Waldfriedhof Duisburg 7.7.2020

Spezialforum zum Thema phytoparasitische Kleinpilze ( Rost, Brand, Mehltaupilze etc. ) und tierische Gallen an Wild.- und Nutzpflanzen. Forumsstart - 15.07.2006
bjoerns
alter Hase
Beiträge: 532
Registriert: Mo 3. Sep 2018, 21:21
Kamera: Canon EOS 600D
Canon EF-S 60mm f/2.8 Macro USM
Motic Panthera C
Kontaktdaten:

Waldfriedhof Duisburg 7.7.2020

Ungelesener Beitrag von bjoerns »

Hallo zusammen,

letzte Woche war ich einen Abend nach der Arbeit auf einer kleinen Runde im Waldfriedhof Duisburg. Auch dort gibt es natürlich den einen oder anderen Phytoparasiten, den ich euch hier zeigen möchte.

1. Ein gelber Korbblütler...aber welcher? Hieracium? Pilosella? Crepis? Konidien auf jeden Fall in Ketten und ohne Fibrosinkörper
Waldfriedhof Duisburg-0005.jpg
Waldfriedhof Duisburg-0005.jpg (365.42 KiB) 2794 mal betrachtet
Originalwert Bild aufgenommen am/um:
2020:07:07 18:37:56
Bild aufgenommen am/um:
Di 7. Jul 2020, 16:37
Brennweite:
60 mm
Belichtungszeit:
1/80 Sek
Blendenwert:
f/8
ISO:
400
Weißabgleich:
Manuell
Blitz:
Blitz nicht ausgelöst, Erzwungener Blitzmodus
Kamera-Hersteller:
Canon
Kamera-Modell:
Canon EOS 600D
Belichtungsmodus:
Blendenvorwahl
Belichtungskorrektur:
-1/3 EV
Belichtungsmessung:
Muster
Koordinaten:
N 51 23.680649 0/ E 6 45.789728 0
Waldfriedhof Duisburg-0006.jpg
Waldfriedhof Duisburg-0006.jpg (215.95 KiB) 2794 mal betrachtet
Originalwert Bild aufgenommen am/um:
2020:07:07 18:38:12
Bild aufgenommen am/um:
Di 7. Jul 2020, 16:38
Brennweite:
60 mm
Belichtungszeit:
1/100 Sek
Blendenwert:
f/8
ISO:
500
Weißabgleich:
Manuell
Blitz:
Blitz nicht ausgelöst, Erzwungener Blitzmodus
Kamera-Hersteller:
Canon
Kamera-Modell:
Canon EOS 600D
Belichtungsmodus:
Blendenvorwahl
Belichtungskorrektur:
-1/3 EV
Belichtungsmessung:
Muster
Koordinaten:
N 51 23.680649 0/ E 6 45.789728 0
Waldfriedhof Duisburg-0007.jpg
Waldfriedhof Duisburg-0007.jpg (233.27 KiB) 2794 mal betrachtet
Originalwert Bild aufgenommen am/um:
2020:07:07 18:38:18
Bild aufgenommen am/um:
Di 7. Jul 2020, 16:38
Brennweite:
60 mm
Belichtungszeit:
1/80 Sek
Blendenwert:
f/8
ISO:
500
Weißabgleich:
Manuell
Blitz:
Blitz nicht ausgelöst, Erzwungener Blitzmodus
Kamera-Hersteller:
Canon
Kamera-Modell:
Canon EOS 600D
Belichtungsmodus:
Blendenvorwahl
Belichtungskorrektur:
-1/3 EV
Belichtungsmessung:
Muster
Koordinaten:
N 51 23.680649 0/ E 6 45.789728 0
