Rotbachtal 11.7.2020

Spezialforum zum Thema phytoparasitische Kleinpilze ( Rost, Brand, Mehltaupilze etc. ) und tierische Gallen an Wild.- und Nutzpflanzen. Forumsstart - 15.07.2006
bjoerns
alter Hase
Beiträge: 532
Registriert: Mo 3. Sep 2018, 21:21
Kamera: Canon EOS 600D
Canon EF-S 60mm f/2.8 Macro USM
Motic Panthera C
Kontaktdaten:

Rotbachtal 11.7.2020

Ungelesener Beitrag von bjoerns »

Hallo zusammen,

auch am letzten Wochenende war ich noch mal im Rotbachtal unterwegs und auch diesmal waren die Großpilze eher rar gesät, so daß ich mich ausgiebig den Phytos widmen konnte.

1. Uromyces valerianae ex Valeriana officinalis agg.
Rotbach-0001.jpg
Rotbach-0001.jpg (228.67 KiB) 2859 mal betrachtet
Originalwert Bild aufgenommen am/um:
2020:07:11 09:51:38
Bild aufgenommen am/um:
Sa 11. Jul 2020, 07:51
Brennweite:
60 mm
Belichtungszeit:
1/80 Sek
Blendenwert:
f/8
ISO:
640
Weißabgleich:
Manuell
Blitz:
Blitz nicht ausgelöst, Erzwungener Blitzmodus
Kamera-Hersteller:
Canon
Kamera-Modell:
Canon EOS 600D
Belichtungsmodus:
Blendenvorwahl
Belichtungskorrektur:
-1/3 EV
Belichtungsmessung:
Muster
Koordinaten:
N 51 34.556081 0/ E 6 48.015743 0
Rotbach-0002.jpg
Rotbach-0002.jpg (159.17 KiB) 2859 mal betrachtet
Originalwert Bild aufgenommen am/um:
2020:07:11 09:51:54
Bild aufgenommen am/um:
Sa 11. Jul 2020, 07:51
Brennweite:
60 mm
Belichtungszeit:
1/80 Sek
Blendenwert:
f/8
ISO:
800
Weißabgleich:
Manuell
Blitz:
Blitz nicht ausgelöst, Erzwungener Blitzmodus
Kamera-Hersteller:
Canon
Kamera-Modell:
Canon EOS 600D
Belichtungsmodus:
Blendenvorwahl
Belichtungskorrektur:
-1/3 EV
Belichtungsmessung:
Muster
Koordinaten:
N 51 34.556081 0/ E 6 48.015743 0
Rotbach-0003.jpg
Rotbach-0003.jpg (173.77 KiB) 2859 mal betrachtet
Originalwert Bild aufgenommen am/um:
2020:07:11 09:52:39
Bild aufgenommen am/um:
Sa 11. Jul 2020, 07:52
Brennweite:
60 mm
Belichtungszeit:
1/100 Sek
Blendenwert:
f/8
ISO:
2000
Weißabgleich:
Manuell
Blitz:
Blitz nicht ausgelöst, Erzwungener Blitzmodus
Kamera-Hersteller:
Canon
Kamera-Modell:
Canon EOS 600D
Belichtungsmodus:
Blendenvorwahl
Belichtungskorrektur:
-1/3 EV
Belichtungsmessung:
Muster
Koordinaten:
N 51 34.556081 0/ E 6 48.015743 0
Rotbach-0004.jpg
Rotbach-0004.jpg (179.7 KiB) 2859 mal betrachtet
Originalwert Bild aufgenommen am/um:
2020:07:11 09:52:49
Bild aufgenommen am/um:
Sa 11. Jul 2020, 07:52
Brennweite:
60 mm
Belichtungszeit:
1/80 Sek
Blendenwert:
f/8
ISO:
2000
Weißabgleich:
Manuell
Blitz:
Blitz nicht ausgelöst, Erzwungener Blitzmodus
Kamera-Hersteller:
Canon
Kamera-Modell:
Canon EOS 600D
Belichtungsmodus:
Blendenvorwahl
Belichtungskorrektur:
-1/3 EV
