11:28:17
Bild aufgenommen am/um:
So 3. Mai 2020, 09:28
Brennweite:
60 mm
Belichtungszeit:
1/100 Sek
Blendenwert:
f/8
ISO:
320
Weißabgleich:
Manuell
Blitz:
Blitz nicht ausgelöst, Erzwungener Blitzmodus
Kamera-Hersteller:
Canon
Kamera-Modell:
Canon EOS 600D
Belichtungsmodus:
Blendenvorwahl
Belichtungskorrektur:
-1/3 EV
Belichtungsmessung:
Muster
Koordinaten:
N 51 33.678943 0/ E 7 2.229222 0
2020_05_03-0015.jpg
2020_05_03-0015.jpg (130.37 KiB) 4312 mal betrachtet
Originalwert Bild aufgenommen am/um:
2020:05:03 19:26:40
Bild aufgenommen am/um:
So 3. Mai 2020, 17:26
Brennweite:
50 mm
Belichtungszeit:
1/500 Sek
Blendenwert:
f/0
ISO:
100
Weißabgleich:
Manuell
Blitz:
Blitz nicht ausgelöst, Erzwungener Blitzmodus
Kamera-Hersteller:
Canon
Kamera-Modell:
Canon EOS 600D
Belichtungsmodus:
Blendenvorwahl
Belichtungskorrektur:
1/1 EV
Belichtungsmessung:
Muster
2020_05_03-0016.jpg
2020_05_03-0016.jpg (96.37 KiB) 4312 mal betrachtet
Originalwert Bild aufgenommen am/um:
2020:05:03 19:27:38
Bild aufgenommen am/um:
So 3. Mai 2020, 17:27
Brennweite:
50 mm
Belichtungszeit:
1/320 Sek
Blendenwert:
f/0
ISO:
100
Weißabgleich:
Manuell
Blitz:
Blitz nicht ausgelöst, Erzwungener Blitzmodus
Kamera-Hersteller:
Canon
Kamera-Modell:
Canon EOS 600D
Belichtungsmodus:
Blendenvorwahl
Belichtungskorrektur:
1/1 EV
Belichtungsmessung:
Muster
2020_05_03-0017.jpg
2020_05_03-0017.jpg (124.24 KiB) 4312 mal betrachtet
Originalwert Bild aufgenommen am/um:
2020:05:03 19:30:10
Bild aufgenommen am/um:
So 3. Mai 2020, 17:30
Brennweite:
50 mm
Belichtungszeit:
1/250 Sek
Blendenwert:
f/0
ISO:
100
Weißabgleich:
Manuell
Blitz:
Blitz nicht ausgelöst, Erzwungener Blitzmodus
Kamera-Hersteller:
Canon
Kamera-Modell:
Canon EOS 600D
Belichtungsmodus:
Blendenvorwahl
Belichtungskorrektur:
1/1 EV
Belichtungsmessung:
Muster
15. Leider ohne makroskopische Fotos, aber bei meinen Eltern in der Siedlung gab es dann noch fetten Befall von Peronospora arborescens agg. ex Papaver sp.
2020_05_03-0018.jpg
2020_05_03-0018.jpg (123.28 KiB) 4312 mal betrachtet
Originalwert Bild aufgenommen am/um:
2020:05:03 19:35:20
Bild aufgenommen am/um:
So 3. Mai 2020, 17:35
Brennweite:
50 mm
Belichtungszeit:
1/640 Sek
Blendenwert:
f/0
ISO:
100
Weißabgleich:
Manuell
Blitz:
Blitz nicht ausgelöst, Erzwungener Blitzmodus
Kamera-Hersteller:
Canon
Kamera-Modell:
Canon EOS 600D
Belichtungsmodus:
Blendenvorwahl
Belichtungskorrektur:
1/1 EV
Belichtungsmessung:
Muster
2020_05_03-0019.jpg
2020_05_03-0019.jpg (112.57 KiB) 4312 mal betrachtet
Originalwert Bild aufgenommen am/um:
2020:05:03 19:35:40
Bild aufgenommen am/um:
So 3. Mai 2020, 17:35
Brennweite:
50 mm
Belichtungszeit:
1/640 Sek
Blendenwert:
f/0
ISO:
100
Weißabgleich:
Manuell
Blitz:
Blitz nicht ausgelöst, Erzwungener Blitzmodus
Kamera-Hersteller:
Canon
Kamera-Modell:
Canon EOS 600D
Belichtungsmodus:
Blendenvorwahl
Belichtungskorrektur:
1/1 EV
Belichtungsmessung:
Muster
2020_05_03-0020.jpg
2020_05_03-0020.jpg (125.64 KiB) 4312 mal betrachtet
Originalwert Bild aufgenommen am/um:
2020:05:03 19:36:42
Bild aufgenommen am/um:
So 3. Mai 2020, 17:36
Brennweite:
50 mm
Belichtungszeit:
1/500 Sek
Blendenwert:
f/0
ISO:
100
Weißabgleich:
Manuell
Blitz:
Blitz nicht ausgelöst, Erzwungener Blitzmodus
Kamera-Hersteller:
Canon
Kamera-Modell:
Canon EOS 600D
Belichtungsmodus:
Blendenvorwahl
Belichtungskorrektur:
1/1 EV
Belichtungsmessung:
Muster
2020_05_03-0021.jpg
2020_05_03-0021.jpg (114.57 KiB) 4312 mal betrachtet
Originalwert Bild aufgenommen am/um:
2020:05:03 19:37:21
Bild aufgenommen am/um:
So 3. Mai 2020, 17:37
Brennweite:
50 mm
Belichtungszeit:
1/640 Sek
Blendenwert:
f/0
ISO:
100
Weißabgleich:
Manuell
Blitz:
Blitz nicht ausgelöst, Erzwungener Blitzmodus
Kamera-Hersteller:
Canon
Kamera-Modell:
Canon EOS 600D
Belichtungsmodus:
Blendenvorwahl
Belichtungskorrektur:
1/1 EV
Belichtungsmessung:
Muster
Zum Abschluß noch ein rein pflanzlicher Fund. Auf der Rungenberg-Halde wuchs im Gipfelbereich dieses Pflänzchen hier. Ist das Linum? Der scheint in unserer Gegend ansonsten eher nicht so verbreitet zu sein.
Halde-Rungenberg-0038.jpg
Halde-Rungenberg-0038.jpg (129.6 KiB) 4311 mal betrachtet
Originalwert Bild aufgenommen am/um:
2020:05:03 11:12:00
Bild aufgenommen am/um:
So 3. Mai 2020, 09:12
Brennweite:
60 mm
Belichtungszeit:
1/80 Sek
Blendenwert:
f/8
ISO:
100
Weißabgleich:
Manuell
Blitz:
Blitz nicht ausgelöst, Erzwungener Blitzmodus
Kamera-Hersteller:
Canon
Kamera-Modell:
Canon EOS 600D
Belichtungsmodus:
Blendenvorwahl
Belichtungskorrektur:
-1/3 EV
Belichtungsmessung:
Muster
Koordinaten:
N 51 33.867925 0/ E 7 2.151975 0
Björn
Pâcome De Champignac
Neuling
Beiträge: 6
Registriert: Mo 4. Mai 2020, 18:51