Waldfriedhof Duisburg-0053.jpg
Waldfriedhof Duisburg-0053.jpg (98.39 KiB) 2794 mal betrachtet
Originalwert Bild aufgenommen am/um:
2020:07:07 21:53:37
Bild aufgenommen am/um:
Di 7. Jul 2020, 19:53
Brennweite:
50 mm
Belichtungszeit:
1/500 Sek
Blendenwert:
f/0
ISO:
100
Weißabgleich:
Manuell
Blitz:
Blitz nicht ausgelöst, Erzwungener Blitzmodus
Kamera-Hersteller:
Canon
Kamera-Modell:
Canon EOS 600D
Belichtungsmodus:
Blendenvorwahl
Belichtungskorrektur:
1/1 EV
Belichtungsmessung:
Muster
Waldfriedhof Duisburg-0054.jpg
Waldfriedhof Duisburg-0054.jpg (76.15 KiB) 2794 mal betrachtet
Originalwert Bild aufgenommen am/um:
2020:07:07 21:54:36
Bild aufgenommen am/um:
Di 7. Jul 2020, 19:54
Brennweite:
50 mm
Belichtungszeit:
1/320 Sek
Blendenwert:
f/0
ISO:
100
Weißabgleich:
Manuell
Blitz:
Blitz nicht ausgelöst, Erzwungener Blitzmodus
Kamera-Hersteller:
Canon
Kamera-Modell:
Canon EOS 600D
Belichtungsmodus:
Blendenvorwahl
Belichtungskorrektur:
1/1 EV
Belichtungsmessung:
Muster
Waldfriedhof Duisburg-0055.jpg
Waldfriedhof Duisburg-0055.jpg (103.58 KiB) 2794 mal betrachtet
Originalwert Bild aufgenommen am/um:
2020:07:07 21:54:56
Bild aufgenommen am/um:
Di 7. Jul 2020, 19:54
Brennweite:
50 mm
Belichtungszeit:
1/320 Sek
Blendenwert:
f/0
ISO:
100
Weißabgleich:
Manuell
Blitz:
Blitz nicht ausgelöst, Erzwungener Blitzmodus
Kamera-Hersteller:
Canon
Kamera-Modell:
Canon EOS 600D
Belichtungsmodus:
Blendenvorwahl
Belichtungskorrektur:
1/1 EV
Belichtungsmessung:
Muster
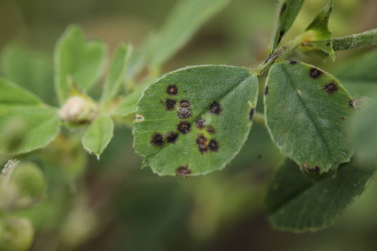
2. Pseudopeziza medicaginis ex Medicago lupulina
Waldfriedhof Duisburg-0011.jpg
Waldfriedhof Duisburg-0011.jpg (114.82 KiB) 2794 mal betrachtet
Originalwert Bild aufgenommen am/um:
2020:07:07 18:51:45
Bild aufgenommen am/um:
Di 7. Jul 2020, 16:51
Brennweite:
60 mm
Belichtungszeit:
1/100 Sek
Blendenwert:
f/8
ISO:
1250
Weißabgleich:
Manuell
Blitz:
Blitz nicht ausgelöst, Erzwungener Blitzmodus
Kamera-Hersteller:
Canon
Kamera-Modell:
Canon EOS 600D
Belichtungsmodus:
Blendenvorwahl
Belichtungskorrektur:
-1/3 EV
Belichtungsmessung:
Muster
Koordinaten:
N 51 23.622007 0/ E 6 45.823846 0
Waldfriedhof Duisburg-0012.jpg
Waldfriedhof Duisburg-0012.jpg (93.26 KiB) 2794 mal betrachtet
Originalwert Bild aufgenommen am/um:
2020:07:07 18:51:58
Bild aufgenommen am/um:
Di 7. Jul 2020, 16:51
Brennweite:
60 mm
Belichtungszeit:
1/80 Sek
Blendenwert:
f/8
ISO:
1000
Weißabgleich:
Manuell