Belichtungsmessung:
Muster
Koordinaten:
N 51 34.556081 0/ E 6 48.015743 0
Rotbach-0005.jpg
Rotbach-0005.jpg (246.37 KiB) 2859 mal betrachtet
Originalwert Bild aufgenommen am/um:
2020:07:11 09:53:03
Bild aufgenommen am/um:
Sa 11. Jul 2020, 07:53
Brennweite:
60 mm
Belichtungszeit:
1/100 Sek
Blendenwert:
f/8
ISO:
2000
Weißabgleich:
Manuell
Blitz:
Blitz nicht ausgelöst, Erzwungener Blitzmodus
Kamera-Hersteller:
Canon
Kamera-Modell:
Canon EOS 600D
Belichtungsmodus:
Blendenvorwahl
Belichtungskorrektur:
-1/3 EV
Belichtungsmessung:
Muster
Koordinaten:
N 51 34.556081 0/ E 6 48.015743 0
Rotbach-0029.jpg
Rotbach-0029.jpg (241.19 KiB) 2859 mal betrachtet
Originalwert Bild aufgenommen am/um:
2020:07:11 18:08:45
Bild aufgenommen am/um:
Sa 11. Jul 2020, 16:08
Brennweite:
50 mm
Belichtungszeit:
1/500 Sek
Blendenwert:
f/0
ISO:
100
Weißabgleich:
Manuell
Blitz:
Blitz nicht ausgelöst, Erzwungener Blitzmodus
Kamera-Hersteller:
Canon
Kamera-Modell:
Canon EOS 600D
Belichtungsmodus:
Blendenvorwahl
Belichtungskorrektur:
1/1 EV
Belichtungsmessung:
Muster
Rotbach-0030.jpg
Rotbach-0030.jpg (186.08 KiB) 2859 mal betrachtet
Originalwert Bild aufgenommen am/um:
2020:07:11 18:08:54
Bild aufgenommen am/um:
Sa 11. Jul 2020, 16:08
Brennweite:
50 mm
Belichtungszeit:
1/500 Sek
Blendenwert:
f/0
ISO:
100
Weißabgleich:
Manuell
Blitz:
Blitz nicht ausgelöst, Erzwungener Blitzmodus
Kamera-Hersteller:
Canon
Kamera-Modell:
Canon EOS 600D
Belichtungsmodus:
Blendenvorwahl
Belichtungskorrektur:
1/1 EV
Belichtungsmessung:
Muster
Rotbach-0031.jpg
Rotbach-0031.jpg (210.43 KiB) 2859 mal betrachtet
Originalwert Bild aufgenommen am/um:
2020:07:11 18:09:45
Bild aufgenommen am/um:
Sa 11. Jul 2020, 16:09
Brennweite:
50 mm
Belichtungszeit:
1/160 Sek
Blendenwert:
f/0
ISO:
100
Weißabgleich:
Manuell
Blitz:
Blitz nicht ausgelöst, Erzwungener Blitzmodus
Kamera-Hersteller:
Canon
Kamera-Modell:
Canon EOS 600D
Belichtungsmodus:
Blendenvorwahl
Belichtungskorrektur:
1/1 EV
Belichtungsmessung:
Muster
Rotbach-0032.jpg
Rotbach-0032.jpg (151.47 KiB) 2859 mal betrachtet
Originalwert Bild aufgenommen am/um:
2020:07:11 18:09:57
Bild aufgenommen am/um:
Sa 11. Jul 2020, 16:09
Brennweite:
50 mm
Belichtungszeit:
1/160 Sek
Blendenwert:
f/0
ISO:
100
Weißabgleich:
Manuell
Blitz:
Blitz nicht ausgelöst, Erzwungener Blitzmodus
Kamera-Hersteller:
Canon
Kamera-Modell:
Canon EOS 600D
Belichtungsmodus:
Blendenvorwahl
Belichtungskorrektur:
1/1 EV
Belichtungsmessung:
Muster
Rotbach-0033.jpg
Rotbach-0033.jpg (154.3 KiB) 2859 mal betrachtet
Originalwert Bild aufgenommen am/um:
2020:07:11 18:10:07
Bild aufgenommen am/um:
Sa 11. Jul 2020, 16:10
Brennweite:
50 mm