Re: Phytoparasiten 29.4-3.5.2020

Ungelesener Beitrag von Pâcome De Champignac »

Hallo Bjoerns,
Wunderchöne Bilder !!
Ich habe noch keine grosse Erfahrung darin aber vielleicht könnte diese Gallen auf Ranunculus eine Entyloma sein ?
Freundliche Grüsse

Robin
Benutzeravatar
Harry
Administrator
Beiträge: 4719
Registriert: Mi 22. Dez 2004, 09:37
Kamera: Nikon D500
Nikon Z5
Olympus Tough TG-6
Pilzverein: Pilzfreunde Saar - Pfalz e.V.
Wohnort: Bexbach - Saarland
Kontaktdaten:

Re: Phytoparasiten 29.4-3.5.2020

Ungelesener Beitrag von Harry »

Hallo Björn,

ich kann mich Robin nur anschließen. Tolle Funde und Bildmaterial vom Feinsten.

:su:

Gruß
Harry
Dass man immer noch lernen kann ist herrlich, und auch dass man andere dazu braucht.
Benutzeravatar
Julia
Forums Gott
Beiträge: 2342
Registriert: Mo 7. Aug 2006, 19:23
Kamera: Olympus FE 120 +Panasonic LX 7
Wohnort: Barkelsby, Frankfurt a. Main
Kontaktdaten:

Re: Phytoparasiten 29.4-3.5.2020

Ungelesener Beitrag von Julia »

Lieber Björn,

wie vielen Dank fürs zeigen Deiner Funde :)

Diese kleinen Gällchen auf Ranunculus habe ich schon häufig gesehen. Es sind meiner Meinung nach Einstichstellen von Insekten mit schwacher Reaktion der Pflanze.

Dein Myosotis ist arvensis, Fruchtstiel recht lang und keine Hakenhaare auf dem Kelch.

Vom Linum brauch ich mehr Bilder; vor allem wie es in den Blüten aussieht und ob die Früchte später hängen oder nicht.

Liebe Grüße,
Jule
bjoerns
alter Hase
Beiträge: 532
Registriert: Mo 3. Sep 2018, 21:21
Kamera: Canon EOS 600D
Canon EF-S 60mm f/2.8 Macro USM
Motic Panthera C
Kontaktdaten:

Re: Phytoparasiten 29.4-3.5.2020

Ungelesener Beitrag von bjoerns »

Hallo zusammen,

dann sind das also quasi die Mückenstiche des Ranunculus ;)

Was den Linum angeht, schaue ich mal, ob ich da in nächster Zeit noch mal hinkomme. Ansonsten freue ich mich aber schon darüber, daß es hier überhaupt irgendwas aus der Gattung gibt.

Björn
Antworten