Blitz:
Blitz nicht ausgelöst, Erzwungener Blitzmodus
Kamera-Hersteller:
Canon
Kamera-Modell:
Canon EOS 600D
Belichtungsmodus:
Blendenvorwahl
Belichtungskorrektur:
-1/3 EV
Belichtungsmessung:
Muster
Koordinaten:
N 51 23.622007 0/ E 6 45.823846 0
Waldfriedhof Duisburg-0013.jpg
Waldfriedhof Duisburg-0013.jpg (80.88 KiB) 2794 mal betrachtet
Originalwert Bild aufgenommen am/um:
2020:07:07 18:52:05
Bild aufgenommen am/um:
Di 7. Jul 2020, 16:52
Brennweite:
60 mm
Belichtungszeit:
1/80 Sek
Blendenwert:
f/8
ISO:
640
Weißabgleich:
Manuell
Blitz:
Blitz nicht ausgelöst, Erzwungener Blitzmodus
Kamera-Hersteller:
Canon
Kamera-Modell:
Canon EOS 600D
Belichtungsmodus:
Blendenvorwahl
Belichtungskorrektur:
-1/3 EV
Belichtungsmessung:
Muster
Koordinaten:
N 51 23.622007 0/ E 6 45.823846 0
Waldfriedhof Duisburg-0056.jpg
Waldfriedhof Duisburg-0056.jpg (169.06 KiB) 2794 mal betrachtet
Originalwert Bild aufgenommen am/um:
2020:07:07 22:01:04
Bild aufgenommen am/um:
Di 7. Jul 2020, 20:01
Brennweite:
50 mm
Belichtungszeit:
1/320 Sek
Blendenwert:
f/0
ISO:
100
Weißabgleich:
Manuell
Blitz:
Blitz nicht ausgelöst, Erzwungener Blitzmodus
Kamera-Hersteller:
Canon
Kamera-Modell:
Canon EOS 600D
Belichtungsmodus:
Blendenvorwahl
Belichtungskorrektur:
1/1 EV
Belichtungsmessung:
Muster
Waldfriedhof Duisburg-0057.jpg
Waldfriedhof Duisburg-0057.jpg (150.91 KiB) 2794 mal betrachtet
Originalwert Bild aufgenommen am/um:
2020:07:07 22:01:29
Bild aufgenommen am/um:
Di 7. Jul 2020, 20:01
Brennweite:
50 mm
Belichtungszeit:
1/250 Sek
Blendenwert:
f/0
ISO:
100
Weißabgleich:
Manuell
Blitz:
Blitz nicht ausgelöst, Erzwungener Blitzmodus
Kamera-Hersteller:
Canon
Kamera-Modell:
Canon EOS 600D
Belichtungsmodus:
Blendenvorwahl
Belichtungskorrektur:
1/1 EV
Belichtungsmessung:
Muster
Waldfriedhof Duisburg-0058.jpg
Waldfriedhof Duisburg-0058.jpg (109.76 KiB) 2794 mal betrachtet
Originalwert Bild aufgenommen am/um:
2020:07:07 22:03:34
Bild aufgenommen am/um:
Di 7. Jul 2020, 20:03
Brennweite:
50 mm
Belichtungszeit:
1/250 Sek
Blendenwert:
f/0
ISO:
100
Weißabgleich:
Manuell
Blitz:
Blitz nicht ausgelöst, Erzwungener Blitzmodus
Kamera-Hersteller:
Canon
Kamera-Modell:
Canon EOS 600D
Belichtungsmodus:
Blendenvorwahl
Belichtungskorrektur:
1/1 EV
Belichtungsmessung:
Muster
Waldfriedhof Duisburg-0059.jpg
Waldfriedhof Duisburg-0059.jpg (156.06 KiB) 2794 mal betrachtet
Originalwert Bild aufgenommen am/um:
2020:07:07 22:08:29
Bild aufgenommen am/um:
Di 7. Jul 2020, 20:08
Brennweite:
50 mm
Belichtungszeit:
1/250 Sek
Blendenwert:
f/0
ISO:
100
Weißabgleich:
Manuell
Blitz:
Blitz nicht ausgelöst, Erzwungener Blitzmodus
Kamera-Hersteller:
Canon
Kamera-Modell:
Canon EOS 600D
Belichtungsmodus:
Blendenvorwahl
Belichtungskorrektur:
1/1 EV
Belichtungsmessung:
Muster
Waldfriedhof Duisburg-0060.jpg
Waldfriedhof Duisburg-0060.jpg (143.61 KiB) 2794 mal betrachtet
Originalwert Bild aufgenommen am/um:
2020:07:07 22:10:25
Bild aufgenommen am/um:
Di 7. Jul 2020, 20:10
Brennweite:
50 mm
Belichtungszeit:
1/250 Sek
Blendenwert:
f/0
ISO:
100
Weißabgleich:
Manuell
Blitz:
Blitz nicht ausgelöst, Erzwungener Blitzmodus
Kamera-Hersteller:
Canon
Kamera-Modell:
Canon EOS 600D
Belichtungsmodus:
Blendenvorwahl
Belichtungskorrektur:
1/1 EV
Belichtungsmessung:
Muster
3. Ein falscher Mehltau auf Trifolium. Aber welcher? Eventuell T. hybridum? Leider blühte dieser Klee nicht - nur der nicht befallene T. incarnatum hatte Blüten. Den kann ich mit seinen haarigen Blättern aber hier ausschließen.
Waldfriedhof Duisburg-0018.jpg
Waldfriedhof Duisburg-0018.jpg (161.51 KiB) 2794 mal betrachtet
Originalwert Bild aufgenommen am/um:
2020:07:07 19:09:49
Bild aufgenommen am/um:
Di 7. Jul 2020, 17:09
Brennweite:
60 mm
Belichtungszeit:
1/100 Sek
Blendenwert:
f/8
ISO:
640
Weißabgleich:
Manuell
Blitz:
Blitz nicht ausgelöst, Erzwungener Blitzmodus
Kamera-Hersteller:
Canon
Kamera-Modell:
Canon EOS 600D
Belichtungsmodus:
Blendenvorwahl
Belichtungskorrektur:
-1/3 EV
Belichtungsmessung:
Muster
Koordinaten:
N 51 23.588668 0/ E 6 45.870838 0
Waldfriedhof Duisburg-0020.jpg
Waldfriedhof Duisburg-0020.jpg (119.3 KiB) 2794 mal betrachtet
Originalwert Bild aufgenommen am/um:
2020:07:07 19:11:02
Bild aufgenommen am/um:
Di 7. Jul 2020, 17:11
Brennweite:
60 mm
Belichtungszeit:
1/100 Sek
Blendenwert:
f/8
ISO:
800
Weißabgleich:
Manuell
Blitz:
Blitz nicht ausgelöst, Erzwungener Blitzmodus
Kamera-Hersteller:
Canon
Kamera-Modell:
Canon EOS 600D
Belichtungsmodus:
Blendenvorwahl
Belichtungskorrektur:
-1/3 EV
Belichtungsmessung:
Muster
Koordinaten:
N 51 23.588668 0/ E 6 45.870838 0
Waldfriedhof Duisburg-0021.jpg
Waldfriedhof Duisburg-0021.jpg (132.65 KiB) 2794 mal betrachtet
Originalwert Bild aufgenommen am/um:
2020:07:07 19:11:15
Bild aufgenommen am/um:
Di 7. Jul 2020, 17:11
Brennweite:
60 mm
Belichtungszeit:
1/100 Sek
Blendenwert:
f/8
ISO:
640
Weißabgleich:
Manuell
Blitz:
Blitz nicht ausgelöst, Erzwungener Blitzmodus
Kamera-Hersteller:
Canon
Kamera-Modell:
Canon EOS 600D
Belichtungsmodus:
Blendenvorwahl
Belichtungskorrektur:
-1/3 EV
Belichtungsmessung:
Muster
Koordinaten:
N 51 23.588668 0/ E 6 45.870838 0
Waldfriedhof Duisburg-0022.jpg
Waldfriedhof Duisburg-0022.jpg (294.22 KiB) 2794 mal betrachtet
Originalwert Bild aufgenommen am/um:
2020:07:07 19:11:31
Bild aufgenommen am/um:
Di 7. Jul 2020, 17:11
Brennweite:
60 mm
Belichtungszeit:
1/80 Sek
Blendenwert:
f/8
ISO:
250
Weißabgleich:
Manuell
Blitz:
Blitz nicht ausgelöst, Erzwungener Blitzmodus
Kamera-Hersteller:
Canon
Kamera-Modell:
Canon EOS 600D
Belichtungsmodus:
Blendenvorwahl
Belichtungskorrektur:
-1/3 EV
Belichtungsmessung:
Muster
Koordinaten:
N 51 23.588668 0/ E 6 45.870838 0
Waldfriedhof Duisburg-0044.jpg
Waldfriedhof Duisburg-0044.jpg (166.97 KiB) 2794 mal betrachtet
Originalwert Bild aufgenommen am/um:
2020:07:07 21:40:16
Bild aufgenommen am/um:
Di 7. Jul 2020, 19:40
Brennweite:
50 mm
Belichtungszeit:
1/500 Sek
Blendenwert:
f/0
ISO:
100
Weißabgleich:
Manuell
Blitz:
Blitz nicht ausgelöst, Erzwungener Blitzmodus
Kamera-Hersteller:
Canon
Kamera-Modell:
Canon EOS 600D
Belichtungsmodus:
Blendenvorwahl
Belichtungskorrektur:
1/1 EV
Belichtungsmessung:
Muster
Waldfriedhof Duisburg-0045.jpg
Waldfriedhof Duisburg-0045.jpg (168.92 KiB) 2794 mal betrachtet
Originalwert Bild aufgenommen am/um:
2020:07:07 21:40:30
Bild aufgenommen am/um:
Di 7. Jul 2020, 19:40
Brennweite:
50 mm
Belichtungszeit:
1/500 Sek
Blendenwert:
f/0
ISO:
100
Weißabgleich:
Manuell
Blitz:
Blitz nicht ausgelöst, Erzwungener Blitzmodus
Kamera-Hersteller:
Canon
Kamera-Modell:
Canon EOS 600D
Belichtungsmodus:
Blendenvorwahl
Belichtungskorrektur:
1/1 EV
Belichtungsmessung:
Muster
Waldfriedhof Duisburg-0046.jpg
Waldfriedhof Duisburg-0046.jpg (215.64 KiB) 2794 mal betrachtet
Originalwert Bild aufgenommen am/um:
2020:07:07 21:40:54
Bild aufgenommen am/um:
Di 7. Jul 2020, 19:40
Brennweite:
50 mm
Belichtungszeit:
1/500 Sek
Blendenwert:
f/0
ISO:
100
Weißabgleich:
Manuell
Blitz:
Blitz nicht ausgelöst, Erzwungener Blitzmodus
Kamera-Hersteller:
Canon
Kamera-Modell:
Canon EOS 600D
Belichtungsmodus:
Blendenvorwahl
Belichtungskorrektur:
1/1 EV
Belichtungsmessung:
Muster
Waldfriedhof Duisburg-0047.jpg
Waldfriedhof Duisburg-0047.jpg (75.68 KiB) 2794 mal betrachtet