Belichtungszeit:
1/160 Sek
Blendenwert:
f/0
ISO:
100
Weißabgleich:
Manuell
Blitz:
Blitz nicht ausgelöst, Erzwungener Blitzmodus
Kamera-Hersteller:
Canon
Kamera-Modell:
Canon EOS 600D
Belichtungsmodus:
Blendenvorwahl
Belichtungskorrektur:
1/1 EV
Belichtungsmessung:
Muster
Rotbach-0034.jpg
Rotbach-0034.jpg (206.01 KiB) 2859 mal betrachtet
Originalwert Bild aufgenommen am/um:
2020:07:11 18:10:16
Bild aufgenommen am/um:
Sa 11. Jul 2020, 16:10
Brennweite:
50 mm
Belichtungszeit:
1/160 Sek
Blendenwert:
f/0
ISO:
100
Weißabgleich:
Manuell
Blitz:
Blitz nicht ausgelöst, Erzwungener Blitzmodus
Kamera-Hersteller:
Canon
Kamera-Modell:
Canon EOS 600D
Belichtungsmodus:
Blendenvorwahl
Belichtungskorrektur:
1/1 EV
Belichtungsmessung:
Muster
Rotbach-0035.jpg
Rotbach-0035.jpg (143.13 KiB) 2859 mal betrachtet
Originalwert Bild aufgenommen am/um:
2020:07:11 18:10:35
Bild aufgenommen am/um:
Sa 11. Jul 2020, 16:10
Brennweite:
50 mm
Belichtungszeit:
1/160 Sek
Blendenwert:
f/0
ISO:
100
Weißabgleich:
Manuell
Blitz:
Blitz nicht ausgelöst, Erzwungener Blitzmodus
Kamera-Hersteller:
Canon
Kamera-Modell:
Canon EOS 600D
Belichtungsmodus:
Blendenvorwahl
Belichtungskorrektur:
1/1 EV
Belichtungsmessung:
Muster
Rotbach-0036.jpg
Rotbach-0036.jpg (205.42 KiB) 2859 mal betrachtet
Originalwert Bild aufgenommen am/um:
2020:07:11 18:10:43
Bild aufgenommen am/um:
Sa 11. Jul 2020, 16:10
Brennweite:
50 mm
Belichtungszeit:
1/160 Sek
Blendenwert:
f/0
ISO:
100
Weißabgleich:
Manuell
Blitz:
Blitz nicht ausgelöst, Erzwungener Blitzmodus
Kamera-Hersteller:
Canon
Kamera-Modell:
Canon EOS 600D
Belichtungsmodus:
Blendenvorwahl
Belichtungskorrektur:
1/1 EV
Belichtungsmessung:
Muster
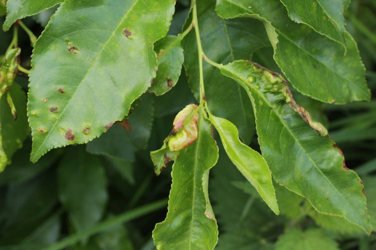
2. Taphrina farlowii ex Prunus serotina
Rotbach-0006.jpg
Rotbach-0006.jpg (151.21 KiB) 2859 mal betrachtet
Originalwert Bild aufgenommen am/um:
2020:07:11 10:23:54
Bild aufgenommen am/um:
Sa 11. Jul 2020, 08:23
Brennweite:
60 mm
Belichtungszeit:
1/100 Sek
Blendenwert:
f/8
ISO:
640
Weißabgleich:
Manuell
Blitz:
Blitz nicht ausgelöst, Erzwungener Blitzmodus
Kamera-Hersteller:
Canon
Kamera-Modell:
Canon EOS 600D
Belichtungsmodus:
Blendenvorwahl
Belichtungskorrektur:
-1/3 EV
Belichtungsmessung:
Muster
Koordinaten:
N 51 34.601495 0/ E 6 49.621664 0
3. Puccinia coronata ex Festuca gigantea. Ich war mir im Feld schon relativ sicher mit der Ansprache, wegen des "Corona-Gelbs" und das hat sich dann auch mikroskopisch mit dünnwandigen Paraphysen bestätigt.
Rotbach-0007.jpg
Rotbach-0007.jpg (327.08 KiB) 2859 mal betrachtet
Originalwert Bild aufgenommen am/um:
2020:07:11 10:28:30
Bild aufgenommen am/um:
Sa 11. Jul 2020, 08:28
Brennweite:
60 mm
Belichtungszeit:
1/100 Sek
Blendenwert:
f/8
ISO:
2500
Weißabgleich:
Manuell
Blitz:
Blitz nicht ausgelöst, Erzwungener Blitzmodus
Kamera-Hersteller:
Canon
Kamera-Modell:
Canon EOS 600D
Belichtungsmodus:
Blendenvorwahl
Belichtungskorrektur:
-1/3 EV
Belichtungsmessung:
Muster
Koordinaten:
N 51 34.64658 0/ E 6 49.739848 0
Rotbach-0008.jpg
Rotbach-0008.jpg (152.01 KiB) 2859 mal betrachtet
Originalwert Bild aufgenommen am/um:
2020:07:11 10:28:42
Bild aufgenommen am/um:
Sa 11. Jul 2020, 08:28
Brennweite:
60 mm
Belichtungszeit:
1/100 Sek
Blendenwert:
f/8
ISO:
3200
Weißabgleich:
Manuell
Blitz:
Blitz nicht ausgelöst, Erzwungener Blitzmodus
Kamera-Hersteller:
Canon
Kamera-Modell:
Canon EOS 600D
Belichtungsmodus:
Blendenvorwahl
Belichtungskorrektur:
-1/3 EV
Belichtungsmessung:
Muster
Koordinaten:
N 51 34.64658 0/ E 6 49.739848 0
4. Wie schon in der Vorwoche: Puccinia difformis ex Galium aparine
Rotbach-0009.jpg
Rotbach-0009.jpg (100.24 KiB) 2859 mal betrachtet
Originalwert Bild aufgenommen am/um:
2020:07:11 13:42:57
Bild aufgenommen am/um:
Sa 11. Jul 2020, 11:42
Brennweite:
60 mm
Belichtungszeit:
1/100 Sek
Blendenwert:
f/8
ISO:
400
Weißabgleich:
Manuell
Blitz:
Blitz nicht ausgelöst, Erzwungener Blitzmodus
Kamera-Hersteller:
Canon
Kamera-Modell:
Canon EOS 600D
Belichtungsmodus:
Blendenvorwahl
Belichtungskorrektur:
-1/3 EV
Belichtungsmessung:
Muster
Koordinaten:
N 51 33.758113 0/ E 6 50.625698 0
Rotbach-0010.jpg
Rotbach-0010.jpg (105.8 KiB) 2859 mal betrachtet
Originalwert Bild aufgenommen am/um:
2020:07:11 13:43:26
Bild aufgenommen am/um:
Sa 11. Jul 2020, 11:43
Brennweite:
60 mm
Belichtungszeit:
1/80 Sek
Blendenwert:
f/8
ISO:
250
Weißabgleich:
Manuell
Blitz:
Blitz nicht ausgelöst, Erzwungener Blitzmodus
Kamera-Hersteller:
Canon
Kamera-Modell:
Canon EOS 600D
Belichtungsmodus:
Blendenvorwahl
Belichtungskorrektur:
-1/3 EV
Belichtungsmessung:
Muster
Koordinaten:
N 51 33.758113 0/ E 6 50.625698 0
Rotbach-0011.jpg
Rotbach-0011.jpg (106.53 KiB) 2859 mal betrachtet
Originalwert Bild aufgenommen am/um:
2020:07:11 13:44:18
Bild aufgenommen am/um:
Sa 11. Jul 2020, 11:44
Brennweite:
60 mm
Belichtungszeit:
1/100 Sek
Blendenwert:
f/8
ISO:
640
Weißabgleich:
Manuell
Blitz:
Blitz nicht ausgelöst, Erzwungener Blitzmodus
Kamera-Hersteller:
Canon
Kamera-Modell:
Canon EOS 600D
Belichtungsmodus:
Blendenvorwahl
Belichtungskorrektur:
-1/3 EV
Belichtungsmessung:
Muster
Koordinaten:
N 51 33.758113 0/ E 6 50.625698 0
Rotbach-0012.jpg
Rotbach-0012.jpg (117.37 KiB) 2859 mal betrachtet
Originalwert Bild aufgenommen am/um:
2020:07:11 13:44:31
Bild aufgenommen am/um:
Sa 11. Jul 2020, 11:44
Brennweite:
60 mm
Belichtungszeit:
1/100 Sek
Blendenwert:
f/8
ISO:
640
Weißabgleich:
Manuell
Blitz:
Blitz nicht ausgelöst, Erzwungener Blitzmodus
Kamera-Hersteller:
Canon
Kamera-Modell:
Canon EOS 600D
Belichtungsmodus:
Blendenvorwahl
Belichtungskorrektur:
-1/3 EV
Belichtungsmessung:
Muster
Koordinaten:
N 51 33.758113 0/ E 6 50.625698 0
Rotbach-0013.jpg
Rotbach-0013.jpg (105.68 KiB) 2859 mal betrachtet
Originalwert Bild aufgenommen am/um:
2020:07:11 13:45:54
Bild aufgenommen am/um:
Sa 11. Jul 2020, 11:45
Brennweite:
60 mm
Belichtungszeit:
1/80 Sek
Blendenwert:
f/8
ISO:
800
Weißabgleich:
Manuell
Blitz:
Blitz nicht ausgelöst, Erzwungener Blitzmodus
Kamera-Hersteller:
Canon
Kamera-Modell:
Canon EOS 600D
Belichtungsmodus:
Blendenvorwahl
Belichtungskorrektur:
-1/3 EV
Belichtungsmessung:
Muster
Koordinaten:
N 51 33.758113 0/ E 6 50.625698 0
5. Beim Fotografieren der Puccinia difformis fielen mir dann auch Stellaria-Blüten ins Auge und kurze Zeit später war Microbotryum stellariae ex Stellaria acquatica festgenagelt
Rotbach-0014.jpg
Rotbach-0014.jpg (200.26 KiB) 2859 mal betrachtet
Originalwert Bild aufgenommen am/um:
2020:07:11 13:48:29
Bild aufgenommen am/um:
Sa 11. Jul 2020, 11:48
Brennweite:
60 mm
Belichtungszeit:
1/100 Sek
Blendenwert:
f/8
ISO:
800
Weißabgleich:
Manuell
Blitz:
Blitz nicht ausgelöst, Erzwungener Blitzmodus
Kamera-Hersteller:
Canon
Kamera-Modell:
Canon EOS 600D
Belichtungsmodus:
Blendenvorwahl
Belichtungskorrektur:
-1/3 EV
Belichtungsmessung:
Muster
Koordinaten:
N 51 33.758113 0/ E 6 50.625698 0
Rotbach-0015.jpg
Rotbach-0015.jpg (115.94 KiB) 2859 mal betrachtet
Originalwert Bild aufgenommen am/um:
2020:07:11 13:49:03
Bild aufgenommen am/um:
Sa 11. Jul 2020, 11:49
Brennweite:
60 mm
Belichtungszeit:
1/80 Sek
Blendenwert:
f/8
ISO:
1600
Weißabgleich:
Manuell
Blitz:
Blitz nicht ausgelöst, Erzwungener Blitzmodus
Kamera-Hersteller:
Canon
Kamera-Modell:
Canon EOS 600D
Belichtungsmodus:
Blendenvorwahl
Belichtungskorrektur:
-1/3 EV
Belichtungsmessung:
Muster
Koordinaten:
N 51 33.758113 0/ E 6 50.625698 0
Rotbach-0016.jpg
Rotbach-0016.jpg (138.09 KiB) 2859 mal betrachtet
Originalwert Bild aufgenommen am/um:
2020:07:11 13:49:16
Bild aufgenommen am/um:
Sa 11. Jul 2020, 11:49
Brennweite:
60 mm
Belichtungszeit:
1/80 Sek
Blendenwert:
f/8
ISO:
3200
Weißabgleich:
Manuell
Blitz:
Blitz nicht ausgelöst, Erzwungener Blitzmodus
Kamera-Hersteller:
Canon
Kamera-Modell:
Canon EOS 600D
Belichtungsmodus:
Blendenvorwahl
Belichtungskorrektur:
-1/3 EV
Belichtungsmessung:
Muster
Koordinaten:
N 51 33.758113 0/ E 6 50.625698 0
Rotbach-0025.jpg
Rotbach-0025.jpg (158.63 KiB) 2859 mal betrachtet