Originalwert Bild aufgenommen am/um:
2020:07:07 21:41:35
Bild aufgenommen am/um:
Di 7. Jul 2020, 19:41
Brennweite:
50 mm
Belichtungszeit:
1/400 Sek
Blendenwert:
f/0
ISO:
100
Weißabgleich:
Manuell
Blitz:
Blitz nicht ausgelöst, Erzwungener Blitzmodus
Kamera-Hersteller:
Canon
Kamera-Modell:
Canon EOS 600D
Belichtungsmodus:
Blendenvorwahl
Belichtungskorrektur:
1/1 EV
Belichtungsmessung:
Muster
Waldfriedhof Duisburg-0048.jpg
Waldfriedhof Duisburg-0048.jpg (179.47 KiB) 2794 mal betrachtet
Originalwert Bild aufgenommen am/um:
2020:07:07 21:41:49
Bild aufgenommen am/um:
Di 7. Jul 2020, 19:41
Brennweite:
50 mm
Belichtungszeit:
1/320 Sek
Blendenwert:
f/0
ISO:
100
Weißabgleich:
Manuell
Blitz:
Blitz nicht ausgelöst, Erzwungener Blitzmodus
Kamera-Hersteller:
Canon
Kamera-Modell:
Canon EOS 600D
Belichtungsmodus:
Blendenvorwahl
Belichtungskorrektur:
1/1 EV
Belichtungsmessung:
Muster
Waldfriedhof Duisburg-0049.jpg
Waldfriedhof Duisburg-0049.jpg (169.84 KiB) 2794 mal betrachtet
Originalwert Bild aufgenommen am/um:
2020:07:07 21:42:23
Bild aufgenommen am/um:
Di 7. Jul 2020, 19:42
Brennweite:
50 mm
Belichtungszeit:
1/320 Sek
Blendenwert:
f/0
ISO:
100
Weißabgleich:
Manuell
Blitz:
Blitz nicht ausgelöst, Erzwungener Blitzmodus
Kamera-Hersteller:
Canon
Kamera-Modell:
Canon EOS 600D
Belichtungsmodus:
Blendenvorwahl
Belichtungskorrektur:
1/1 EV
Belichtungsmessung:
Muster
4. Golovinomyces macrocarpus ex Matricaria chamomilla
Waldfriedhof Duisburg-0023.jpg
Waldfriedhof Duisburg-0023.jpg (127.82 KiB) 2794 mal betrachtet
Originalwert Bild aufgenommen am/um:
2020:07:07 19:17:53
Bild aufgenommen am/um:
Di 7. Jul 2020, 17:17
Brennweite:
60 mm
Belichtungszeit:
1/80 Sek
Blendenwert:
f/8
ISO:
400
Weißabgleich:
Manuell
Blitz:
Blitz nicht ausgelöst, Erzwungener Blitzmodus
Kamera-Hersteller:
Canon
Kamera-Modell:
Canon EOS 600D
Belichtungsmodus:
Blendenvorwahl
Belichtungskorrektur:
-1/3 EV
Belichtungsmessung:
Muster
Koordinaten:
N 51 23.588668 0/ E 6 45.870838 0
Waldfriedhof Duisburg-0024.jpg
Waldfriedhof Duisburg-0024.jpg (218.66 KiB) 2794 mal betrachtet
Originalwert Bild aufgenommen am/um:
2020:07:07 19:18:03
Bild aufgenommen am/um:
Di 7. Jul 2020, 17:18
Brennweite:
60 mm
Belichtungszeit:
1/100 Sek
Blendenwert:
f/8
ISO:
320
Weißabgleich:
Manuell
Blitz:
Blitz nicht ausgelöst, Erzwungener Blitzmodus
Kamera-Hersteller:
Canon
Kamera-Modell:
Canon EOS 600D
Belichtungsmodus:
Blendenvorwahl
Belichtungskorrektur:
-1/3 EV
Belichtungsmessung:
Muster
Koordinaten:
N 51 23.588668 0/ E 6 45.870838 0
Waldfriedhof Duisburg-0025.jpg
Waldfriedhof Duisburg-0025.jpg (129.07 KiB) 2794 mal betrachtet
Originalwert Bild aufgenommen am/um:
2020:07:07 19:18:27
Bild aufgenommen am/um:
Di 7. Jul 2020, 17:18
Brennweite:
60 mm
Belichtungszeit:
1/100 Sek
Blendenwert:
f/8
ISO:
640
Weißabgleich:
Manuell
Blitz:
Blitz nicht ausgelöst, Erzwungener Blitzmodus
Kamera-Hersteller:
Canon
Kamera-Modell:
Canon EOS 600D
Belichtungsmodus:
Blendenvorwahl
Belichtungskorrektur:
-1/3 EV
Belichtungsmessung:
Muster
Koordinaten:
N 51 23.588668 0/ E 6 45.870838 0
Waldfriedhof Duisburg-0027.jpg
Waldfriedhof Duisburg-0027.jpg (131.98 KiB) 2794 mal betrachtet
Originalwert Bild aufgenommen am/um:
2020:07:07 19:18:30
Bild aufgenommen am/um:
Di 7. Jul 2020, 17:18
Brennweite:
60 mm
Belichtungszeit:
1/100 Sek
Blendenwert:
f/8
ISO:
640
Weißabgleich:
Manuell
Blitz:
Blitz nicht ausgelöst, Erzwungener Blitzmodus
Kamera-Hersteller:
Canon
Kamera-Modell:
Canon EOS 600D
Belichtungsmodus:
Blendenvorwahl
Belichtungskorrektur:
-1/3 EV
Belichtungsmessung:
Muster
Koordinaten:
N 51 23.588668 0/ E 6 45.870838 0
Waldfriedhof Duisburg-0050.jpg
Waldfriedhof Duisburg-0050.jpg (181.6 KiB) 2794 mal betrachtet
Originalwert Bild aufgenommen am/um:
2020:07:07 21:47:25
Bild aufgenommen am/um:
Di 7. Jul 2020, 19:47
Brennweite:
50 mm
Belichtungszeit:
1/640 Sek
Blendenwert:
f/0
ISO:
100
Weißabgleich:
Manuell
Blitz:
Blitz nicht ausgelöst, Erzwungener Blitzmodus
Kamera-Hersteller:
Canon
Kamera-Modell:
Canon EOS 600D
Belichtungsmodus:
Blendenvorwahl
Belichtungskorrektur:
1/1 EV
Belichtungsmessung:
Muster
Waldfriedhof Duisburg-0051.jpg
Waldfriedhof Duisburg-0051.jpg (170.02 KiB) 2794 mal betrachtet
Originalwert Bild aufgenommen am/um:
2020:07:07 21:47:42
Bild aufgenommen am/um:
Di 7. Jul 2020, 19:47
Brennweite:
50 mm
Belichtungszeit:
1/640 Sek
Blendenwert:
f/0
ISO:
100
Weißabgleich:
Manuell
Blitz:
Blitz nicht ausgelöst, Erzwungener Blitzmodus
Kamera-Hersteller:
Canon
Kamera-Modell:
Canon EOS 600D
Belichtungsmodus:
Blendenvorwahl
Belichtungskorrektur:
1/1 EV
Belichtungsmessung:
Muster
Teil 2 folgt sofort...
bjoerns
alter Hase
Beiträge: 532
Registriert: Mo 3. Sep 2018, 21:21
Kamera: Canon EOS 600D
Canon EF-S 60mm f/2.8 Macro USM
Motic Panthera C
Kontaktdaten:

Re: Waldfriedhof Duisburg 7.7.2020

Ungelesener Beitrag von bjoerns »

Waldfriedhof Duisburg-0052.jpg
Waldfriedhof Duisburg-0052.jpg (165.02 KiB) 2793 mal betrachtet
Originalwert Bild aufgenommen am/um:
2020:07:07 21:48:50
Bild aufgenommen am/um:
Di 7. Jul 2020, 19:48
Brennweite:
50 mm
Belichtungszeit:
1/320 Sek
Blendenwert:
f/0
ISO:
100
Weißabgleich:
Manuell
Blitz:
Blitz nicht ausgelöst, Erzwungener Blitzmodus
Kamera-Hersteller:
Canon
Kamera-Modell:
Canon EOS 600D
Belichtungsmodus:
Blendenvorwahl
Belichtungskorrektur:
1/1 EV
Belichtungsmessung:
Muster
5. Puccinia punctata ex Galium mollugo agg. im Massenbestand und seinem Namen alle Ehre machend
Waldfriedhof Duisburg-0028.jpg
Waldfriedhof Duisburg-0028.jpg (197.8 KiB) 2793 mal betrachtet
Originalwert Bild aufgenommen am/um:
2020:07:07 19:27:53
Bild aufgenommen am/um:
Di 7. Jul 2020, 17:27
Brennweite:
60 mm
Belichtungszeit:
1/80 Sek
Blendenwert:
f/8
ISO:
400
Weißabgleich:
Manuell
Blitz:
Blitz nicht ausgelöst, Erzwungener Blitzmodus
Kamera-Hersteller:
Canon
Kamera-Modell:
Canon EOS 600D
Belichtungsmodus:
Blendenvorwahl
Belichtungskorrektur:
-1/3 EV
Belichtungsmessung:
Muster
Koordinaten:
N 51 23.652935 0/ E 6 46.013102 0
Waldfriedhof Duisburg-0029.jpg
Waldfriedhof Duisburg-0029.jpg (133.73 KiB) 2793 mal betrachtet
Originalwert Bild aufgenommen am/um:
2020:07:07 19:28:22
Bild aufgenommen am/um:
Di 7. Jul 2020, 17:28
Brennweite:
60 mm
Belichtungszeit:
1/100 Sek
Blendenwert:
f/8
ISO:
1000
Weißabgleich:
Manuell
Blitz:
Blitz nicht ausgelöst, Erzwungener Blitzmodus
Kamera-Hersteller:
Canon
Kamera-Modell:
Canon EOS 600D
Belichtungsmodus:
Blendenvorwahl
Belichtungskorrektur:
-1/3 EV
Belichtungsmessung:
Muster
Koordinaten:
N 51 23.652935 0/ E 6 46.013102 0
Waldfriedhof Duisburg-0030.jpg
Waldfriedhof Duisburg-0030.jpg (131.85 KiB) 2793 mal betrachtet
Originalwert Bild aufgenommen am/um:
2020:07:07 19:29:53
Bild aufgenommen am/um:
Di 7. Jul 2020, 17:29
Brennweite:
60 mm
Belichtungszeit:
1/80 Sek
Blendenwert:
f/8
ISO:
800
Weißabgleich:
Manuell
Blitz:
Blitz nicht ausgelöst, Erzwungener Blitzmodus
Kamera-Hersteller:
Canon
Kamera-Modell:
Canon EOS 600D
Belichtungsmodus:
Blendenvorwahl
Belichtungskorrektur:
-1/3 EV
Belichtungsmessung:
Muster
Koordinaten:
N 51 23.652935 0/ E 6 46.013102 0
Björn
Benutzeravatar
Julia
Forums Gott
Beiträge: 2342
Registriert: Mo 7. Aug 2006, 19:23
Kamera: Olympus FE 120 +Panasonic LX 7
Wohnort: Barkelsby, Frankfurt a. Main
Kontaktdaten:

Re: Waldfriedhof Duisburg 7.7.2020

Ungelesener Beitrag von Julia »

Lieber Björn,

vielen Dank fürs zeigen :)

Der gelbe Korbblütler ist Hieracium.

Liebe Grüße,
Jule
Antworten