Originalwert Bild aufgenommen am/um:
2020:07:11 17:30:06
Bild aufgenommen am/um:
Sa 11. Jul 2020, 15:30
Brennweite:
50 mm
Belichtungszeit:
1/200 Sek
Blendenwert:
f/0
ISO:
100
Weißabgleich:
Manuell
Blitz:
Blitz nicht ausgelöst, Erzwungener Blitzmodus
Kamera-Hersteller:
Canon
Kamera-Modell:
Canon EOS 600D
Belichtungsmodus:
Blendenvorwahl
Belichtungskorrektur:
1/1 EV
Belichtungsmessung:
Muster
Rotbach-0026.jpg
Rotbach-0026.jpg (155.36 KiB) 2859 mal betrachtet
Originalwert Bild aufgenommen am/um:
2020:07:11 17:30:19
Bild aufgenommen am/um:
Sa 11. Jul 2020, 15:30
Brennweite:
50 mm
Belichtungszeit:
1/200 Sek
Blendenwert:
f/0
ISO:
100
Weißabgleich:
Manuell
Blitz:
Blitz nicht ausgelöst, Erzwungener Blitzmodus
Kamera-Hersteller:
Canon
Kamera-Modell:
Canon EOS 600D
Belichtungsmodus:
Blendenvorwahl
Belichtungskorrektur:
1/1 EV
Belichtungsmessung:
Muster
Rotbach-0027.jpg
Rotbach-0027.jpg (143.47 KiB) 2859 mal betrachtet
Originalwert Bild aufgenommen am/um:
2020:07:11 17:32:25
Bild aufgenommen am/um:
Sa 11. Jul 2020, 15:32
Brennweite:
50 mm
Belichtungszeit:
1/250 Sek
Blendenwert:
f/0
ISO:
100
Weißabgleich:
Manuell
Blitz:
Blitz nicht ausgelöst, Erzwungener Blitzmodus
Kamera-Hersteller:
Canon
Kamera-Modell:
Canon EOS 600D
Belichtungsmodus:
Blendenvorwahl
Belichtungskorrektur:
1/1 EV
Belichtungsmessung:
Muster
Rotbach-0028.jpg
Rotbach-0028.jpg (117.79 KiB) 2859 mal betrachtet
Originalwert Bild aufgenommen am/um:
2020:07:11 17:32:46
Bild aufgenommen am/um:
Sa 11. Jul 2020, 15:32
Brennweite:
50 mm
Belichtungszeit:
1/250 Sek
Blendenwert:
f/0
ISO:
100
Weißabgleich:
Manuell
Blitz:
Blitz nicht ausgelöst, Erzwungener Blitzmodus
Kamera-Hersteller:
Canon
Kamera-Modell:
Canon EOS 600D
Belichtungsmodus:
Blendenvorwahl
Belichtungskorrektur:
1/1 EV
Belichtungsmessung:
Muster
6. Im Wald darf Phragmidium violaceum ex Rubus fruticosus agg. natürlich nicht fehlen
Rotbach-0017.jpg
Rotbach-0017.jpg (114.82 KiB) 2859 mal betrachtet
Originalwert Bild aufgenommen am/um:
2020:07:11 17:14:07
Bild aufgenommen am/um:
Sa 11. Jul 2020, 15:14
Brennweite:
50 mm
Belichtungszeit:
1/640 Sek
Blendenwert:
f/0
ISO:
100
Weißabgleich:
Manuell
Blitz:
Blitz nicht ausgelöst, Erzwungener Blitzmodus
Kamera-Hersteller:
Canon
Kamera-Modell:
Canon EOS 600D
Belichtungsmodus:
Blendenvorwahl
Belichtungskorrektur:
1/1 EV
Belichtungsmessung:
Muster
Teil 2 folgt sofort...
Zuletzt geändert von bjoerns am Mi 15. Jul 2020, 11:45, insgesamt 1-mal geändert.
bjoerns
alter Hase
Beiträge: 532
Registriert: Mo 3. Sep 2018, 21:21
Kamera: Canon EOS 600D
Canon EF-S 60mm f/2.8 Macro USM
Motic Panthera C
Kontaktdaten:

Re: Rotbachtal 11.7.2020

Ungelesener Beitrag von bjoerns »

Rotbach-0018.jpg
Rotbach-0018.jpg (111.48 KiB) 2858 mal betrachtet
Originalwert Bild aufgenommen am/um:
2020:07:11 17:14:32
Bild aufgenommen am/um:
Sa 11. Jul 2020, 15:14
Brennweite:
50 mm
Belichtungszeit:
1/500 Sek
Blendenwert:
f/0
ISO:
100
Weißabgleich:
Manuell
Blitz:
Blitz nicht ausgelöst, Erzwungener Blitzmodus
Kamera-Hersteller:
Canon
Kamera-Modell:
Canon EOS 600D
Belichtungsmodus:
Blendenvorwahl
Belichtungskorrektur:
1/1 EV
Belichtungsmessung:
Muster
Rotbach-0019.jpg
Rotbach-0019.jpg (112.66 KiB) 2858 mal betrachtet
Originalwert Bild aufgenommen am/um:
2020:07:11 17:15:32
Bild aufgenommen am/um:
Sa 11. Jul 2020, 15:15
Brennweite:
50 mm
Belichtungszeit:
1/800 Sek
Blendenwert:
f/0
ISO:
100
Weißabgleich:
Manuell
Blitz:
Blitz nicht ausgelöst, Erzwungener Blitzmodus
Kamera-Hersteller:
Canon
Kamera-Modell:
Canon EOS 600D
Belichtungsmodus:
Blendenvorwahl
Belichtungskorrektur:
1/1 EV
Belichtungsmessung:
Muster
Rotbach-0020.jpg
Rotbach-0020.jpg (106.99 KiB) 2858 mal betrachtet
Originalwert Bild aufgenommen am/um:
2020:07:11 17:16:36
Bild aufgenommen am/um:
Sa 11. Jul 2020, 15:16
Brennweite:
50 mm
Belichtungszeit:
1/125 Sek
Blendenwert:
f/0
ISO:
100
Weißabgleich:
Manuell
Blitz:
Blitz nicht ausgelöst, Erzwungener Blitzmodus
Kamera-Hersteller:
Canon
Kamera-Modell:
Canon EOS 600D
Belichtungsmodus:
Blendenvorwahl
Belichtungskorrektur:
1/1 EV
Belichtungsmessung:
Muster
Rotbach-0021.jpg
Rotbach-0021.jpg (101.69 KiB) 2858 mal betrachtet
Originalwert Bild aufgenommen am/um:
2020:07:11 17:17:06
Bild aufgenommen am/um:
Sa 11. Jul 2020, 15:17
Brennweite:
50 mm
Belichtungszeit:
1/125 Sek
Blendenwert:
f/0
ISO:
100
Weißabgleich:
Manuell
Blitz:
Blitz nicht ausgelöst, Erzwungener Blitzmodus
Kamera-Hersteller:
Canon
Kamera-Modell:
Canon EOS 600D
Belichtungsmodus:
Blendenvorwahl
Belichtungskorrektur:
1/1 EV
Belichtungsmessung:
Muster
Rotbach-0022.jpg
Rotbach-0022.jpg (104.79 KiB) 2858 mal betrachtet
Originalwert Bild aufgenommen am/um:
2020:07:11 17:17:45
Bild aufgenommen am/um:
Sa 11. Jul 2020, 15:17
Brennweite:
50 mm
Belichtungszeit:
1/320 Sek
Blendenwert:
f/0
ISO:
100
Weißabgleich:
Manuell
Blitz:
Blitz nicht ausgelöst, Erzwungener Blitzmodus
Kamera-Hersteller:
Canon
Kamera-Modell:
Canon EOS 600D
Belichtungsmodus:
Blendenvorwahl
Belichtungskorrektur:
1/1 EV
Belichtungsmessung:
Muster
Rotbach-0023.jpg
Rotbach-0023.jpg (211.58 KiB) 2858 mal betrachtet
Originalwert Bild aufgenommen am/um:
2020:07:11 17:24:11
Bild aufgenommen am/um:
Sa 11. Jul 2020, 15:24
Brennweite:
50 mm
Belichtungszeit:
1/250 Sek
Blendenwert:
f/0
ISO:
100
Weißabgleich:
Manuell
Blitz:
Blitz nicht ausgelöst, Erzwungener Blitzmodus
Kamera-Hersteller:
Canon
Kamera-Modell:
Canon EOS 600D
Belichtungsmodus:
Blendenvorwahl
Belichtungskorrektur:
1/1 EV
Belichtungsmessung:
Muster
Rotbach-0024.jpg
Rotbach-0024.jpg (161.57 KiB) 2858 mal betrachtet
Originalwert Bild aufgenommen am/um:
2020:07:11 17:24:23
Bild aufgenommen am/um:
Sa 11. Jul 2020, 15:24
Brennweite:
50 mm
Belichtungszeit:
1/250 Sek
Blendenwert:
f/0
ISO:
100
Weißabgleich:
Manuell
Blitz:
Blitz nicht ausgelöst, Erzwungener Blitzmodus
Kamera-Hersteller:
Canon
Kamera-Modell:
Canon EOS 600D
Belichtungsmodus:
Blendenvorwahl
Belichtungskorrektur:
1/1 EV
Belichtungsmessung:
Muster
Björn
Benutzeravatar
Julia
Forums Gott
Beiträge: 2342
Registriert: Mo 7. Aug 2006, 19:23
Kamera: Olympus FE 120 +Panasonic LX 7
Wohnort: Barkelsby, Frankfurt a. Main
Kontaktdaten:

Re: Rotbachtal 11.7.2020

Ungelesener Beitrag von Julia »

Lieber Björn,

wieder alles richtig. Super.

Puccinia coronata hat immer ein eigentümliches orange, aber manche Wirte haben noch weitere Rostpilze, die ebenfalls so ein leuchtendes orangegelb haben können.

Liebe Grüße,
Jule
Antworten